Vancouver City Council
CITY OF VANCOUVER
ADMINISTRATIVE REPORT
Date:
January 26, 2005
Author:
Sara McKittrick
Phone No.:
6445
RTS No.:
4814
CC File No.:
5553
Meeting Date:
February 15, 2005
TO:
Standing Committee on Transportation and Traffic
FROM:
General Manager of Engineering Services, in consultation with the General Manager of Parks and Recreation.
SUBJECT:
Chilco Bikeway and Cardero Bikeway
RECOMMENDATION
A. THAT the Chilco Bikeway be constructed as detailed in this report at a cost of $39,000 with $19,500 funded from the 2003 Streets Basic Capital for Bicycle Network and the remaining $19,500 cost sharing from either the 2005 TransLink Bicycle Program or the Provinces Cycling Infrastructure Partnership Program (CIPP).
B. THAT the Cardero Bikeway be constructed as detailed in this report at a cost of $256,000 with $128,000 funded from the 2004 Streets Basic Capital for Bicycle Network and the remaining $128,000 cost sharing from either the 2005 TransLink Bicycle Program or the Provinces Cycling Infrastructure Partnership Program (CIPP).
C. THAT commencing in 2006, the annual Streets Operating Budget for Signage be increased by $3500, without offset and subject to 2006 Budget Review, for maintenance of the route.
COUNCIL POLICY
Council approved the Downtown Transportation Plan on July 9, 2002, to improve downtown accessibility and liveability by creating a balanced transportation system that included establishing a downtown bicycle network which recommended Chilco and Cardero streets as bikeways.
Council approved the 1997 Vancouver Transportation Plan that emphasizes the need for developing more bikeways and ranks cyclists second priority after pedestrians.
Council approved the recommendations of the 1992 Bicycle Network Study that recommended giving the priority to integrate bicycles on local streets through the construction of locally integrated bikeways.
PURPOSE
The purpose of this report is to seek Councils approval and funding to implement the Chilco Bikeway and the Cardero Bikeway.
BACKGROUND
The Downtown Transportation Plan (DTP), which was approved by Council on July 9th 2002, aims to improve downtown accessibility and liveability by creating a balanced transportation system. One component of the DTP is the Bicycle Plan. Within the Bicycle Plan there is a recommended cycling network and Chilco and Cardero Bikeways are a part of this network. Along with the recommended bikeways, the DTP also includes an initiative to make all West End local streets bike-friendly by making minor adjustments to existing traffic calming devices. Staff will be working on this initiative shortly.
DISCUSSION
CHILCO BIKEWAY
Route Design
The proposed Chilco Bikeway would run the length of Chilco Street from Beach Avenue to Georgia Street. Chilco Street was chosen as a proposed north/south bikeway because it is the most western residential street in the West End and it carries relatively low vehicle volumes. The Chilco Bikeway would provide an alternate route for cyclists heading to or from the Lions Gate Bridge. Park Board staff have participated in the review of route design for the proposed bikeway.
Along the bikeway there are several minor changes proposed. The majority of these changes are to allow bicycles to pass through existing traffic calming devices or providing connections to other routes. Listed below are the proposed changes, see Appendix A for drawings.
· install bicycle ramps at Beach to create a connection to the Seaside Bike Route,
· install bicycle ramps and widen path way (1.6 m wide by 3.5 m long) at the Comox Street Mini-Park,
· build a traffic circle at Nelson and Chilco,
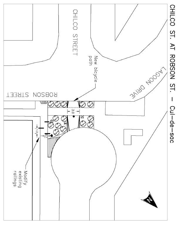
· modify existing railings along the sidewalk at Robson to allow access by wheelchair users, and
· create a bicycle path through the Robson Street Cul-de-sac.CARDERO BIKEWAY
Route Design
The proposed Cardero Bikeway would travel the length of Cardero Street from Beach Avenue to Coal Harbour Quay. Cardero Street was chosen as a proposed north/south bikeway because of its central location within the West End and proximity to Denman Street. Park Board staff have participated in the review of route design for the proposed bikeway.Along the bikeway there are several minor changes proposed. The majority of these changes are to allow bicycles to pass through existing traffic calming devices or providing connections to other routes. Listed below are the proposed changes, see Appendix B for drawings:
· install a pedestrian/cyclist actuated traffic signal at Beach Avenue,
· build off street pathway in English Bay Park to connect bikeway to Seaside Bike Route,
· install bicycle ramps and raised lane crossing treatment at the Burnaby St Mini Park,
· install bicycle ramps and lane treatment at the Comox St Mini Park, and
· modify the Haro St diagonal diverter to facilitate bicycle access through diverter.ROUTE SIGNAGE
The signage on both bikeways would be similar to what has been successful along other bike routes throughout the city. All would be based on the use of clear internationally recognised standard symbols with minimum wording. Route markers would be placed approximately two blocks apart with signs and stencils that include a bicycle logo and new bicycle pavement markings would be installed along the length of both routes.
