Vancouver City Council |
POLICY REPORT
URBAN STRUCTURE
Date: July 08, 2003
Author/Local: P. Mondor/7727J. Madden/6659
RTS No. 03236
CC File No. 8100/4663
Meeting Date: July 29, 2003
TO:
Vancouver City Council
FROM:
Director of Current Planning in consultation with the Director of Development Services, the Chief Building Official, the General Manager of Engineering Services, and the Director of Legal Services
SUBJECT:
General Office Live-Work in the Downtown District
RECOMMENDATION
A. THAT the Director of Planning make application to amend the Downtown District Official Development Plan (By-law No. 4912), to define General Office Live-Work use and permit it in appropriate circumstances and to update the map diagrams in the ODP, and that this application be referred to a Public Hearing, together with draft by-law amendments, generally as contained in Appendix A;
FURTHER THAT the Director of Legal Services be instructed to prepare the necessary amending by-law, generally as contained in Appendix A, for consideration at the Public Hearing.
B. THAT the Director of Planning make application to amend the Sign By-law (By-law No. 6510), to establish regulations for Live-Work use generally as contained in Appendix B;
FURTHER THAT the application be referred to the same Public Hearing;
AND FURTHER THAT the Director of Legal Services be instructed to prepare the necessary amending by-law, generally as contained in Appendix B, for consideration at the Public Hearing.
GENERAL MANAGER'S COMMENTS
The General Manager of Community Services RECOMMENDS approval of A and B.
COUNCIL POLICY
· Downtown District Official Development Plan, By-law No. 4912, approved November 4, 1975
· Live/Work and Work/Live: Strategic Directions, adopted June 13, 1996
· City policy regarding Live/Work is contained in the regulations of the Zoning and Development By-law concerning "homecraft", and in the regulations and policies for Artist Live/Work Studios (and "residential unit associated with an artist studio").PURPOSE AND SUMMARY
The City permits any occupation to be undertaken in any dwelling, as homecraft, but it must be without employees, customers, or signage. There has been growing interest in a less constrained form of "live-work" land use in which some employees and customers are permitted, and where there can be greater flexibility in the relative amounts of "live" space and "work" space in a unit.
Staff propose that live-work opportunity be provided in new ground-oriented dwellings in some parts of the Downtown District (DD), and recommend that the Director of Current Planning be instructed to make application to amend the DD Official Development Plan (ODP), to permit General Office Live-Work use in appropriate circumstances, and that this application be referred to a Public Hearing and approved.
DISCUSSION
Live-work in Vancouver: Live-work combines "living" and "working" in the same premises. The City allows any occupation to be undertaken in any dwelling, as "homecraft", but without employees, customers, or signage. More specifically, the City permits homecraft in any dwelling, without a development permit being necessary, provided that:
· the home occupation is subordinate to residential use,
· only one person living in the dwelling unit is engaged in the occupation (i.e. there are no employees),
· there are no sales (i.e. there are no customers),· there is no external storage of products or materials,
· there are no exterior signs,
· there is no offensive noise, odour, vibration, smoke, heat or other objectionable effect, and
· a business license is obtained for "homecraft".There has been growing interest in a less constrained form of live-work in which employees are permitted, some customers and sales, and some signage.
Since the mid-1980s, there has been growing experience in the city with Artist Live/Work Studios, resulting in Council approval of Artist Live/Work Studio polices in 1995. In June, 1996, Council approved Strategic Directions to guide the City's future actions regarding Live-work more generally. (See Additional Information in Appendix D.)
Since 1996, there has been some very limited experience with industrial live-work use but growing experience with office live-work. In some developments, both Multiple Dwelling and Office uses have been approved for some dwelling units. Examples include townhouses forming a residential tower base at 895 Helmcken Street (The Canadian) and ground-oriented units in the building at 1478 West Hastings Street (Dockside). In these cases, Office use was approved for the ground floor and Multiple Dwelling use in upper floor(s), with physical separation between the two uses. After initial construction, the allocation of floor area between Office and Dwelling uses is not easily altered.
In more recent experience, in the CD-1 rezoning at 1067 West Cordova Street (Shaw Tower, now under construction) and at 651 Expo Boulevard (development application recently submitted), a new land use term was developed, "Live/Work", defined as the use of premises for a residential unit in conjunction with General Office. Related zoning requirements were also established for minimum amounts of dwelling and office floor area in a Live/Work unit.
