Vancouver City Council |
CITY OF VANCOUVER
POLICY REPORT
DEVELOPMENT AND BUILDING
Date:
September 28, 2004
Author:
J Lee
Phone No.:
7088
RTS No.:
04469
CC File No.:
5303/8103
Meeting Date:
October 5, 2004
TO:
Vancouver City Council
FROM:
Director of Current Planning
SUBJECT:
Text Amendments to the Coal Harbour ODP (By-law No. 6754) and Burrard Landing CD-1 (By-law No. 7679)
RECOMMENDATION
THAT the Director of Current Planning be instructed to make application to:
· amend the Coal Harbour Official Development Plan, By-law No. 6754, to permit minor intrusions into the Burrard and Thurlow Street-end view corridors for feature building and landscape elements generally as presented in Appendix A;
· amend the Burrard Landing CD-1 By-law (No. 7679) to reflect refinements to the design of the proposed convention centre expansion while remaining consistent with the intent of the By-law, generally as presented in Appendix B.
FURTHER THAT the application, together with draft by-law amendments, be referred to a Public Hearing;
AND FURTHER THAT the Director of Legal Services be instructed to prepare the
necessary By-laws, generally in accordance with Appendices A and B, for consideration at the Public Hearing.GENERAL MANAGER'S COMMENTS
The General Manager of Community Services RECOMMENDS approval of the foregoing.
COUNCIL POLICY
· Coal Harbour Official Development Plan, approved November 1990, amended November 2002 to permit Convention and Exhibition Centre use;
· CD-1 By-law No. 7679 for Burrard Landing (201 Burrard Street), approved November 1996, amended November 2002 to permit a Convention and Exhibition Centre and provide floor area and height limits to accommodate this use;
· Burrard Landing CD-1 Guidelines (201 Burrard Street), approved November 1996;
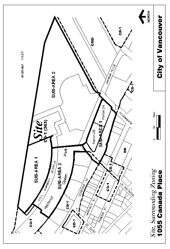
· Vancouver Convention and Exhibition Centre (VCEC) CD-1 Guidelines - 100 Thurlow Street, approved November 2002 to guide development of the proposed VCEC site.MAP - Burrard Landing CD-1 Area
PURPOSE AND SUMMARY
As part of an internal review of the preliminary development application received May 18th, 2004 and revised June 28th, 2004 for expanded convention centre facilities at Burrard Landing, staff have identified several amendments to the Coal Harbour Official Development Plan (CHODP) and CD-1 By-law for Burrard Landing that would help to achieve the City's objectives and design aspirations for the site. This report reviews the design benefits of permitting minor intrusions into the Burrard and Thurlow Street-end view corridors for building and landscape elements. The report also seeks minor amendments to the Burrard Landing CD-1 By-law, based on a more current understanding of project parameters than existed leading up to the 2002 rezoning. Specifically, the proposed amendments are to revise the definitions of "Base Surface" and "Exhibition Hall", reallocate unused Retail and Service floor area between approved uses, and specify the height of outboard structures beyond the walkway system in sub-area 2 (see map on page 2 for sub-area locations).
The report reviews implications of making these amendments and recommends referral of an application to Public Hearing.
BACKGROUND
Burrard Landing was rezoned in 1996 as a Comprehensive Development (CD-1) of mixed uses including residential, office, marine-oriented, and Arts Complex uses. In 1999, City staff began to review concepts for a potential expansion of convention and exhibition facilities at Burrard Landing. A wide consultation process was initiated to solicit public feedback, and in November 2002, Council approved amendments to the Coal Harbour Official Development Plan (CHODP) and the CD-1 By-law to permit a Convention and Exhibition Centre at Burrard Landing. Design Guidelines developed out of the same consultation process were also approved by Council in 2002, in order to guide development of the future convention centre.
Over the past three years, the concept for an expanded convention centre has evolved. The current scheme being assessed provides greater clarity while containing elements that differ from that which was being reviewed at the time of the 2002 rezoning. Furthermore, in September 2003, the City released its interest in the Coal Harbour Arts Complex site to Vancouver Convention Centre Expansion Project Ltd., with Council directing staff to seek an alternate Arts Complex site. Reviewing City policy in light of these developments has led staff to identify several amendments that are desirable to update and clarify the intent of the CHODP and Burrard Landing CD-1 By-laws.