In addition, way-finding signs for the Chilco Bikeway, to and from the Lions Gate Bridge are proposed in collaboration with the Park Board.
PUBLIC CONSULTATION
In November an ad was placed in the West Ender and approximately 4100 letters were sent out to residents along Chilco St and Cardero St inviting them to an open house held on November 24th. See Appendix C and D for the ad and letter. The open house was well attended with over 150 people in attendance. Attendees were encouraged to give their input on comment sheets provided at the open house. Comments were also received prior to and after the open house by email and are in Appendix E along with comments received at the open house. The majority of respondents who provided an opinion (65%) were in support of the bikeways. Almost all of the comments were from residents living within the West End. A few respondents expressed a concern about changes to the mini-parks, impacts to pedestrians and questioned the need to facilitate cycling within the West End. All of the comments received were reviewed and staff was able to respond to the majority of them directly. Subsequent modifications at the traffic circle at Nelson St, the railings at Robson St, and the treatments at the mini-parks are all examples of this. Cyclists will be directed to yield to pedestrians while travelling through all mini-parks. Staff recognise that this is a pedestrian area and will continue to give priority to pedestrians.
The West End Residents Association (WERA), the Bicycle Advisory Committee (BAC), the Advisory Committee on Seniors (ACS) and the Advisory Committee on Disability Issues (ACDIV) were given the opportunity to comment on the proposed bikeways. A letter of support from WERA is attached in Appendix F. The BAC supports the bikeways as proposed (see Appendix G). The ACS and the ACDIV do not have any concerns with the projects.
FINANCIAL IMPLICATIONS
The total cost of the Chilco Bikeway is estimated at $39,000 for route signage, pavement markings and construction of modifications. $19,500 would be funded from the Streets Basic Capital (Bicycle Network Unap) Account 30006156. 50% cost sharing of this bikeway will be pursued with either TransLink or with the Provinces Cycling Infrastructure Program (CIPP) to further reduce the Citys share of the cost. An increase to the 2006 Traffic Operating Budget for Signage ($400) for the maintenance of the traffic measures is also recommended.
The total cost of the Cardero Bikeway is estimated at $256,000 for route signage, pavement markings and construction of modifications. $128,000 would be funded from the Streets Basic Capital (Bicycle Network Unap) Account 30006969. 50% cost sharing of this bikeway will be pursued with either TransLink or with the Provinces Cycling Infrastructure Program (CIPP) to further reduce the Citys share of the cost. An increase to the 2006 Traffic Operating Budget for Signage ($3100) for the maintenance of the traffic measures is also recommended.
CONCLUSION
The construction of the proposed Chilco and Cardero Bikeways is recommended as detailed in this report. Both bikeways are consistent with the recommendations of the Downtown Transportation Plan, and are supported by the majority of those consulted.
APPENDIX A
PAGE 1 OF 2CHILCO BIKEWAY DRAWINGS
APPENDIX B
PAGE 1 OF 4CARDERO BIKEWAY DRAWINGS
![]()
![]()
2
APPENDIX C
PAGE 1 OF 1WESTENDER AD
APPENDIX D
PAGE 1 OF 1LETTER TO PUBLIC
CITY OF VANCOUVER
ENGINEERING SERVICES
Downtown Transportation Plan
Implementation TeamCOME AND SEE THE DESIGNS FOR THE
CHILCO ST. BIKEWAY AND THE CARDERO ST. BIKEWAY
In July of 2002 the Downtown Transportation Plan (DTP) was approved by City Council. In this plan there was call for more cycling facilities in Downtown Vancouver. Two of the proposed cycling facilities are located in the West End along Chilco Street and Cardero Street. A copy of the DTP can be found in electronic form at http://www.city.vancouver.bc.ca/dtp/.
Chilco Street Bikeway and Cardero Street Bikeway Open House
Date: Wednesday, November 24th, 2004
Time: Anytime between 6:00 p.m. and 8:00 p.m.
Location: West End Community Center, 870 Denman St.Preliminary designs have been completed for both bikeways and will be presented at the Open House for your comments. Proposed are several minor modifications along the length of Chilco St. and Cardero St. City Staff will be present to answer any questions you have about the routes and obtain your feedback.