To minimize the potential negative impacts on residential use within a live/work unit and on other dwelling units in the same development, the office component of a live/work unit was limited to General Office. By definition this excludes other Office Uses, specifically Financial Institution and Health Care Office. A further limiting condition was placed on the office component, explicitly excluding a health enhancement centre or any dating service, entertainment service, exotic dancer business, social escort service or other similar business.
When assessing a recent rezoning application (CD-1 text amendment) to change the use of ground-level Office units at 1033 Marinaside Crescent to Live/Work use, staff reviewed previous experience and concluded it was desirable to avoid the requirement for a development permit (DE) amendment each and every time an owner might wish to alter the
floor area allocation between the dwelling and office. Such flexibility would also minimize the need for property use inspections and enforcement on zoning-related infractions.
Staff developed a new definition for "Live-Work" on this site, as premises for Multiple Dwelling, General Office, and any combination of these two land uses. Defined in this way, a development permit for Live-Work use would allow floor area in a unit to have any combination of these two uses: all residential, all office, and anything in between, with no minimum requirements. (It can be noted that Live-Work use, as defined, is subject to all floor space ratio calculation provisions which apply to both General Office and Multiple Dwelling uses, such as exclusion for residential storage and for residential balconies.)
This rezoning application was approved at public hearing on March 27, 2003.
New Opportunities for Live-Work Use: There are several proposals presently in discussion involving office live-work use in high-rise developments, on existing CD-1 zoned sites or sites proposed to be rezoned to CD-1 for other reasons (e.g. rezoning to allow residential use in the CBD or to allow a higher building).
There has also been some discussion about the possibility of office live-work use in ground-oriented units and townhouses in multi-unit residential buildings on some sites in the Downtown District. On some streets in Downtown South there are opportunities for a richer activity mix at street level due to greater exposure, variety of people and greater visibility, particularly on some busy, active streets that have good conditions for business as well as housing. These include some of the streets identified in the Downtown Transportation Plan as major arterials or one-way couplets within the downtown.In the interest of responding to growing demand for Live-work, and to respond to opportunities to further animate the streets in Downtown South and other similar areas, staff believe that live-work use in ground-oriented dwelling units should be allowed in some circumstances.
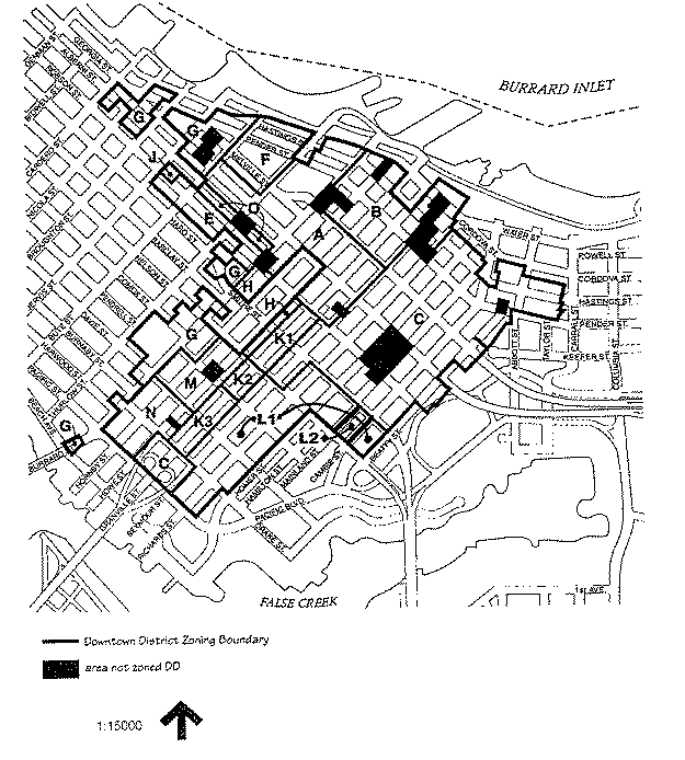
In assessing which sites might be most suited for General Office Live-Work, staff have avoided those sites and locations where there is a high probability of achieving a very high
quality of residential livability, domestic ambience and great streetscapes. The following areas and sites have been identified where there is opportunity in future redevelopment to achieve a richer activity mix at street level: (Specific locations are shown on Figure 1. For reference, also see the map of Downtown District "Areas" for which there are distinct land use, density and building height provisions, contained in Appendix C.)Figure 1. Opportunities for Ground-Oriented
General Office Live-Work UseHornby and Howe Streets (Downtown District Areas M and N)
Development on these two streets south of Nelson Street is characterized by a mix of commercial and residential uses including hotels, ground level retail, and residential units. The addition of General Office Live-Work uses provides a good interface between the existing mixtures of uses and potentially increases street level activity. There are several potential future redevelopment opportunities which could realize the introduction of General Office Live-Work within this sub-area.
