Vancouver City Council |
POLICY REPORT
DEVELOPMENT AND BUILDING
Date: June 8, 2004
Author/Local: Dave Thomsett/7796
RTS No. 04281
CC File No. 5308
Meeting: June 22, 2004
TO:
Vancouver City Council
FROM:
Director of Current Planning in Consultation with the Subdivision Approving Officer
SUBJECT:
CD-1 Rezoning - 2876 West 33rd Avenue
RECOMMENDATION
A. THAT the application by Art Cowie, Eikos Planning Inc., to rezone 2876 West 33rd Avenue (Lot 2, Block 48, DL 2027, Plan 2283) from RS-5 to CD-1, to permit a three-unit fee simple rowhouse under the Neighbourhood Housing Demonstration Program, be referred to a Public Hearing, together with:
(i) revised plans received June 1, 2004;
(ii) draft CD-1 By-law provisions, generally as presented in Appendix A; and
(iii) the recommendation of the Director of Current Planning to approve, subject to conditions (a), (c) and (d) contained in Appendix B.
FURTHER THAT the Director of Legal Services be instructed to prepare the necessary CD-1 By-law generally in accordance with Appendix A for consideration at a Public Hearing.
B. THAT, subject to approval of the rezoning at a Public Hearing, the Subdivision By-law be amended to exclude the site from the minimum street frontage requirement as set out in Appendix A; and
FURTHER THAT the Director of Legal Services be instructed to bring forward the amendment to the Subdivision By-law at the time of enactment of the zoning By-law.
CONSIDERATION
C. THAT, as an alternative to condition (a) in Appendix B to approve the form of development in principle, condition (b) in Appendix B be approved to require redesign of the proposal using RS-5 contextual design.
GENERAL MANAGER'S COMMENTS
The General Manager of Community Services RECOMMENDS approval of A and B, and puts forward C for CONSIDERATION.
COUNCIL POLICY
Relevant Council Policies for this site include:
· CityPlan Rezoning Policy - Before and During Neighbourhood Visioning, adopted by Council January 18, 1996.
· RS-5 Design Guidelines, adopted by Council July 20, 1993 and amended in 1994,1996, 1997 and 2003.PURPOSE AND SUMMARY
This report assesses an application to rezone a single parcel from RS-5 One-Family Dwelling District to CD-1 Comprehensive Development District to permit a three-unit fee simple rowhouse as a Neighbourhood Housing Demonstration Project (NHDP) illustrated in Appendix E. While the proposal does not fully meet the criteria needed to support rezoning as a NHDP, it does demonstrate a rowhouse multiple dwelling with small lot fee simple ownership which no other applicant has pursued.
Staff recommend that the application be referred to a Public Hearing and approved with conditions. An alternative condition is put forward for Council's consideration, should Council wish to support a neighbourhood concern that the project is not contextual in its design.
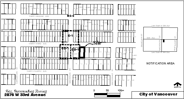
MAP
DISCUSSION
Neighbourhood Housing Demonstration Project: The site is located within the boundary of the recently-started visioning process for Arbutus Ridge/Kerrisdale/Shaughnessy. The CityPlan Rezoning Policy - Before and During Neighbourhood Visioning states that rezoning applications will be considered for, amongst other things, Neighbourhood Housing Demonstration Projects (NHDPs), on the condition that:
· the application demonstrate a new housing form in the neighbourhood, improved affordability, and a degree of neighbourhood support; and
· any increase in land value, beyond the normal profit allowed by the City's standard bonusing process, be converted into improved affordability.The application is assessed against these criteria.
New Housing Form (and fee simple ownership): While a rowhouse is not a new housing form, the closest example is some distance away at 5338-5490 Larch Street, which is another NHDP on the edge of the Kerrisdale apartment district.