If you can't make it to the Open House, please feel free to contact me by phone or email and I will be happy to answer your questions and listen to your feedback. Please direct your enquiries to:
SARA McKITTRICK
Project Manager, DTP Implementation Team
City of Vancouver, Engineering Services
Ph: 604-871-6445
Email: sara_mckittrick@city.vancouver.bc.caAPPENDIX E
PAGE 1 OF 15COMMENTS FROM OPEN HOUSE
Chilco Comments
I am absolutely thrilled with the proposed design of ramps, diverters and a traffic circle. I use Chilco (instead of busy Denman) to Coal Harbour, cycling to and from work and have been cursing the curb for 3 years. The planted dividers were built in the 70's and with the amount of bike traffic now, this project is long overdue.Cardero Comments
I occasionally cycle across Cardero to Coal Harbour and often walk that street to Robson. I've noticed that cars often disregard the diverters and drive over them. I think the diverter at Haro could be replaced with a traffic circle.General Comments
I definitely think the diverter at Pendrell and Gilford (behind the Sylvia Hotel) should be removed. Two blocks of Chilco (Beach to Comox) bear the brunt of the traffic north of Comox (via Gilford). The volume of traffic of Beach should be shared with our neighbours on Gilford. Now, cars rev up the Chilco hill and screech a right turn at Comox - it's never ending!Chilco Comments
Everything proposed seems sensible to me. All of the changes I've seen are changes that I would have asked for. For Chilco: I would have like to have seen a bike-activated crosswalk at Beach.Cardero Comments
Everything proposed seems sensible to me. All of the changes I've seen are changes that I would have asked for.General Comments
I am a cyclist without a car. Cycling and walking are my primary means of transport. The most congested bike routes (eg; Ceperly Pk to Beach Ave) need to be widened (if possible) and direction indicators need to be clearly marked.Chilco Comments
I support the Chilco Bikeway as it will help me get across the west end to gain access to Stanley Park and the Lions Gate Bridge. The most important change proposed is the removal of the barrier on the north side of Robson St./Lagoon Dr.Cardero Comments
At present there is no good bike route across the West End. Denman and Thurlow are too busy with traffic and congestion and most of the others do no go through. Cardero provides a good connection between Beach Ave and Coal Harbour. When the bike route crosses a diagonal diverter, there should be adequate signage, for both motorists and cyclists, warning of the danger.General Comments
I can understand the reluctance of pedestrians to "allow" bicycles in "their" mini-parks. However, if a formal bike route is established through a mini-park, if defines where the bikes will be and won't be. At the present time, many cyclists use the mini parks and since there is no proper route, they can be encountered anywhere in the park.Chilco Comments
Beach to Comox. Bravo on directional separation ramps - much safer! Sad to lose some trees but visibility better for all - less startled pedestrians! Nelson to Haro - Yah for traffic circle! Efficient and safe. Good signage. Robson to Georgia, Yes to everything. Please modify railings for disabled - a friend in a wheelchair lives on Alberni and struggles to get through railings.Cardero Comments
In agreement with all proposed changes for both designs. Would add extra lane markings (if possible?) in addition to centre line on Coal Harbour near Westin. Lots of oblivious, lost tourists to contend with in summer.General Comments
Sara, I applaud your efforts! I am a West End commuter cyclist and member of the Auto Co-op so I appreciate this both as a driver and cyclist. I think each of these initiatives will improve safely for all concerned - pedestrians, cyclists, drivers, children and seniors.Chilco Comments
I really like this idea. It is important to encourage people to use bikes by making the roads more bike friendly.Cardero Comments
I really like this idea. It is important to encourage people to use bikes by making the roads more bike friendly.General Comments
It makes the city more appealing for tourists. Don't give too much credence to all the NIMBY responses. I live in the neighbourhood and I wholeheartedly welcome this!Chilco Comments
I think this is a great initiative. The more bicycle friendly routes we have the better for the safely of everyone: drivers, pedestrians, cyclists. I support this initiative 100%.Cardero Comments
I think this is a great initiative. The more bicycle friendly routes we have the better for the safely of everyone: drivers, pedestrians, cyclists. I support this initiative 100%.General Comments
Great work. Keep it up. Perhaps more friendly bike routes next year?Chilco Comments
noneCardero Comments
noneGeneral Comments
Any initiatives to improve ease of cycling round the West End is very appreciated. Good job on making info available to the public.Chilco Comments
Some good minor changes. Suggest raised intersection at Chilco and RobsonCardero Comments
Good design, suggestions: 1) Make traffic island on Nelson as big as possible the other traffic islands on Nelson seem too small. 2) Minipark at Comox next to school would benefit from bulging out as suggested at other mini park. 3) Don't think the detour at Georgia/Alberni is a good idea. 4) Better connection to sea wall at North End.General Comments
Glad to see we're finally getting some much needed attention to cycling facilities in West End. I found the changes pretty minor, but it's a start.Chilco Comments