Downtown South (Downtown District Area L)
Within the emerging Downtown South residential community, most new development has been characterized by ground-oriented residential townhomes within a podium base and tower style development. Opportunities for introducing General Office Live-Work have been identified along streets with increased access via public transit routes such as Seymour and along streets that have been identified in the Downtown Transportation Plan as `important circulation streets' such as Nelson, Smithe, and Seymour Streets.
Adjacent the Central Business District (Downtown District Area C)
As with the Downtown South area, the introduction of General Office Live-Work use would provide a richer activity mix at street level in this area where there is good accessibility and where there is already a mixture of different uses. There are several opportunities for future redevelopment along Smithe and Seymour Streets.
Staff propose that the recent definition for "Live-Work" be added to the DD ODP, that it be added to the list of permitted uses in Areas C, L, M and N of the DD, and that it be limited to the sites identified in Figure 1. It is also proposed that General Office Live-Work also be limited to ground-oriented units and townhouses. (Draft amendments are presented in Appendix A.)
Land Use Impacts: Combining dwelling and office use in the same unit raises questions about potential impacts. Zoning regulations which segregate land uses in separate districts have evolved over the years and reinforce community expectations regarding acceptable level of impacts. Residents of neighbouring buildings and areas have certain ideas about what type of traffic, signage, noise or people a building is going to generate. Residents within buildings have expectations about what the person in the next unit, down the hall, or at the elevator will be doing. Business owners feel entitled to late deliveries, longer hours, and to generate more light, noise and traffic than if they were located in residential areas.
Unlike industrial land uses, retail uses, and most service uses, general office use should not raise much concern, particularly if it is for small business in small premises. Office uses do not require the regulations which limit artist live-work units to two occupants without children, and which require physical separation between the live and work activities, including fire wall separation, to achieve appropriate prevention of and protection from life safety hazards.
Nevertheless, it is proposed that the office component of a Live-Work unit be limited to General Office. This term, by definition, excludes other office uses, specifically Financial Institution and Health Care Office. Like retail and service uses, banks, medical and dental offices can generate considerable pedestrian activity and vehicular traffic.
A further limiting condition is proposed for the office component, explicitly excluding a health enhancement centre (involving therapeutic touch techniques) or any dating service, entertainment service, exotic dancer business, social escort service or other similar business.
Building Code Implications: The proposed ODP amendments are intended to facilitate live-work use primarily in ground-oriented units, and in new construction rather than existing developments. The building code (Vancouver Building By-law) requires that an occupancy separation be constructed between the office and residential areas of the suite. As this is clearly inconsistent with the flexible division between live and work functions, an equivalency approach will typically be employed. This equivalency can be achieved most easily in new construction, where live-work units are built to meet the code requirements for both business and personal service ("D") major occupancy classification and residential ("C") occupancy requirements.
Live-Work use is possible in existing units, but a development permit (DE) would be required for change of use, and then a building permit (BU) would be required for a change in building occupancy and for any structural alteration to the unit. However, a building permit could not be obtained unless the units meet building code requirements. Existing ground-oriented townhouses could have great difficulty meeting accessibility requirements if access from grade is by means of steps only, and if construction is wood-frame rather than masonry.