What is new, that exists nowhere in the city, is a proposed rowhouse with small lot fee simple ownership. Rather than being strata titled, each of the units would sit on its own legal parcel. There would be required common wall agreements for shared walls, but other agreements regarding maintenance, renovation, rental policy etc. would be at the discretion of the owners themselves. All City services, including sewer, water, hydro and garbage collection would be handled separately for each parcel with the exception of storm water runoff which could be handled jointly. There is considerable interest in the market for this form of ownership, but no developer has yet been willing to take the lead to be the first to try it.
Staff support a demonstration of this form of ownership to see how well it works. It could be widely used in zones that permit rowhouses or through rezoning proposals as a way to provide more land-efficient housing as an alternative to one-family dwellings. The demonstration would also be useful for participants in visioning programs to help determine if rowhouse zoning, with or without fee simple ownership, should be supported in their areas. The new housing form criterion is therefore met.
Improved Affordability: This criterion is partly met. The applicant advises that the two 5.6 m (18.5 ft.) wide units would market in the $800,000 range because of the high quality of concrete construction and other design features. This price range compares with some new one-family dwellings on small lots in the area. The applicant intends to live in one of these units. The central 4.0 m (13 ft.) wide unit would market in the $400-500,000 range which is more affordable than a new house in the area. The applicant intends that his daughter and family will live in this unit.
Staff believe that the relative affordability of a single unit is not sufficient to meet the NHDP affordability criterion. However, because of a strong desire to see a demonstration of fee simple rowhouses, staff would support waiving this criterion for this project.
Degree of Neighbourhood Support: This criterion is partly met. Prior to the submission of the application, the applicant held an open house with posted drawings and a model of the proposal. The function was lightly attended and comments received were generally positive. Notification was limited to the immediate block.
Upon receipt of the formal application, staff notified the standard approximately two-block radius around the site and asked the applicant to erect a yellow rezoning notification sign on the site. In response, staff received phone calls, e-mails and letters from people in the neighbourhood, the majority of whom were opposed to the fee simple row house concept and the flat roof design. However, most had not seen the plans or the model.
Staff re-notified the area with an invitation to a public meeting to give the neighbourhood an opportunity to hear a staff explanation of the policy context, to view the drawings and model and to hear a presentation from the applicant. The meeting was attended by 37 people, of whom 27 indicated they live within the immediate area. The opinions expressed by local people were mixed on the rowhouse land use and fee simple ownership concept, but generally negative about the flat roof, contemporary design. The opinions expressed by those from outside the area were generally positive. Nine people filled out comment forms, most of which were supportive of the proposal.
The total input from individuals (letters, e-mails, response forms, information meeting speakers and phone calls) is summarized as follows:
local people in favour - 14*
local people opposed - 36
(*four support the concept, but not the flat roof, contemporary design)
outside people in favour - 9
outside people opposed - 0A petition was submitted June 8, 2004 with 99 names opposed to the rowhouse concept and the design.
The applicant advises that the neighbours in the multiple dwelling to the west, and the one-family dwelling to the east are in favour. A complete analysis of public input is outlined in Appendix D.
Density: Under the current RS-5 zoning, the maximum permitted floor space ratio (FSR) is 0.60 which may be conditionally increased to 0.70 if the contextual RS-5 Design Guidelines are followed. However, the above-grade conditional FSR is limited to 0.24 plus 130 m² (1,400 sq. ft.).At 0.24 FSR plus 130 m², the currently permitted above grade floor space on the subject site is 302 m² (3,250 sq. ft.). Total permitted floor space, including below grade space, is 502 m² (5,399 sq. ft.), although it may not be possible to achieve the full 0.70 FSR on this wide lot because of the limits to the size of the basement.
Proposed, is a floor space ratio of 0.691, all above grade, plus below grade storage and mechanical space that the applicant requests be excluded from FSR calculations. The proposed above-grade floor space is 499.94 m² (5,381.5 sq. ft.). The proposed below-grade space is 129.50 m² (1,394 sq. ft.). Any below grade space over 1.2 m (4 ft.) would be counted in the FSR. The total FSR, including the below grade space is therefore 0.87, and the total floor area is 629.45 m² (6,775.5 sq. ft.).