I like the designs proposed.Cardero Comments
I like the designs proposed. Lights to help cross major streets are great!General Comments
Both of these routes are very valuable, for local cyclists and visitors (like myself), shopping at local businesses or traveling through to Lion's Gate and Stanley Park.Chilco Comments
noneCardero Comments
noneGeneral Comments
I'm in favour of preceding with these routes as it will provide a safer alternative route for cycling across the Lions Gate Bridge than Denman, and will make visiting Denman businesses more feasible for me!Chilco Comments
Very much in favour of project. Pedestrians deserve a safe environment, SO 3 way stops needed at all T-intersections. Robson and Chilco especially unsafe - there have been numerous pedestrian accidents here. DO NOT WANT A TRAFFIC CIRCLE - forces traffic into the line of pedestrian travel - please leave as a 4-way stop.Cardero Comments
Very much in favour of project. Pedestrians deserve a safe environment, SO, 3-way stops needed at all T-intersections. We already have one 3 way stop at T-intersection in the West End - they all need to be that way.General Comments
Generally very much in favour. Need to assure neighbours that mini-parks won't become bike highways. Lets have lots of bike stencils - more than on other bikeways - send a positive message.Chilco Comments
Good idea for commuters because there isn't much traffic. I just wonder if cyclists are going to take the shortest route - diagonal across the W. End.Cardero Comments
Good idea for commuters because there isn't much traffic. I just wonder if cyclists are going to take the shortest route - diagonal across the W. End.General Comments
noneChilco Comments
Good Work!Cardero Comments
Staff have done an excellent job of ensuring equal opportunity access.General Comments
Guess the older folks need more room for their cars!!!Chilco Comments
fineCardero Comments
fineGeneral Comments
Good to see some more progress. These changes are quite simple and presumably low cost. There still a GREAT need for a cross-town (East-West) route in southern Vancouver. Progress on the Kent route has been so slow.Chilco Comments
Good idea. Need more safety for cyclists, signs and stencils as well as awareness for motorists. Over all the more cycle friendly streets that are available the better!!Cardero Comments
Good idea. Need more safety for cyclists, signs and stencils as well as awareness for motorists. Over all the more cycle friendly streets that are available the better!!General Comments
More cycle paths!! Less Cars.Chilco Comments
It appears as though you have considered all concerns. Is there a reason why you have chosen Chilco over Lagoon Drive?Cardero Comments
noneGeneral Comments
Support; a great addition to the overall cycling infrastructure for the downtown core, the city, the Lower Mainland and the Province.Chilco Comments
The parking along one side of Chilco should be eliminated and a painted path should be put in for exclusive use of cyclists. As an aside - several times a week many running groups use the entire street at their risk in the midst of traffic.Cardero Comments
noneGeneral Comments
noneChilco Comments
1) Good choice for commuters doing Lions Gate Bridge. 2) Better route would be Lagoon Drive for cycling. 3) Seawall merge needs to have signs on both directions and big sign on Chilco that they need to yield to both pedestrians and cycle/skate traffic existing on seawall. Additional sign indicating Beach Ave is bypass route (for the commuting types).Cardero Comments
1) Over kill with Chilco Route. 2) With Safeway and Lord Roberts School - this should not be a route. 3) Bulge for lane between Dave and Burnaby is great idea.General Comments
I view the purpose of bikeways for commuting or going long distances. I find the West End is fairly bike friendly. There also needs to be a balance - Cardero bikeway tilts the balance too much in favour of bikes away from pedestrians.Chilco Comments
Looks fine to me - concern about Lagoon and Robson and Chilco intersection safety.Cardero Comments
Pedestrian/bike activated light at Beach and Cardero desperately needed. The only crossing (there is none) between Bidwell and Jervis! Pedestrians and cyclists have a very hard time trying to cross Beach in heavy traffic. Could you please try to co-ordinate to have Cardero and Bidwell signals on Beach synchronized so that on a busy Sunday afternoon with constant pedestrians pushing the buttons - that cars would have to stop at Bidwell for the red light and then Cardero for the red light instead of having them red simultaneously.General Comments
Please consider removing the 2 car parking spots on the east side of Denman north of Georgia. Right now that would make a perfect bike lane for all the people (tourists) routing bikes from shops on Denman St to cross Georgia St. and go along Denman to get on the seawall bike path. Hundreds of bikes are crossing Georgia here and heading for the seawall along Denman St. Issue #2 - Non-Bike Issue - Eliminate left turns (Put up No Left Turn Sign) on Alberni eastbound at Denman St. There is no reason people turning left here when the traffic is so backed up heading for Lions Gate Bridge. It causes accidents.Chilco Comments
noneCardero Comments
Consider alternate treatment for Beach and Cardero (instead of traffic signal consider raised crosswalks and also crosswalks at Nicola)General Comments
Improvements suggested generally ok. Include road pavement signage. Also consider incorporating blading with signage.Chilco Comments
