CITY OF VANCOUVER

POLICY REPORT
URBAN STRUCTURE

 

Date:

February 11, 2005

 

Author:

Brent Elliott

 

Phone No.:

7447

 

RTS No.:

04893

 

CC File No.:

5304

 

Meeting Date:

March 3, 2005

TO:

Standing Committee on Planning and Environment

FROM:

Director of Current Planning, in consultation with the General Manger of Engineering Services, the General Manager of Parks and Recreation, the Director of Social Planning and the Director of Cultural Affairs

SUBJECT:

Langara College Policy Statement - Langara College 100 West 49th Avenue

RECOMMENDATION

A. THAT Council adopt the "Langara College Policy Statement", based on the key site planning and policy directions outlined in this report and as attached in Appendix B, as the guiding policy framework and basis for assessing future rezoning and phased expansion of Langara College located at 100 West 49th Avenue.

B. THAT, consistent with the policy directions set out in the Langara College Policy Statement, Langara College be required to complete a traffic impact assessment through the subsequent rezoning process to identify and propose appropriate responses to traffic issues related to the Langara College campus, subject to the satisfaction of the General Manager of Engineering Services.

GENERAL MANAGER'S COMMENTS

The General Manager of Community Services RECOMMENDS approval of the forgoing.

COUNCIL POLICY

In March 1969, Council adopted Bylaw No. 4412, designating the Langara College site as a Comprehensive Development District (CD-1) to permit College and recreational uses. Council has subsequently amended the bylaw in 1982 and 1995 to accommodate past Langara expansion proposals. In November 2004, Council approved a text amendment to provide for the replacement Library related to the current expansion proposal, increasing the total allowable floor area to 50,599.4 m2 (544,665 sq. ft.).

In February 2004, Council approved a cost recovered planning program with Langara College to develop a policy context for evaluating future rezoning and campus expansion proposals.

PURPOSE

The intent of this report is to bring forward for Council's adoption the Langara College Policy Statement, which sets out the guiding principles and directions to evaluate future rezoning and subsequent development proposals to expand campus facilities at Langara College.

BACKGROUND

Langara College Campus
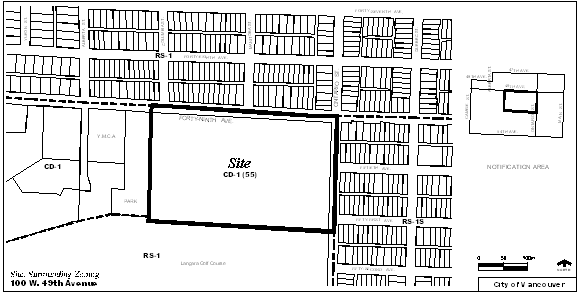
Langara's campus occupies a 20 acre (8 ha) site at 100 West 49th Avenue that is bordered by 49th Avenue to the north and the Ontario Street Greenway to the east. The South Slope Family YMCA and a 3-acre park (hereafter simply referred to as `Langara Park') are situated to the west of the campus, while the College shares its southern property line with the Langara Golf Course The neighbourhood around the College is predominately single family residential to the north and east and some multi-family to the west along 49th Avenue near Cambie Street.

Langara College courses and programs were first offered in 1965 at King Edward Centre as part of Vancouver Community College. The College assumed its current site in 1970 and was established as an independent public college in 1994. The College provides a wide variety of regular studies courses and programs including first and second year Arts and Science university transfer courses, programs of study culminating in an associate degree, diploma and/or certificate, and over 500 Continuing Studies courses and programs.

Langara's Development Need
For over a decade, Langara has faced significant facility shortfalls compared to the guidelines set by the Provincial Ministry of Advanced Education. In 1993, the amount of academic floor space provided per full-time equivalent student (FTE) was about 4.75 m2; a lower ratio than any other college at that time. Despite Langara's 1995 expansion, which provided additional academic and administrative floor space, a shortfall of facility space remained. Additional expansion proposals were also contemplated, such as the 2000 "Learning and Living" concept. While ultimately the College opted not to proceed with the concept, it considered a joint endeavour by the College and the neighbouring YMCA to provide additional classroom and faculty space along with extensive residential development.