A related rezoning application (text amendment) to reallocate floor area between approved uses in the Burrard Landing CD-1 By-law was submitted by Vancouver Convention Centre Expansion Project Ltd. on July 23rd, 2004. The applicant has noted that, as a result of staff's internal policy review and the Director of Planning's recommendations to initiate the current text amendments, that application is now redundant, and has subsequently withdrawn the application.
DISCUSSION
Views in the Coal Harbour Official Development Plan (CHODP)
The CHODP sets out the preservation of all northerly corridor views along existing Downtown north-south streets -- including Burrard and Thurlow Streets -- to the water and mountains, permitting minor intrusions into these view corridors for "marine vessel berths" (i.e. floating structures) only. As the design of the convention centre expansion at Burrard Landing has evolved, additional intrusions have been proposed and assessed. Staff conclude that permitting additional minor intrusions into the Burrard and Thurlow Street-end view corridors for isolated feature building and landscape elements could contribute to the achievement of the urban design, public amenity and "landmark" quality objectives outlined in the Council-approved Vancouver Convention and Exhibition Centre (VCEC) CD-1 Guidelines. A text amendment to the CHODP to this effect is therefore recommended.
Definitions (CD-1 By-law)
The existing "Base Surface" elevation of 14 m in the CD-1 By-law was conceived when there was little certainty about the design of the Canada Place viaduct and the building grades on the north side of Canada Place. The design of this street has evolved significantly beyond that contemplated at the time of the 2002 rezoning, and presently reflects the design grades sought for the convention centre expansion. Staff recommend the Base Surface elevation be increased from 14.0 m to 14.5 m to be consistent with the current design of Canada Place. While this amendment would change the elevation from which the building height is measured, the maximum allowable building height would be maintained. Staff conclude that any impacts to the surrounding community as a result of this minor amendment would be negligible, also noting that existing By-law provisions allow the Development Permit Board or Director of Planning the discretion to increase building height to achieve the City's urban design objectives.An additional existing clause specifying base surface calculation, including for the marina development, is also proposed to be deleted, as it is redundant in relation to the proposed base surface provisions noted above.
The current definition of "Exhibition Hall" specifies 23 225 m2 as both a minimum and a maximum exhibition hall floor area, due to the presumed certainty at the time of rezoning regarding size. The intent of defining a minimum floor area was to ensure the development of an exhibition facility that would form an integral part of the convention and exhibition centre, rather than a space that purported to be an exhibition hall but was not associated with a convention and exhibition centre (e.g. hotel ballroom). Amending the minimum floor area in the definition of "Exhibition Hall" would allow a facility to be developed at a size between 21 000 m2 and 23 225 m2. Staff also recommend clarifying the definition to specify a minimum 8 m ceiling clearance for display areas only.
Floor Area and Density (CD-1 By-law)
With regard to Retail and Service use, the current By-law sets out maximums for floor area in conjunction with "Cultural/Recreational (Arts Complex), excluding Hotel" use, as opposed to floor area in conjunction with "Convention and Exhibition Centre, excluding Hotel" use in sub-area 2. An Arts Complex is no longer envisioned for the site, thereby eliminating the need for retail and service to be in conjunction with that use. As such, staff recommend that 1 400 m2 of Retail and Service floor area in conjunction with "Cultural/Recreational (Arts Complex), excluding Hotel" be transferred to the "Retail and Service in conjunction with Convention and Exhibition Centre, excluding Hotel" use category in sub-area 2. This use category would encompass retail that is not ancillary to, or linked in a business sense to, a convention centre, as well as retail that is not developed concurrently with the convention centre, so long as there is a convention centre on the site.Staff further recommend that the remaining 600 m2 of Retail and Service floor area in conjunction with "Cultural/Recreational (Arts Complex), excluding Hotel" be transferred to the "Retail and Service, excluding Hotel" use category in sub-area 3. This amendment arises out of the review of the convention centre expansion design, which includes a retaining structure to be built at the eastern end of Harbour Green Park, below grade in the transition area as the grade rises from the Park to the plaza on the proposed convention centre site. Staff have identified an opportunity to locate an animating use, preferably a restaurant, at the northern edge of this structure adjacent to the seawall. In addition to providing scrutiny for the entry point to underground access -- consistent with Crime Prevention Through Environmental Design principles -- a restaurant would create a destination along the seawall that capitalizes on this natural point of pedestrian convergence. Impacts on surrounding residents from such a development would be minimal, due to both its orientation and distance away from the residential development to the south. Visual impacts would further be minimal, due to the restaurant's location predominantly below the park transition area. The allowable floor area proposed through this amendment would only be utilized if the Park Board were to initiate a development application on the edge of the park site. The application would address detailed design and impact aspects.