A pedestrian view! Would be quieter for cyclists - fewer pedestrians, but many elderly and dog walkers - (where are these cyclists coming from?) The seawall is close and cyclists would probably prefer the seawall.Cardero Comments
Things to consider. Cardero St. has continual pedestrian trips and many elderly heading from (Pacific) Beach to Davie St. and Davie St. to Pendrell and Comox before dispersing - Bicyclists more very fast and have to cross Davie with buses and auto traffic in a rush.General Comments
If the cyclists are coming from downtown or from Burrard and Granville St. bridges then Cardero makes more sense but do we need a bicycle route in the west end if the downtown routes north and south are to be build?Chilco Comments
I understand there is a desire to make Vancouver streets bicycle - friendly, but I am concerned about the creation of a cycle path on Chilco which seems to be a narrow street. I am concerned about cross-impacts on pedestrians. We seem to believe cars, bicycles, other wheeled traffic can safely co-exist. I think it creates many dangerous situations, especially for the elderly (who may have less-than-perfect hearing and vision to alert them of dangers, and who may not be able to get out of the way quickly.) and for children. Vancouver used to be a pedestrian friendly city. I no longer find it so. Thank you for retaining the railings on the east sidewalk of Chilco at Robson. In this regard, thank you for responding to a major concern of the residents of Chilco Towers.Cardero Comments
noneGeneral Comments
noneChilco Comments
The cul-de-sac in the 700 block on Chilco is extremely useful in that it obligates traffic to slow down or come to a complete half, thus making this area, which is heavily used by pedestrians more secure and tends to decrease the sound-level.Cardero Comments
Any measure designed to encourage cyclists and skaters to increase (1) their speed and (2) their almost total disregard for the safely of pedestrians is a very bad idea.General Comments
noneChilco Comments
Comments regarding the designs for Chilco Street: The barrier to automobiles on Chilco Street at Robson provides a much used safe pedestrian path into Stanley Park. The Chilco Bikeway design proposes to compromise that safety by constructing a bikeway through the barrier so that bicyclists, motorcyclists, and skateboarders need not dismount when crossing the barrier. This violates the Transportation Division's policy of giving priority to pedestrian and handicapped over cyclists. No one should be under the illusion that a cyclist coasting down the Chilco hill will give the slightest thought to pedestrians crossing the barrier no matter how many signs "Watch Out for Pedestrians" are posted! The proposed Bikeway through the barrier is an unnecessary expense; the present Chilco Bikeway provides greater safety for pedestrians and handicapped at the cost of a minor inconvenience for cyclists.Cardero Comments
No comments regarding the designs for Cardero StreetGeneral Comments
Other Comments: The staggered railings on the East side of Chilco at Robson have for many years protected pedestrians from careless cyclists and motorcyclists who might otherwise ride on the sidewalk. We are grateful that the Bikeway changes involve only modifying these railings so that they are no longer a hindrance to motorized wheelchairs. We would like to see the modified railings duplicated on the West side of Chilco for there is a significant amount of north bound recreational bicycle traffic on Lagoon Drive that uses the West Chilco sidewalk as a bikeway. This traffic will have no incentive to use the proposed bikeway though the barrier and will continue to use the West sidewalk, continuing a serious hazard to pedestrians and handicapped since the Chilco hill encourages fast riding.Chilco Comments
The proposed bike path cut through the cul de sac is too wide - there is already a path for emergency vehicles - we don't need both at that width. With the proposed 3 m path, the present emergency path and the east sidewalk (with railings) there's not much left to the cul de sac.Cardero Comments
noneGeneral Comments
It is difficult to understand the need for the proposed bike path since there is already a path just 50 yards west.Chilco Comments
I feel that putting a bike path through Chilco Park is unsafe due to space and visibility limitations. All pedestrians, particularly the elderly and very young will risk injury unnecessarily. Also, I feel as there is vehicular traffic on Comox Street cyclists may also risk injury if they are not expected or seen coming out of Chilco Park. At very least a system should be in place forcing cyclists to dismount and walk their bikes through the park and sidewalk. It would be best however to use Lagoon Drive close to the tennis courts and park. After all it is only one street over.Cardero Comments
noneGeneral Comments
noneChilco Comments
The Council and all owners of 845 Chilco Street appose the use of Chilco Street to include as well as the heavy traffic we have at the present time (Gilford has been blocked off) a bicycle path. We recommend that the route should either go along Gilford Street or Lagoon Drive where there is far less traffic or no traffic. The most dangerous corner at the present time is at Chilco and Robson.Cardero Comments
noneGeneral Comments
noneChilco Comments