In 2003, Langara undertook a review of their facilities and a needs assessment of their current and anticipated student populations. It found that library, reading, study and food service space provided only about 40% of the current necessary space requirements while administrative and faculty office space met approximately 60% of the Provincial guideline. The current ratio of 4.78 m2 per FTE, despite a slight increase, is still well below the 6.27 m2 per FTE guideline set by the Ministry.

With Langara's current student population of about 6,000 FTE's expected to increase by approximately 1% per year over the next 25 years, bringing total enrolment to about 7,500 FTE students by the year 2030, the pressure on facility space is likely to increase.

Policy Planning Process
Early in 2004, Langara approached the City with plans for expansion. Previous campus expansion proposals have responded to immediate needs, but did not account for continued growth in a coherent, coordinated plan. Staff and the College agreed that any further expansion of the campus should establish a long-term campus vision; one that accommodates the needs of Langara's current student population as well as prepares for anticipated future growth needs over 25 years in a manner that is compatible with the surrounding community.

To assist in establishing the guiding directions of the Policy Statement, staff and Langara representatives initiated public discussion with two Open Houses (September 14th and 18th, 2004) and participated in a workshop with the Urban Design Panel (September 29th, 2004). The following are the key issues raised through those discussions:

· College generated traffic causing congestion on 49th Avenue and traffic on the Ontario Street Greenway;
· College students parking on the local streets of the surrounding neighbourhood;
· A lack of College identity from 49th Avenue;
· A limited sense of student and public accessibility into and through the campus; and
· A lack of usable and welcoming open spaces for student and community use.

Early in the process, Langara College identified an opportunity to secure Provincial funding to develop the proposed replacement Library. The Province required early certainty that the development capacity would be available under the zoning. Much of the potential floor space required already existed within the CD-1 zoning district; however staff concluded that an amendment would be needed to increase the allowable floor space by 1,500 m2 (16,146 sq. ft.) in order to provide the full development capacity. Council approved the amendment in November 2004. Noting that the text amendment occurred in parallel with the overall master planning process, information regarding the proposed increase in floor space was made available at the September public open houses.

DISCUSSION

Based in part on messages from the public and the Urban Design Panel, staff have developed policy directions to guide Langara's expansion in terms of the overall site design and campus organisation of building forms and open spaces, sustainability, traffic circulation and parking, and development phasing. These fundamental directions and their rationale are set out below, articulated as general goals in Appendix A and detailed further in the attached Policy Statement (Appendix B).

Land Use, Built Form and Density
To address Langara's sub-standard facility space, the Policy Statement outlines how development might unfold over the next 25 years, to accommodate a new replacement Library and Classroom building, with underground parkade; a Creative Arts centre, with underground parkade; a Multi-Purpose Classroom building and an addition to the Gymnasium. Also considered in the overall scope of possible expansion directions is the potential expansion of Langara Students' Union and the public daycare facilities.

The proposed uses reflect the current academic nature of the campus. However, the additional floorspace resulting from expansion would represent an increase in the density of the site relative to the surrounding mostly low density residential neighbourhood, which has a permitted density of 0.6 FSR. The campus currently has a density of about 0.65 FSR and is proposing approximately 35% more floor space, or roughly 17,900 m2 (192,680 sq. ft.). As with most institutional buildings, the various floor plates required by the proposed new campus facilities could be bulky and appear out of scale with the neighbouring residential context if not sensitively planned and mitigated. Through careful consideration of the proposed siting, height, form, orientation and massing of the proposed developments and through the development of policies that will minimise impacts to neighbouring properties, staff have reached a conclusion that the proposed floor space increase can be achieved in a manner that provides positive relationships with adjacent developments.

Specific policies direct expansion to occur on the underdeveloped western side of the site where the College's surface parking currently exists given the proximity of the area to the principal vehicle entry way and its adjacency to similar institutions and amenities rather than residential uses. New development will need to address potential scale, massing and height impacts and, as a general principle, all new buildings, especially the Creative Arts Centre and replacement Library, will be designed to be in keeping with the scale of existing campus buildings and sensitive to the surrounding neighbourhood context.