By comparison, the neighbouring CD-1 zoned site containing a two-storey multiple dwelling is built to 0.84 FSR, all above grade. Mixed use developments in the nearby C-1 shopping district can be built to a maximum of 1.2 FSR.
Staff have considered whether there is a rationale for the rowhouse building to be significantly larger above grade than would be permitted for a one-family dwelling under RS-5. The only logical argument is that the above grade space in the rowhouses is needed for the principal rooms (living, kitchen, bedrooms), whereas under RS-5 there is sufficient above-grade floor area in a one-family dwelling for all these rooms, with surplus space available for basement-type activity or for a secondary suite. If the project were to be completely redesigned, it would be possible to lower the building by locating bedrooms in a basement and reducing or eliminating the third floor. The applicant is not interested in pursuing an alternative floor plan and staff are prepared to support the above-grade density in order to allow for principal rooms not to have to be located in a basement. Staff are also prepared to support the below grade storage and mechanical space that would be included in FSR calculations, but be limited in the CD-1 By-law to below grade space.
Form of Development (Note Plans: Appendix D): Proposed, is a flat-roof, modernist building which is three storeys high plus a storage/mechanical cellar. The top storey is approximately 3/4 the size of the main floor, with balconies to the front and rear. The Height is 9.24 m (30 ft.), measured from base surface.
The neighbourhood where the site is located is zoned RS-5 that permits houses larger than permitted in RS-1 districts if contextual guidelines are followed and significantly pitched roofs are provided. When staff dealt with this proposal at the inquiry stage, it was concluded that because the project would remove the site from the RS-5 zoning, and because of its location next to a CD-1 zoned multiple dwelling and across from a C-1 commercial district, that consideration of the RS-5 contextual guidelines would not be required.
Staff generally look to the Urban Design Panel for advice on design matters. The Panel supported the three storey, contemporary flat roof design and limited its comments to the need to make the units less commercial looking and to increase their individuality. These changes have been made on the revised drawings submitted June 1, 2004.
In the neighbourhood, the flat roof, three storey design has been the most controversial element with this rezoning. Most of the residents who have written or called are opposed to the flat roof, the three-storey bulk and the contemporary design. Local residents are aware of, and support their RS-5 zoning and contextual guidelines and feel that a building that does not meet these guidelines has no place in the neighbourhood. A few local residents support the rowhouse concept but not the design.
Staff can understand the concerns of the neighbours, but also value the advice of the Urban Design Panel. However, should Council wish to support the neighbourhood concern about the design, staff are putting forward for Council's consideration an alternative design condition that the form of development in a development application must follow the RS-5 Design Guidelines. This could still result in a contemporary design, but the rooflines and facade elements would more closely fit the character of the existing houses in the block.
Community Visioning Programs: Mackenzie Street is the boundary between the Dunbar Community Vision, approved in 1998, and the recently-started Arbutus Ridge/Kerrisdale/Shaughnessy (ARKS) visioning process where the rezoning site is located.
The Dunbar Community Vision has no policies that apply to the 33rd and Mackenzie shopping district. New housing forms are supported only along 16th and 41st Avenues and Dunbar Street, and only after further planning which has not yet occurred. There is no policy to support the current rezoning application if it had proposed to rezone an RS-5 site to the west of Mackenzie Street.The ARKS process is underway, and there have been workshops on commercial nodes. However, the subject rezoning application is being processed completely independently of the visioning process because new directions for the area will not be decided for at least a year. As noted above, a rezoning application can be considered as a NHDP during a visioning process.
Subdivision By-law Amendment: The subject site and other RS-5 zoned parcels in the block containing the site are in Category "D" under the subdivision By-law. this establishes a minimum parcel width of 17.788 m (60.0 ft.) and area of 501.676 m² (5,400 sq. ft.) for new parcels. Section 9.5 of the Subdivision By-law also currently requires every parcel in the city to have a minimum street frontage of 7.315 m (24 ft.). The parcels resulting from the subject rezoning would have a width of approximately 7.15 m (23.5 ft.) for the two outside units including the sideyards, and 4.0 m (13.1 ft) for the narrow centre unit.