Fortunately, in the last few years, there has been a very large increase in the numbers of small children in the west end. The children are excited about being outside, and are generally running a few feet in front of their mothers. There are also a growing number of elderly people who move very slowly, and are more concerned with watching their feet and their walkers rather than being vigilant of bikes. In the summer people who live on Chilco St. Park have coffee (or a glass of wine) and chat with the neighbours and watch their children play. The mini park is a park. It is at best forty or fifty feet wide. The walkways take up very little of that width. Instead of encouraging bicycles in the park, they should be prohibited. Bicycles belong on roadways or on divided bike/pedestrian pathways such the one around Stanley Park or along English Bay Beach.Cardero Comments
noneGeneral Comments
noneChilco Comments
INSANE! It should not happen because; - increased non-resident traffic - senior/elderly neighbourhood - insufficient space - inadequate signage, lane markings. At least remove parked cars!Cardero Comments
noneGeneral Comments
noneChilco Comments
Ridiculous - Too much traffic as it is. Dump trucks - moving vans, etc. Too dangerous for seniors! They will have expressway through to Georgia. Narrow Road - ! Mini parks are for people not bikes!Cardero Comments
noneGeneral Comments
Lagoon Drive is 3 times as wide keep bikes in the park!Chilco Comments
My only concern is the use of Chilco mini park for cyclists. Seniors and cyclists do not mix! The park does not offer size or location for such misuse. Why not redirect cycle traffic from Georgia St and the West End into Lagoon Drive area via a designated cycle path. Council would doubtless sign a waiver with regard to their paying medical expenses/funeral costs for any accidents in Chilco Park! The idea of mixing scores of seniors, children and parents into such a small area does not follow the basic lengths of common sense. You are urged to examine other more sensible routes, thereby avoiding serious injuries to the elderly, parents and children. Trusting our concerns, warning of the serious consequences to pedestrian traffic in Chilco Park are most seriously considered.Cardero Comments
noneGeneral Comments
noneChilco Comments
noneCardero Comments
Mini parks are already being used by cyclists. It is not necessary to make adjustments so they can race even faster. Seniors walking especially find this frightening as cyclists come up behind them. If a person suddenly move sideways he/she would get hit. So suggest no adjustments be made to diverters or miniparks. The Burnaby and Cardero Mini Park is abundantly use by seniors. Bikes are wheels and should not be where pedestrians walk.General Comments
Would it be possible for a public meeting to be held at WECC so people can discuss the situation.Chilco Comments
noneCardero Comments
If mini parks are already being zipped though and diverters are no obstacle as bikers can jump their wheels over, which they do, why waste the money to make it more accessible so cyclists can race faster and endanger pedestrians. A person does not always hear cyclists coming behind. Money can better be used to clean the park. The one on Burnaby and Cardero is always so littered and volunteers have been cleaning it. Bikes are wheels and do not consider pedestrian safety.General Comments
There is also the problem of skate boarders and roller bladers. These persons will no doubt find it easier and enjoyable to use this route. Skate boarders are horribly noisy. A public meeting should be held in the W.E.C.C.Chilco Comments
I do not agree with taking out some of park on North side, possible 1 tree. Sara McKittrick was there, does she realize a mini park is for senior, children and parents, any nice day, baby strollers, wheel chair, walkers, little toddlers, even have benches and tables, what if a child decides to go to it's mother, the bikes flies there, he can't see the child, child killed or both hurt. Don't take a picnic, play place away from families.Cardero Comments
You are taking out two mini parks, why not pick 2 other streets with out a mini park used by families. Leave the mini parks for families. Try Children Friendly Park System.General Comments
I was told people from North Van ride bike over bridge, Burrard to UBC and work. Let them help pay solution. License put on all bikes in BC and drive on roads, I pay why not bikes to be licensed. Does this Project Mgr. or engineer want this on her conscious for a bike hurting or killing a child or senior. It can hurt bikes two. It is an accident waiting to happen. Put a bike license on all bikes you could make a fortune, then they can pay something for all the bike routes, even you spend money on English Bay bike route, have a license on all bikes in BC.Chilco Comments
noneCardero Comments
noneGeneral Comments
1) I request, urgently, a PUBLIC MEETING FOR THE WEST END RESIDENTS TO BE HELD IN THE WEST END COMMUNITY CENTRE ON DENMAN STREET. 2) What happened to the Vancouver City By law whereby developers had to provide 23 acres of parkland for every 1000 new residents? Where are all these parks? Where is the cash in lieu of these Parks? 3) Please review the "1982 West End Local Beautification and Improvement" project that taxed (extra) local West End residents multi millions of dollars, for the miniparks and diverters to stop transient traffic in the West End community (WE taxpayers should get a refund) 4) All miniparks should be free of any traffic and all traffic. Parks in the West End are precious commodity and scarce. For the Engineering Dept to plot for cyclists to take over our miniparks is wrong. Isn't a signed contract a deal? 5) Removing any minipark is to remove what is left of open space in the West End. To allow transient speeding bicycles through our mini parks will destroy the miniparks. Even on the roads bicycles are dangerous. 