To ensure the provision of a safe and animated built form, the Policy Statement also encourages the delivery of a variety of campus oriented uses (student lounges, study areas, etc.) and/or community serving active uses (food services, childcare facilities, etc.) along building edges along with a robust treatment of the public areas.

Sustainability
The Policy Statement establishes the basis for sustainable campus expansion and Langara has expressed its intent to pursue sustainability through the application of green building design and construction principles. The Policy Statement recommends that as a condition of rezoning approval, the College be required to submit a Green Building Strategy with each subsequent development phase demonstrating, amongst other sustainable initiatives, that each new development is at a minimum LEEDTM certifiable.

Street Presence and Campus Permeability
The Policy Statement encourages a built form and open space configuration that improves upon past incremental campus development and planning. Policy direction calls for the provision of a greater street presence and an improved sense of College identity along 49th Avenue through measures such as the enhancement of the campus' large landscaped setback, improvements to the institutional architectural expression, treatment of the at-grade parking areas including optimising underground parking opportunities and improved public realm treatments.

Local area residents and College students also pointed out that the campus currently lacks a sense of public accessibility and connectivity with its surroundings. Much of this can be attributed to physical and visual barriers that obstruct the College's principal pedestrian entry points and its overall relationship with the surrounding residential neighbourhood, adjacent public park areas and nearby community facilities. The Statement sets out directions to strengthen existing on-site pedestrian linkages and form new connections with the surrounding neighbourhood and its amenities, in order to provide an improved public sense of campus permeability.

Open Space
The Policy Statement identifies the potential for the campus' significant landscaped buffers along 49th Avenue and Ontario Street and its internal green spaces and courtyards to evolve into a more coherent series of public and campus spaces. Through the introduction of new development, along with the strengthening of existing pedestrian connections and the establishment of new pathways, the Policy Statement seeks to better frame existing open spaces and foster new open space opportunities. Three key new open spaces set out by policy are:
· a central quadrangle designed to accommodate a variety of campus oriented passive and potentially programmable activities;
· a public forecourt spanning from the façade of the new Library and Creative Arts buildings to 49th Avenue, intended to enhance the College's street presence and provide a more engaging public space to accommodate activities related to the new facilities; and
· a westerly oriented open space to emphasise a point of entry along the campus' west side and foster a better relationship between the College and Langara Park.

Traffic and Parking
It is important to deliver measures that will moderate traffic and parking impacts on the community. The Policy Statement directs that the parking demand generated by future campus growth be accommodated on-site through the optimisation of below grade parking opportunities and not overspill into the surrounding neighbourhood. Policies call for the implementation of on- and off-site traffic improvements that place an emphasis on the intersection of 49th Avenue and Columbia Street as the primary vehicular point of entry in an effort to diminish traffic volumes gaining access off of the Ontario Street Greenway. Consistent with these directions, staff propose that through the subsequent rezoning process, a traffic impact assessment be undertaken in an effort to specifically identify and propose appropriate responses to traffic issues related to Langara College.
To reduce single occupant vehicle trips to the campus and emphasise more sustainable modes of movement such as walking, cycling, transit and carpooling, the College offers a number of innovative Transportation Demand Management (TDM) measures. In 1997, the City and the College implemented "Resident Only Parking" restrictions around approximately five blocks of the College. The College has successfully implemented pay parking with rates consistent with the cost of a return one-zone transit fare ($4.50). Langara also offers a subsidised transit pass to its students, the funding for which is offset by the on-site parking proceeds. The Policy Statement encourages the College's to augment its existing initiatives as a condition of any rezoning approval to ensure the continued delivery of such measures, as well as introduce opportunities to set new travel performance targets and monitor and report back to the public and Council on the progress of TDM initiatives.