Parking and Related Requirements: With respect to vehicle parking and loading requirements and bicycle parking requirements, Live-Work use is expected to meet whichever requirement, for Multiple Dwelling or for Office use, is the greater. The requirements for small residential and office units are generally comparable -- to meet them for residential use also generally meets the requirements for office use should a residential unit be converted to Office or Live-Work use. Multiple Dwelling use does have a higher bicycle parking requirement, for example 1.25 Class A spaces per unit as compared to one such space per 750 m² (8,073 sq. ft.) for Office use. Engineering staff advise there is no need for additional or special requirements.
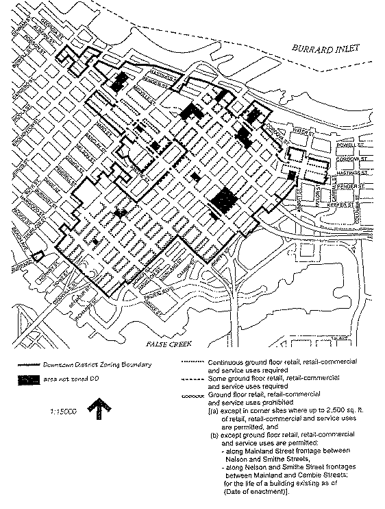
Sign Regulations: The installation of signs in the Downtown District, including Downtown South and Triangle West, is governed by Schedule B (Commercial and Industrial Areas) of the Sign By-law. Downtown South is intended to be primarily residential in nature, thus without commercial uses present there would be no commercial signs. To maintain the residential character of the areas where live-work might be approved, staff propose that signage for ground-level office units should be limited to facia signs not exceeding 0.2 m² (2.2 sq. ft.) in size. A Sign-By-law amendment is recommended for this purpose in Appendix B.
Additional ODP Amendments: The six maps in the DD ODP need to be updated to indicate sites which have been rezoned to CD-1 and which are therefore not subject to the regulations in the ODP. A draft amendment for this purpose is presented in Appendix A.
CONCLUSION
Staff recommend that the Director of Current Planning be instructed to make application to amend the Downtown District Official Development Plan to permit General Office Live-Work use in appropriate circumstances, and that this application be referred to a Public Hearing and approved. Related amendments to the Sign By-law are also recommended.
- - - - -
APPENDIX A
DRAFT AMENDMENTS TO
DOWNTOWN DISTRICT OFFICIAL DEVELOPMENT PLAN
By-law No. 4912By-law amendments will be prepared generally in accordance with the provisions listed below and are subject to change and refinement prior to By-law posting:
1. Amend Definitions by inserting the following:
"General Office Live-Work means the use of premises for a dwelling unit, general office, or both uses in conjunction with one another, provided that:
(a) any such use must not include a health enhancement centre or any dating service, entertainment service, exotic dancer business, social escort service or other similar business, as determined by the Director of Planning in consultation with the Chief License Inspector; and
Note: By definition General Office excludes other Office Uses, specifically Financial Institution and Health Care Office.
(b) any development permit for such premises shall be for dwelling units, general office, and dwelling unit combined with general office."2. Amend Section 1 (Land Use) as follows:
2.1 re-order sub-sections 1 and 2 in alphabetical order; and
2.2 insert the following in sub-section 2 [for areas denoted by the letters `C', `E', `F', `G', `H', `J' and `O' on Map 1]:
"In the areas denoted by the letters `C' and `G' General Office Live-work may be permitted, but limited to dwelling units having direct access to grade and having a principal entrance to the office component being within 1.5 m of fronting street grade, and limited to sites identified on Map 3."
2.3 insert the following in sub-section 3 [for areas denoted by the letters `K1', `K2', `K3', `L', `M', and `N' on Map 1]:
"In the areas denoted by the letters `L', `M', and `N' General Office Live-work may be permitted, but limited to dwelling units having direct access to grade and having a principal entrance to the office component being within 1.5 m of fronting street grade, and limited to sites identified on Map 3."3. Insert the map diagram below as Map 3 - General Office Live-Work Uses, and re-order Map 3 to Map 6 as Map 4 to Map 7.
4. Replace the existing map diagrams with updated maps which remove recently-zoned CD-1 sites from the Downtown District.
- - - - -
APPENDIX B
DRAFT AMENDMENTS TO
SIGN BY-LAW (By-law No. 4912)By-law amendments will be prepared generally in accordance with the provisions listed below and are subject to change and refinement prior to By-law posting:
1. Amend Schedule B, sub-section (g) in section 1, by inserting the following in the proper sequence:
(vii) for Live-Work units, a facia sign exceeding 0.2 m² (2.2 sq. ft.) and any facia sign which is illuminated directly shall not be permitted.