6) Cyclists instead of asking for more roads and more parks to speed though should abide by the motorist and pedestrian Rules and Regulations. Why should taxpayers provide more lights and roads for them? Why don't they pay for a license? It makes no sense at all not to make them pay for a license. Leave the Cardero Mini Parks alone. They provide a community sense of belonging. The two Cardero miniparks are used by thousands of people every day and night, of all ages and reasons. 7) There is something seriously wrong with a city that does not care about, and for, their parks. Why was a member of the Parks Board at this SHOWING meeting? As a parks board civil servant should he be defending our miniparks instead of encouraging transient bicycle traffic inside of them? And what is Parks Board doing about Hastings Park, Stanley Park, and now our Mini Parks? Where is the security in our parks As I believe, when elected politicians dont care for our parks, that city is not a livable city. Highrises dont make a city, they make a jungle of cement; gone are the views, the blue sky, the moon and stars. No one walks through the city at night. And night is a long time in the winter. 8) Developers have turned the beautiful West End into a nightmare of highrises and now you cant turn back the clock. It is too late. Where are the Parks?Chilco Comments
noneCardero Comments
noneGeneral Comments
It's all very well to make bikeways for people with bikes that pay no license fee. The question is WHY? No other country in the world would put bikeways through parks. Parks are for people. What if a child gets away from the parent and a bike comes through and hits child or anyone for that matter. Do you want a death on your hands. On any good day these parks are used by young families and older people just to rest. Why did the City spend money on the parks to start with. You must of thought there was a need, which there is. You are looking for trouble same as we had on the sea wall.COMMENTS FROM EMAIL
Hello,
I work downtown and always commute to work and to other places using my bicycle. I certainly support construction of bikeways along Chilco St. and Cardero St.
These routes will be very useful for me as a downtown cyclist, for access to Stanley Park, the Lion's Gate Bridge, and businesses on Denman St. The designs shown at the recent open house will definitely improve my cycling experience, but I could tolerate modifications in the Comox park area if it is felt that they are necessary for increased pedestrian safety. If pedestrians are concerned about speeding cyclists, perhaps an easy modification would be to add some mild speed humps, with suitable warning signs about the humps.
Yours truly,I support construction of bikeways along Chilco St. and Cardero St.
These routes will be very useful for me as a downtown cyclist, for accessing Stanley Park, the Lion's Gate Bridge, and businesses on Denman St. The designs shown at the recent open house are satisfactory to me and will improve my cycling experience.
The Chilco St. bike route is essential as any off-road bike path, such as the Seaside Path, needs on-road Bypasses. The Seaside Path has many such Bypass such as the Prospect Point Road, Pacific Boulevard, Lemay Mills Rd, 3rd Ave. and soon. Off-Road bike paths built up traffic to a point where cyclists can no longer ride on them safely. We are fortunate that we have a high number of tourists to this city that use the bike path. During good weather the bike path draws people off their couch and on to their bicycles for better health. For regular cyclists these cyclists speed and their cycling skills make it very uncomfortable for regular cyclists to be on the path with them, as well as overall cycling volume on the path. So, on-road bypasses are required, especially in the section from Burrard Inlet to English Bay parallel to the bike path by Lost Lagoon which Chilco St. provides. Personally, we need a bike path in this section of town and it could be on Chilco St. or on the street just to the east. Both are acceptable to me.
What is not negotiable is not having an on-road bike route.Hi,
I'm in complete support of increased bike routes in the West End. As a cycle commuter, I welcome any measures to increase safety and ease of greener forms of commuting in this city.
Way to go!I am writing in support of the proposed Chilco and Cardero bike routes. As a downtown cyclist, I would especially find the addition of cyclist pushbuttons at Robson / Cardero to be very useful.
Thanks!Hello Sara,
I am not able to attend the open houses re both the Chilco and Cardero Street bikeways but I would like to express my support of the general concepts of these additions to the bike network in the West End.
Thank you.Ms Mckittrick,
Unfortunately I was not able to attend the open house but I want you to know that the designs shown the open house are satisfactory to me.
It will be more likely for me to go downtown and use my favorite mode of transport because it will be easier for me to access Stanley Park, the Lion's Gate Bridge, and businesses on Denman St. Im always looking for the safe routes which increase my comfort level as well as shopping and dining convenience. As a retired person I feel lucky to have the time
Improving safety for pedestrians at the Comox minipark is a good idea.
Thank you for all your efforts!I hope to attend the meeting on the 24th, but would like to know if there is an intention to resume any vehicle throughways along Cardero in order to allow access for bikes.
I would hope the traffic calming devices will stay in place.