The Subdivision Approving Officer's consideration of the proposed rezoning and development concept is limited to the explicit and fundamental site subdivision into three parcels, as distinct from a conventional or bare land strata titling, for the contemplated rowhouse development. The specific design of the rowhouse development presently proposed is not within the Approving Officer's perview. Nor is the design of what may replace it as individual parcels (if created) are redeveloped in the future.
The Approving Officer is supportive of smaller parcels that can viably support independent use and redevelopment, in perpetuity. Requisite City services can be provided and fundamental by-law requirements satisfied, such as those of the Building By-law, on parcels such as proposed in this initiative, should Council be supportive of introducing smaller parcels into the larger parcel context of this residential neighbourhood.
If the rezoning is approved, the current RS-5 category "D" parcel requirements would be removed via consequential By-law amendment. The Subdivision Approving Officer would also support and recommend an amendment to the Subdivision By-law to exempt this site from the minimum street frontage requirement, as set out in Appendix B.
Building Code: For buildings divided by property lines, the developer has several choices for compliance with the Building By-law. See comments from the Chief Building Official in Appendix C.
Applicant's Comments: The applicant's comments are attached as appendix D.
CONCLUSION
Staff conclude that the rezoning application can be supported as a Neighbourhood Housing Demonstration Project because of a strong desire to see the demonstration of a fee simple rowhouse. However, two of the three criteria needed to support a NHDP are only partly met, including level of affordability and neighbourhood support. On the latter, the most significant opposition is to the flat roof, three storey contemporary design.
Staff RECOMMEND the application be referred to a Public Hearing and approved, subject to conditions. Staff also put forward, for CONSIDERATION an alternative condition that the form of development be redesigned to conform with the RS-5 Design Guidelines.
* * * * *
APPENDIX A
DRAFT BY-LAW PROVISIONS AND AMENDMENTS
CD-1 BY-LAW PROVISIONS:
Note: A By-law will be prepared generally in accordance with the provisions listed below, subject to change and refinement prior to posting.
Use
· Multiple dwelling containing a maximum of three dwelling units.
Density
· Maximum floor space ratio of 0.87, based on calculation provisions of the RS-5 District Schedule, subject to the following:
· The area of all floors at or above finished grade and of the floors of any storey, basement or cellar located below a storey which has a floor surface located 1.56 m (5.1 ft). or more above finished grade shall not exceed a floor space ratio of 0.691.
Height
· A maximum of 9.14 m (30 ft.) or three storeys measured from base surface.
· Party walls between dwelling units may project as vertical parapets 0.6 m (2.0 ft.) above the maximum height.Setback
· A minimum setback of 1.473 m (4.83 ft.) from the west property line.
· A minimum setback of 1.524 m (5.0 ft.) from the east property line.
· A minimum setback of 5.2 m (17.1 ft.) from the front property line.
· A minimum setback of 19.6 m (64.3 ft.) from the rear property line.
Parking
· Per Parking By-law, except that a minimum of three off-street parking spaces must be provided.
SUBDIVISION BY-LAW AMENDMENTS:
Section 9.5 is amended to exclude the site currently addressed as 2876 West 33rd Avenue from the requirement for a minimum of 7.315 m (24 ft.) abutting onto a street not being a lane.
A consequential amendment is required to delete the site from the RS-1/RS-3/RS-3A/RS-5 and RS-6 maps forming part of Schedule A of the Subdivision By-law.
APPENDIX B
PROPOSED CONDITIONS OF APPROVAL
Note: Recommended approved conditions will be prepared generally in accordance with the draft conditions listed below, subject to change and refinement prior to finalization of the agenda for the Public Hearing.
(a) That the proposed form of development be approved by Council in principle, generally as prepared by Richard Balfour & Company, Architect, and stamped "Received Planning Department (Rezoning Centre)", June 1, 2004, provided that the Director of Planning may allow minor alterations to this form of development when approving the detailed scheme of development as outlined in (c) below.