With the demonstrated success by the College of implementing TDM strategies and/or traffic improvements, a future RAV station at 49th Avenue and Cambie Street and the potential establishment of a U-Pass program with TransLink, the Policy Statement articulates that it may be appropriate for Council to consider relaxations to the total on-site parking requirements set out in the zoning at the time of any subsequent form of development or rezoning approval. Also, it may be appropriate through the pending rezoning process to remove the student under instruction limit and replace its intended function with a more appropriate instrument.

Expansion Phasing
The proposed expansion of campus facilities, due to the scale of development and the 25 year period, necessitates a phased approach. The Policy Statement sets out a phasing strategy intended to meet the College's growth plans and deliver public amenities commensurately through each phase, as well as minimise disruption to College operations and/or to the amenity of local residents. Each phase of development should also be sufficiently self-contained whether or not future phases are carried out.

OTHER CONSIDERATIONS

Community Amenity Contribution Opportunities
Since Langara's site size is greater than 0.8 ha (2 acres), the subsequent rezoning of Langara College is classified as a non-standard rezoning. As such, staff will pursue a negotiated Community Amenity Contribution (CAC) from the College. As per Council instruction (February 2004), the subsequent negotiations will establish as a basis the standard flat rate contribution and then take into account a variety of factors such as the adequacy of existing neighbourhood facilities, development economics and community impacts related to the expansion of the College.

The Policy Statement recommends that an analysis be completed by staff prior to the rezoning stage to determine the existing demand for community amenities and to ensure that the total impacts of any new campus floor space upon the neighbourhood are better understood and assessed. Possible CAC opportunities identified through the policy planning process by the public, students, Langara employees and City staff may include, but are not limited to, improvements to the Ontario Street Greenway, expansion of the on-site public daycare, improved access and enhancements to Langara Park, and expanded community use and access to Langara College services and facilities.

Phase One Library and Underground Parkade Development Applications
To coincide with Provincial capital funding timelines, Brook Development Planning, on behalf of the College, has submitted an application, which is presently being reviewed by staff, to construct the underground parkade associated with the Phase 1 Library so that it might be processed in parallel with the Policy Statement. A further development application for the Library building has also recently been submitted and will likely be reviewed by the Development Permit Board in early May. Parallel discussions with the College have ensured that the development proposal(s) reflect all site planning and development principles generated through the policy review process. To ensure consistency between present development application(s) and the proposed overall campus expansion policies, form of development approval will not be sought before Council's adoption of the Policy Statement.

Expansion of Childcare and Students' Union Facilities
Noting the public and student oriented services provided by the daycare and Students' Union facilities and their inherent animating benefits, the Policy Statement recommends that expansion schemes for these two facilities, along with their sequencing, be explored schematically at the time of rezoning in conjunction with an assessment of the demand anticipated by future student growth and an analysis of overall proposed campus form of development.

PUBLIC COMMENTS

In addition to the Open Houses held in the fall of 2004, staff and the Langara team hosted two Open Houses on February 1st and 5th, 2005 to provide local area residents, students and College employees with an opportunity to review and comment on the draft policy directions. Over the two Open Houses, 19 people registered, 6 filled out comment sheets and one emailed letter has been received. Staff note that despite the low number of registered attendants, the location of the Open Houses (the College's main entry foyer) allowed for a constant flow of people, many of whom reviewed the material, engaged staff and College representatives in dialogue and provided their comments verbally. The public's response to the draft directions has generally been positive. Students, College employees and the local area residents provided supportive feedback about the proposed built form and open space arrangements. Many of the students found the proposed quadrangle open space to be particularly of interest, while the public appreciated the balance that was achieved by the policies that directed the retention of the natural, landscaped setbacks and those that called for a more pronounced College presence along 49th Avenue. As well, the proposed traffic and parking improvements along with the TDM strategies set out in the draft policies were favourably received by the community.