Also what will be the effect on parking along Cardero St. (of particular interest to me would be from Beach to Davie)?We have been given to understand that the proposed bike route on Chilco Street is to be three meters wide which would suggest that about one third of the roadway would be reserved for cyclists. What about the existing parking facilities? We want to be on record as being strongly opposed to such a plan. It is bad enough that almost no cyclist obeys the rules of the road, particularly when it relates to stop signs and traffic lights. It has been our experience that "pedestrian beware" is tattooed on some bikers' foreheads. My wife was knocked down at the corner of Nelson and Chilco streets when she was standing on the sidewalk waiting for the light to change, and was fortunate not to have been more seriously injured than she was. What happens to the park between Nelson and Comox? If three meters of that space is taken, pedestrian traffic will be at risk, and presumably, those who take advantage of the park as a place to sit and enjoy the flowers will no longer feel as free to do so. Please let us know how our objections to this plan can be recorded along with what we would hope to be many others.
regarding my email of 11/11 my wife's encounter with the cyclist was at the corner of Nelson and Denman rather than at Chilco street.Dear Ms McKittrick: I am a resident of Chilco Street, and am a driver, sometimes biker, and pedestrian. It is with great trepidation that I hear (for the first time) about a plan to create a bike lane along Chilco Street. Until now, cyclists have only occasionally been seen on and around West of Denman, and I doubt it has occurred to many of them to use it as a thoroughfare between Beach and Georgia.
1. Increased non-resident traffic;
The creation of a bike lane will channel cyclists onto Chilco. Between May and September, it would bring huge numbers of cyclists onto our residential street, and, by ripple effect, into the entire area of west of Denman. This is a high density, senior neighbourhood. Drawing attention to Chilco Street as a lane would invite a massive overflow population from the Park and the beach. Safety -- not to mention continuous "startle effect" -- from the many types of "wheels" (speed biking, roller blading, motorized scooters and cars, etc) would become an issue. It would also turn our area into a playground for anyone and everyone.
2. Existing Bike Routes and Facilities are Adequate;
The already are several alternative routes nearby: the Park Boundary Lane (presently not a bike route (why not?) ), Lagoon Drive, (connecting to roads on either side of the Fish House), the road between the outdoor pool and Georgia, the Park trails, and the seawall. Three of those already join Beach Ave. to Georgia. Why use the inadequate roadways where existing alternatives exist?
3. Lack of enforcement of present problems:
As we must certainly be aware, many of the West end's present complaints about noise, break-ins, traffic violations, etc are all dismissed as too much to handle by the enforcement agencies because of underfunding and overworked facilities. Adding stress to these problems can only increase these problems.
Concerned Chilco Resident2004 November 24
Via e-mail: sara_mckittrick@city.vancouver.bc.ca
Re: Chilco St. Bikeway
Sara McKITTRICK,
Here are my objections to the proposed Chilco and Cardero St. bikeways:
There are four objections to the present "plan" (read non-plan):
1. Increased non-resident traffic;
2. Existing bike routes and facilities are adequate;
3. Older resident population not compatible with increased younger population;
4. Lack of enforcement of present problems.
To add safe bike routes to the West-End you must:
1. Create proper bike lane space;
2. Designate bike lanes including proper signage;
3. Have proper enforcement available for the new traffic;
4. Respect existing (senior) residential areas.
PROBLEM
If parked cars on Denman is an issue for a safe bike route there, why isnt it an issue on Chilco and Cardero streets?
SOLUTION:
Remove street parking West of Denman and replace with a multi storey Pay-Parking Lot on the existing Tennis Court lot.
Thank youAPPENDIX F
PAGE 1 OF 1LETTER FROM WERA
Mayor and Council
We are writing to give feedback on the proposed Chilco and Cardero bikeways. With over 50% of residents in the West End commuting to work by modes other than the private automobile, improvements to both bicycle, pedestrian and transit facilities benefit the majority of West End residents. We are pleased that the downtown peninsula is finally getting a bike way, we are one of the last communities in Vancouver to receive on street bicycle facilities. Over the past 2 years it has been disappointing to see many of the proposed bicycle facilities such as the Sunset bike path extension and the Burrard bridge bicycle improvements put on hold. It is distressing that bicycle facilities have taken a back seat in the downtown core, an area of the city that is most in need of safe bicycle facilities.
Our association supports the proposed changes planned for Chilco and Cardero St. While the changes are quite small in scope, they are improvements that are very much needed in our community. It is our hope that council will refocus its transportation priorities to those stated in the overall Downtown Transportation Plan, and commit to expediting the slow pace of improvements for cyclists and pedestrians in the downtown peninsula.
Sincerely yours
Rob Wynen
president West End Residents AssociationAPPENDIX G
PAGE 1 OF 1MOTION FROM BAC
Below is an extract from the minutes for the January 19th BAC meeting.
4. Chilco and Cardero Bikeways
RESOLVED
THAT the Bicycle Advisory Committee support the Chilco and Cardero Bike Routes as presented at the meeting.
CARRIED UNANIMOUSLY