As an alternative to condition (a), for Council's Consideration, the following condition (b) could be approved:
(b) That the proposed form of development be redesigned in accordance with the RS-5 Design Guidelines and be assessed by the Director of Planning against these guidelines as well as the elements under condition (c).
(c) That, prior to approval by Council of the form of development, the applicant shall obtain approval of a development application by the Director of Planning, who shall have particular regard to the following:
(i) approval by the Subdivision Approving Officer and registration of a subdivision plan to create three parcels to fit the rowhouse proposal.
(ii) The top floor area to be reduced, so the expression of the top floor is of a half or partial storey.
(iii) Privacy and overlook issues related to the top floor to be carefully considered in relation to neighbouring conditions.
(iv) The front entries to have a raised porch expression and a greater sense of individual identity .
(v) Any projections into the sideyard must be a minimum eighteen inches above the finished floor and not impede pedestrian access in the sideyard.
Note to Applicant: Consider greater articulation of the wall surface of the side elevations.
(vi) The front yard to be treated in a manner consistent with the semi-public space of the immediate RS-5 context.
Note to Applicant: The wall, private patio and tall hedging along the property are not consistent with the prevailing pattern of front yard development. The front yard should be defined with soft landscaping, including permeable surface areas such as lawn or planting beds. Each dwelling should have a front walk leading directly from the public sidewalk to the front door.
(vii) Design development to the design of the exterior in terms of materials, window patterning and detailing to make more residential in character and scale.
(viii) provision of a certified arborist report to confirm the safe retention of all neighbouring trees bordering the east property line including the method of safe retention of the trees during construction.
(ix) provision of a full landscape plan.
(d) That, prior to enactment of the CD-1 By-law, the registered owner shall:
(i) achieve preliminary approval from the Subdivision Approving Officer for a subdivision to create three parcels to fit the rowhouse proposal and resolve all cross boundary issues that may arise, including provision of adequate storm, sanitary and water servicing.
(ii) make arrangements to the satisfaction of the Director of Planning and the Director of Legal Services for a legal agreement to prohibit registration of a strata plan on the site.
(iii) make arrangements to the satisfaction of the General Manager of Engineering Services for provision of street trees where space permits on 33rd Avenue.
(iv) make arrangements to the satisfaction of the General Manager of Engineering services for all electrical and telephone services to be undergrounded within and adjacent the site from the closest existing suitable service point, including a review of any overhead cabling that may be necessary to determine any impaction on the neighbourhood.
APPENDIX C
ADDITIONAL INFORMATION
Site, Surrounding Zoning and Development This 723.5 m² (7,789.9 sq. ft.) site is comprised of a single parcel on the south side of West 33rd Avenue. The site has a frontage of 18.26 m (59.9 ft.) and a depth of 39.6 m (130 ft.).
To the west of the site, at the southeast corner of 33rd and Mackenzie is a two-storey multiple dwelling under CD-1 zoning approved in 1988. The southwest corner contains a one-storey gasoline station under CD-1 zoning approved in 1987. The northeast and northwest corners each contain 1950's one-storey commercial development on three lots. On each of these corners, the first two lots are zoned C-1 (local-serving commercial) and the third lot is zoned RS-5. The commercial buildings on the third lot in from each corner are legally non-conforming. The west half of the subject rezoning site faces one of these non-conforming buildings.
The remainder of surrounding development is one-family dwellings under RS-5 zoning which encourages contextual design through a density bonus. The existing buildings are of mixed ages, sizes and styles, but most are 1 ½ storey + basement bungalows with pitched roofs.