Staff note one traffic related issue raised by local area residents concerning traffic congestion on Alberta Street, to the west of Langara College. Residents of the Langara Estates commented that vehicles are shortcutting to Cambie Street through their private development, due in part to the difficulty of making left turns from Alberta Street to 49th Avenue. Much of the inability to make a northbound to westbound left turn from Alberta Street to 49th Avenue is related to the level of congestion on 49th Avenue. Policy directions calling for a traffic impact assessment have been established to address the issue of 49th Avenue congestion and facilitate better vehicular movements by seeking improvements to 49th through the subsequent rezoning process. The assessment should also include the concerns raised about Alberta Street, noting the presence of the YMCA and the Langara Golf Course
as other potential traffic contributors, to determine what role the various facilities contribute to the congestion and what possible improvements might best mitigate the issue.

Some of the residents have proposed that Alberta Street only allow traffic flows one-way southbound and that an east-west connection from Alberta Street be introduced through Langara Park to connect with Langara's internal drive isle, in an attempt to direct traffic flows from the YMCA, golf course and the College onto 49th Avenue. The provision of an east-west connection, as proposed by the residents, would only be achievable through dedication of separate park and YMCA lands, which are not included in the pending rezoning.

PROPONENT'S COMMENTS

Langara College has worked closely with the City throughout the development of the draft Policy Statement and are supportive of all of its directions.

CONCLUSION

Langara's phased 25 year expansion proposal presents an opportunity to anticipate and plan for the long-term future of the College. The proposed policy framework will guide and form the basis for staff review of subsequent detailed rezoning and development applications. The principles and objectives described above and set out in full in the attached Policy Statement direct growth and respond to its potential impacts in a manner that integrates and is complementary to existing on-site development and the surrounding community context. Staff therefore recommend that the Langara College Policy Statement be adopted by Council.

* * * *

 

APPENDIX A
Page 1 of 2

GENERAL GOALS: LANGARA COLLEGE CAMPUS EXPANSION

Site Design
· To establish a form of development that respects the existing neighbourhood context.
· To create a series of collegiate and public open spaces on the campus, framed around a focal quadrangle, and designed for various activities, gathering and recreation.
· To retain and enhance the usability and function of the existing landscape buffers surrounding the campus.
· To enhance public safety and minimise opportunities for crime through careful consideration of built form, spatial layout, accessibility and natural surveillance.
· To phase campus expansion so that each phase of development should improve the environment and functioning of the campus without the success and benefits of early phases being contingent on the implementation of subsequent phases.

Sustainability
· To integrate sustainable methodologies into the campus plan, open space and built form.

Presence and Identity
· To provide greater campus street presence on 49th Avenue, while preserving the existing landscape buffer.
· To develop a more legible campus organization pattern that will foster a stronger sense of place and identity.

Permeability and Connectivity
· To create a greater sense of campus permeability to help integrate it more effectively with the surrounding residential neighbourhood
· To strengthen existing and create new campus linkages into and through the campus and with the adjacent community amenities, including the South Slope YMCA, Langara Park, Langara Golf Course, Sunset Community Centre and the Ontario Street Greenway.
· To foster opportunities to increase community access to College grounds and facilities.

Public Realm and Animation
· To maximise pedestrian oriented animation and provide a high degree of transparency to interiors of interest along the principal pedestrian connections and open spaces.

Traffic, Parking and Transit
· To plan for and encourage vehicular access and circulation patterns that create a positive pedestrian environment, moderate conflicts between pedestrians/cyclists and vehicles, and minimise impacts to the surrounding residential neighbourhood and the City approved Ontario Street Greenway.
· To introduce Transportation Demand Management strategies that promote the use of more sustainable modes of movements such as walking, cycling, carpooling and transit.
· To reinforce the intersection at 49th Avenue and Columbia Street as the principal vehicle entrance to the campus with Ontario Street providing a secondary access.

· To reinforce transit orientation with a high level of pedestrian amenity and security for students, employees and visitors by strengthening links to 49th Avenue and fostering connections to the future rapid transit station at 49th and Cambie.
· To accommodate College-generated parking demand on the campus rather than on surrounding local streets, minimising at grade parking and optimising below grade parking opportunities.

LINK TO APPENDIX B (Policy Statement)

pe20050303.htm