- - - - -
APPENDIX C
ADDITIONAL INFORMATION
Downtown District Map 1 - Areas
Downtown District Map 2 - Retail Uses
APPENDIX D
ADDITIONAL BACKGROUND INFORMATION
Note: This appendix summarizes and paraphrases from the policy report "Live/Work and Work/Live: Vancouver Overview", a report dated March 27, 1996, on file in City Clerk's Office.
Introduction: On a number of occasions in the early1990s, Council had been urged to meet the needs of the "new information economy," and in particular the growing trend for home-based work. People had raised the question of whether City regulations were standing in the way of entrepreneurial activities such as software development, research, consulting, film and media businesses, designers, artisans and craftspersons by not permitting these to be combined with residential.In March 1995, Council approved changes to the artist live/work studio policies and directed staff to make some regulatory changes to extend artist live/work studio opportunities into more of the mixed-use zones and to put additional limits on them in industrial lands. Council also directed staff to report back on possible zoning and guidelines for "general live/work" in mixed-use, Downtown and heritage zones. Shortly after, proposals came forward to consider "industrial live/work" in False Creek Flats and a large site in the Grandview/Boundary industrial area. Council decided that no decision on rezoning for "industrial live/ work" would be made until a broad policy overview of live/work was completed, identifying what the City was doing, and could do in future, to respond to the growth of home-based business.
Staff undertook this study, concurrently with the first stage of False Creek Flats planning, and reported back in "Live/Work and Work/Live: Vancouver Overview", a report dated March 27, 1996. The study outlined the nature of home-based work and future trends, developed labels for six categories of live/work to cut through the wide variety of terminology (see table on the following page), and reviewed how Vancouver by-laws were responding to live/work demand. Unmet needs were described, and approaches were developed to deal with a number of issues that must be faced if the City is to address these unmet needs. The study gave considerable attention to Industrial Work/Live. Lastly, Strategic Directions were set out which should guide any future work by City staff on Live/Work and Work/Live (see excerpt attached on page 7).
Categories of Live/Work by Type of Business or Work Activity
Live/Work Category
Types of Business
Permitting
(ZDB = Zoning & Development By-law)
(VBB = Vancouver Building By-law)Commercial Live/Work
· office or service work with few or no impacts, no employees, no sales (examples: self-employed consultants, researchers, software developers, analysts, writers, accountants, secretarial services; personal services such as hair stylists, music teachers, tutors, doctors, therapists, child daycare; contract workers, teleworkers; office bases for off-site services such as building and landscape contractors, sales reps)
ZDB: "homecraft" permits any occupation without development permit in any dwelling provided no employees, sales or "objectionable impacts"
VBB: most office, retail and many service uses permitted in combination with residential (note: health regulations prohibit some, e.g., hair stylist, food preparation, pet grooming)
Commercial Work/Live
· above activities, but where employees are involved, plus
· retail sales and repair or other services with frequent customer tradeZDB: not currently permitted; Council resolution to investigate "general live/work" regulations for mixed-use, downtown, heritage zones
VBB: as above
Industrial Live/Work
· goods production or servicing involving lower impacts and no employees (examples: some jewellers, garment making, small leather goods, some printing, computer or small good repair, some production and recording studios)
ZDB: permitted as "homecraft" in dwellings throughout the city, without development permit provided no employees, sales or "objectionable impacts"
VBB: if carried out under "homecraft", many are not likely seeking business licenses or renovation permits; if they did, some of the work activities would be permitted but many would not
Industrial Work/Live
· goods production or servicing involving higher impacts, employees, and/or sales (examples: metal work, wood work, some printing, some production studios)
ZDB: not permitted currently
VBB: most would not be permitted currently
Artist Live/Work
· artists and craftspersons working in low-impact media or processes (examples: many painters, graphics, photography and print artists; some potters, carvers; some musicians)
ZDB: "homecraft" in dwellings throughout the city, without development permit; provided no employees, sales or "objectionable" impacts; also permitted as "dwelling unit accessory to Artist Studio Class A"
VBB: in the case of "homecraft" no business license or renovation permit likely being sought; however, residential is permitted with "Artist Studio Class A"
Artist Work/Live
· artists and craftspersons working in higher-impact media or processes (examples: using amplified music, on-site film processing, welding, woodworking, spray painting, fired ceramics, generally using toxic or hazardous products)
ZDB: permitted as "dwelling unit accessory to Artist Studio Class B"4
VBB: residential permitted with "Artist Studio Class B"4
Overview: The study confirmed that home-based businesses are growing, with occupations mainly in the area of professional, business, health/social/recreation, administrative, finance/insurance, and personal services--as well as a limited amount of manufacturing. In 1991, about 6.7% of Vancouver workers worked mainly at home, up from 3.5% in 1981.