Proposed Development Proposed, is a three-unit multiple dwelling, or "rowhouse" in a three storey, flat roof modernist design. The construction is proposed to be concrete with a patterned concrete or a stucco finish. The two end units would be 5.6 m (18.5 ft.) wide and contain three bedrooms plus a study/library. The centre unit would be 4.0 m (13 ft.) wide and contain three bedrooms. A cellar (approx. 2/3rd the area of the first storey) in each unit would be used for mechanical and storage purposes. Each unit would have a one-car garage from the lane.Public Input A notification letter was sent to nearby property owners on February 26, 2004, and a rezoning information sign was posted on the site on February 25, 2004. The area was renotified on April 8, 2004 to give the neighbourhood an opportunity to hear from the applicant, see the plans, hear from staff about the policy context and to express comments. Forms were available for people to give staff written comments. A summary of all comments as of June 8, 2004 is as follows:
In Favour
Opposed
Letters
- local people 1
- outside people 19
-e-mails
- local people 1
- outside poeple 44
-response forms
- local people 6
- outside people 22
-PIM speakers*
*some spoke 2-3 times
- local people 3
- outside people 23
-phone calls
- local people 3
- outside people 218
-Total
23
36
Local people in favour 14*
local people opposed 36
(*four support the concept, but not the flat roof, contemporary design)
outside people in favour 9
outside people opposed -
A petition with 99 names opposed to the rowhouses concept and the design was submitted on June 8, 2004.
Comments from those in favour include:
· Innovative and more affordable for our children and grandchildren.
· Must increase density whether we like it or not.
· OK to permit a small percentage of buildings that are not single family.
· The use next to a commercial district makes sense.
· Empty nesters need options beyond single family and apartments above stores.
· Efficient use of land.
· Infill projects like this brings affordable housing to neighbourhoods.
· Increases the density without disrupting the ambience of the neighbourhood.
· Innovative use of land ownership - prefer it to strata.
· There are a few flat roof houses in the vicinity.
· Will fit nicely into the streetscape.
· Like the narrow unit - good for retired people.· A fine example of contemporary architecture.
· The design is preferable to some monster houses.
· Architectural features are chosen for their design integrity.
· The usual amount of NIMBY was seen at the public information meeting.Comments from those opposed include:
· Three dwellings on a small lot is a retrogressive step.
· Units too small for families and three storeys not suitable for seniors.
· Bought into the area because there are no multiple dwellings.
· Would set a new direction in advance of the new Vision.
· Contrary to policies for this neighbourhood in the Dunbar Vision.
· Fee simple ownership is ill-conceived and contrary to the Subdivision By-law.
· Many unresolved issues suggests strata titling is a better option.
· Too big, with all the floor area above grade.
· Density of .7 FSR above grade is greedy.
· Too high, with no narrowing at the top.
· Flat roof and contemporary style is out of context.
· Flat roof is only done to maximize living space.
· Don't like the cement, flat-faced structure.
· Box-like shape doesn't fit the neighbourhood.
· All builders must conform to the RS-5 guidelines. This project gives nothing back.
· I had to conform with the guidelines. It's just not fair if he doesn't.
· Worse than monster houses built before the introduction of RS-5 zoning.
· English Cottage, Craftsman and Bungalow styles are predominant in the area.
· Prefer a more traditional form like "Red Bricks" at 15th and Laurel.
· The Larch (NHDP) project is sympathetic to the neighbourhood. Why not here?
· Compares with a big-box retail outlet in a local shopping area.
· The thin edge of the wedge - will set a bad precedent.
· More street parking and car traffic.
· Motivation is profit, not affordable housing.
· Neighbourhood support has not been achieved.
· Some not complaining because they think they can get the same if this is approved.
· The prominent front balcony is not representative of the area.
· City should have notified farther than two-block radius for such a major change.The applicant advises that the neighbours in the multiple dwelling to the west, and the one-family dwelling to the east are in favour.
Comments of the General Manager of Engineering Services: "Engineering Services has no objection to the proposed rezoning provided the following issues can be resolved prior-to by-law enactment:
· Provision of adequate storm, sanitary and water servicing for the site.
· Subdivision approval and resolution of all issues such that subdivision is registerable, including all cross boundary issues that may arise from this proposal.