Height of Structures on the Water (CD-1 By-law)
With regard to the height of any structure (other than an architectural feature) between the harbour headline and the waterfront pathway in sub-area 2, the By-law's intent to limit the height of such structures would be eliminated by the proposed deletion of the clause in the Definitions Section that specifies calculation of Base Surface, including for the marina development. In order to achieve the intent of the By-law, staff recommend an amendment to specify a maximum elevation of 9.0 m (geodetic) for any structure in the area to ensure the preservation of views over the water, as aspired to in the VCEC CD-1 Guidelines. The amended height limit would be just below the 9.5 m elevation of the anticipated waterfront pathway at Burrard Landing. Staff further propose allowing the Development Permit Board the discretion to permit additional limited height in this area for isolated structures that would help achieve the City's urban design objectives.PUBLIC PROCESS
Due to the minor nature of these amendments, staff propose to notify surrounding residents and businesses only once this report has been referred by City Council, when they can choose to participate at the Public Hearing. Stakeholders and individuals who have previously expressed an interest in this area will be notified of the report to Council.
CONCLUSION
Several minor amendments are required to the Coal Harbour Official Development Plan (CHODP) and CD-1 By-law for Burrard Landing to clarify the intent of existing provisions. Staff have concluded that these amendments would contribute to the achievement of a sound convention centre expansion development at Burrard Landing that is compatible with the City's policy and urban design objectives. The Director of Current Planning recommends that he be instructed to make application to amend the CHODP, generally as shown in Appendix A, and the Burrard Landing CD-1 By-law (No. 7679), generally as shown in Appendix B, and that the application be referred to a Public Hearing and approved.
- - - - -
APPENDIX A
DRAFT BY-LAW AMENDMENTS
COAL HARBOUR OFFICIAL DEVELOPMENT PLAN
By-law No. 6754Note: An amending by-law will be prepared generally in accordance with the revised provisions listed below, which are subject to change and refinement by staff prior to posting for the public hearing.
Views
· Amend Section 3.5 to permit minor intrusions into the Burrard and Thurlow Street-end view corridors for isolated building and landscape elements.
APPENDIX B
DRAFT BY-LAW AMENDMENTS
201 Burrard Street
By-law No. 7679Note: An amending by-law will be prepared generally in accordance with the revised provisions listed below, which are subject to change and refinement by staff prior to posting for the public hearing.
Definitions
· In Section 3, amend the definition of "Base Surface" for sub-area 2 to be a horizontal plane that extends outward to the harbour headline from a 14.5 m (geodetic) elevation on the Canada Place viaduct, and delete the clause specifying base surface calculation, including for the marina development.
· In Section 3, amend the definition of "Exhibition Hall" to consist of a minimum floor area of 21 000 m2 and specify a minimum 8 m ceiling clearance for display areas only.
Floor Area and Density
· In Section 6.5, Table 2 Chart B for sub-area 2, reallocate 1 400 m2 of floor area associated with "Retail and Service in conjunction with Cultural/Recreational (Arts Complex), excluding Hotel" use, to "Retail and Service in conjunction with Convention and Exhibition Centre, excluding Hotel" use.
· In Section 6.5, Table 2 Chart B for sub-area 2, reallocate 600 m2 of floor area associated with "Retail and Service in conjunction with Cultural/Recreational (Arts Complex), excluding Hotel" use, to "Retail and Service, excluding Hotel" use in sub-area 3.
Height
· In Section 7.4, specify the maximum elevation for any structure located in sub-area 2 between the harbour headline and any waterfront pathway to be determined by a horizontal plane extending to the harbour headline from the pathway at the 9.0 m (geodetic) elevation.
· Add a clause 7.5 as follows:
"Notwithstanding Section 7.4, the Development Permit Board may permit an increase in the maximum height in sub-area 2 between the harbour headline and any waterfront pathway, for intermittent, widely spaced structures up to a maximum
14.0 m geodetic elevation including architectural appurtenances, provided that it first considers:
(a) the intent of this Schedule, all applicable policies and guidelines adopted by Council and the relationship of the development with the adjacent Convention and Exhibition Centre and commercial areas; and
(b) the height, bulk, location, and design of the structure and its effect on the site, surrounding buildings and open space, any waterfront pathway, streets and existing views."* * * * *