A key finding is that Vancouver zoning regulations are already open to much of this activity and that the City is not obstructing the role of home-based work in the "new information economy," but rather is already accommodating the predominant types of home-based business through zoning provisions for Homecraft and Artist Live/Work Studio.
The zoning by-law permits any occupation to be undertaken in any dwelling throughout the city, as "homecraft", without a development permit being required, provided it is subordinate to residential use, only one person living in the dwelling unit is engaged in the occupation (i.e. there are no employees), there are no sales (i.e. there are no customers), there is no external storage of products or materials, there are no exterior signs, and there is no offensive noise, odour, vibration, smoke, heat or other objectionable effect. Also, a business license is required for any home occupation (i.e. "homecraft").
In addition to "homecraft", artist live/work studios have also been permitted in many areas.
While the study showed that the City is well along the way in providing for the types of living and working combinations that many people are seeking, it also identified some unmet needs for home- based work which the City could address. Among them:
· the user and neighbour satisfaction with "homecraft" regulations and administration processes should be reviewed as and when staff is available;
· investigations into allowing Commercial Work/Live should proceed, focussing on office and personal service businesses that want to expand to have employees or on-site sales. Several areas already have land use policies that would support permitting this (e.g., Downtown South, Brewery Creek), and ongoing planning in Victory Square, Gastown and other heritage areas may also provide opportunities. In future, other neighbourhoods will also likely identify places where this might occur during their Neighbourhood Visioning processes;
· the Building By-law's occupancy classification of some of the home-based, low-impact "industrial" activities, should be reviewed as part of the above work. Some of them may be having difficulty obtaining business licences or renovation permits because of their occupancy classification; and
· opportunities to meet the small demand for "Industrial Work/Live" could be provided. These are somewhat higher-impact manufacturing or non-personal service activities,and/or those that have employees or sales. They are not currently permitted by the zoning and building by-laws. The study estimates a maximum theoretical demand for 900 units over the next 15 years, city-wide.Staff reported that the first item was not on any work program at that time. It was reported that the second and third items will be pursued by staff, following Council's March 1995 instructions to investigate zoning and guidelines for what was then called "general live/work." The fourth was discussed in considerable detail and need not be reviewed here.
Focussing on Commercial Work/Live, staff proposed that a step forward be taken with the permitting of this combination of residential use with office or service businesses that have employees, or on-site sales.Commercial Live/Work: Staff made a distinction between "Live/Work", which means that the "quiet enjoyment" expectations of neighbours take precedence over the business requirements of live/work units, and "Work/Live", where business needs take precedence, including the possibility of on-site employees, sales, and impacts such as noise and odours. Most home-based work falls into the Live/Work category. However, there was felt to be some demand for Work/Live (oftentimes referred to as "general live/work") from people who would like the opportunity for on-site sales, and/or businesses who want to "graduate" to having employees. Staff did not, and still do not, have studies or statistics to estimate the size of this component.
There was no general opportunity in 1996 for Commercial Work/Live, other than through occupying both a residential unit and a work space in a conventional mixed-use building. Council's motion of March 1995 had instructed staff to investigate regulations for "general live/work" in downtown, mixed-use and heritage areas. Throughout the extensive public discussions on artist studio policies, and during the process of this study, misgivings had been expressed by citizens about the livability and safety of combining work and live activities. There were also concerns about the "genuineness" of artist live/work, given that it utilized less expensive industrial land.
In the 1996 report, staff identified several aspects which would require attention when this work is undertaken: a demand estimate would be helpful, the type of space or facilities needed in live/work units needs investigation, and questions about parking, loading, traffic and security issues associated with having employees and/or sales in residential developments need to be addressed.
Much of the regulation the City undertakes is related to the impacts of work activities on residents, and vice versa. Zoning looks after some of these impacts, while the Building By-law sees to others. This is a very complex topic. There are three spheres of impacts: the resident or business tenant of the unit, the residents or businesses in other units in thebuilding, and the building's neighbours. There are several types of impacts: noise, light, hours of operation, toxic fumes, odours, danger of fire/explosion, security, traffic, parking and loading, increased land values and taxes, and possibly others. There are also different levels of severity: threats to life or health, nuisance or disruption of quiet enjoyment, and economic impact.
However, the staff study indicated that most of the demand is for commercial or low-impact "industrial" live/work activities that do not pose these problems. Most of the concerns were most pertinent to higher-impact "industrial" live/work and some types of "service" live/work (e.g. motor vehicle repair shop).
One concern raised by staff in 1996 has some relevance. It was indicated that as changes occur in business fortunes and personal objectives, a Live/Work person may stop working in their unit. Similarly, a business owner may decide at some point that they want to stop living on premises, and turn the whole unit over to work activities. Staff indicated that enforcing occupancy requirements is more difficult where the activities share the same physical space, as with artist live/work studios. "As we move into Commercial Work/Live, we may have the same challenge. When we can't guarantee that space will not become all-work or all-residential, we should plan with that in mind, and ensure that other land use policies are not inadvertently compromised. For example, we should not locate space that might convert to all-residential where we require continuous retail or service along the street, or above the residential density limits set for various reasons."
These last observations are very relevant with respect to the notion of allowing live-work use in ground-oriented townhouses in some parts of the Downtown District.
Strategic Directions were recommended by staff and approved by Council to guide further initiatives for Commercial Work/Live and Industrial Live/Work: (Note: Not listed here are Strategic Directions regarding 8.4 Industrial Live/Work, 8.5 Industrial Work/Live, 8.6 Artist Live/Work, and 8.7 Artist Work/Live.)
8 Strategic Directions (Adopted by City Council, June 13, 1996)
8.1 General Directions
(Apply to all categories of Live/Work and Work/Live)8.1.1 Consider allowing Live/Work and Work/Live accommodation for low-income individuals to be considered for access to the same City housing resources as other low income people, e.g., housing agreements, land lease write-downs, S.H.O.R.T. process.
8.1.2 Ensure that prospective purchasers of Work/Live units are aware of the types of uses in the building, and their impacts. Measures include covenants on title and a visible indicator (e.g., a plaque) on the building.
8.1.3 Include consultation with neighbouring residents and businesses prior to making Live/Work or Work/Live policy changes that will affect them.
8.2 Commercial Live/Work
8.2.1 Continue to accommodate Commercial Live/Work as "homecraft" in all dwelling units.
8.2.2 Consider reviewing user and neighbour satisfaction with "homecraft" regulations and regulatory processes, when and if staff work programs permit.
8.2.3 Address the need for new types of space as part of CityPlan Neighbourhood Visioning, e.g., telecommuting centres, satellite offices, neighbourhood workshops.
8.3 Commercial Work/Live (a.k.a. "General" Live/Work)
8.3.1 Proceed with work on Commercial Work/Live pursuant to Council's 1995 direction to investigate regulations for "general live/work" in mixed-use areas, subject to the following directions.
8.3.2 Do further research to assess the magnitude of demand and types of space needed. Do further analysis of the likelihood and implications of the space devolving into all work space.
8.3.3 Check the regulations of Workers Compensation Board and Residential Tenancy Act with regard to feasibility/implications of having employees and/or sales.
8.3.4 Develop solutions to the issues of parking and loading demand and building security.
8.3.5 Implement Commercial Work/Live where land use policies support it, given the possibility of it evolving into either all-residential or all-work. At present, parts of Downtown South, Brewery Creek IC-3, and East False Creek FC-1 would be eligible. Current planning for Gastown and Victory Square may also result in opportunities. Beyond this, extension of Commercial Work/Live opportunities into other areas should be undertaken as part of Neighbourhood Visioning or other area-based planning.
* * * * *