· Provision of street trees where space permits on 33rd Avenue.
· Undergrounding of all new B.C. Hydro and Telus services from the closest suitable existing service point, including a review of any overhead cabling that may be necessary to determine any impact on the neighbourhood.Parking, loading and bicycle spaces to be provided and maintained in accordance with the Vancouver Parking By-law, including the relaxation and exemption provisions, except that parking is to be provided at a rate of 1 parking space per unit to a maximum FSR of 1.00."
Comments of the Chief Building Official: `Buildings shall be constructed within its own legal property and the Building By-law requirements are applied to each and separate building. However, Article 2.1.7.3 "Buildings Divided by Property Lines" permits a single building to be constructed across parcels subject to the discretion of the Chief Building Official and legal agreements acceptable to the Director of Legal Services.'
Comments of the Fire Protection Engineer: "1) Good access from the street. 2) Access to rearyard via 4'-10" sideyard is good to see. We don't really use lane for access to garages, although we sometimes do."
Comments of the Manager of the Housing Centre: "Fee simple ownership differs from strata ownership in that there is no common property, no strata council or by-laws, and each owner can control their dwelling's exterior character, maintenance and upgrade by their own choice and not the collective will of a strata council. These are seen to be advantages over strata title that may provide for more public acceptance of medium density development.
Staff have been looking into fee simple row house ownership for a number of years, seeking an opportunity to demonstrate the benefits of another form of ownership not presently available in the City. A partnership project for that purpose failed recently due to the inability of the rowhouse to compete successfully from a price point with single family houses in the local area (Welwyn Street). The current rezoning initiative has allowed staff to assess a number of issues such as servicing, code requirements and party-wall agreements. Fee simple ownership should be relatively easy to implement where rowhouse forms and densities can be achieved in the city, such as the City's RT and RM zones.
High land prices for single family properties city-wide may prove to be the single biggest deterrent to achieving more modest forms of densification as shown with this rezoning. In this case, the price of the row houses will be comparable to older single family homes and the achievement of improved affordability will be minimal. Under normal developer requirements and expectations for return on investment the project would not likely proceed. Real Estate Services has determined there is no evident increase in land value.
The Director of the Housing Centre supports this rezoning initiative on the demonstration merits of the fee simple ownership, recognizing that the affordability components will be limited."
Public Benefit: No public benefit is offered by the applicant. A community amenity contribution (CAC) that would normally apply at a flat rate of $32.29 per m² ($3.00 per sq. ft.) based on the net increase in floor space is not offered because NHDPs are exempt from CACs. Analysis carried out by Real Estate Services has concluded there would be no land lift resulting from the rezoning.
Urban Design Panel Comment: The Urban Design Panel reviewed this proposal on February 18, 2004 and offered the following comments:
`The Panel unanimously supported this rezoning application. The Panel was quite excited by this proposal and commended the applicant for the initiative. A comment was made that the key will be in achieving a larger number of units that gain greater economies of scale compared to single family homes.
The Panel considered the three-unit townhouse form to be very appropriate in this location, although a number of Panel members said they would have preferred to see better contextual analysis of the surrounding buildings to confirm the appropriateness of the setbacks, etc. Several Panel members questioned the staggering of the units and recommended that each unit be considered for its own specific design opportunities within the overall composition. The Panel recognized that the design is in the early stages and noted the need for improvement and design development as the project proceeds. In general, the Panel thought each unit should be distinguished more and it should be illustrated how individual owners might bring their own identity to the units.
With respect to unit configuration, the Panel's concerns related mostly to the middle unit. In general the Panel found the outer unit layouts maximize the space quite well, including room for a double storey height space. The concerns with the middle unit related to the stair which breaks up the interior space. Exploration of a single run stair in this unit was recommended. One Panel member suggested that jogging walls to create some changing width within the unit might be possible. One Panel member found the unit entries, front and rear, somewhat weak and providing no transitional area between the exterior and interior space. To make these units suitable for "empty nesters" there was a recommendation to include a small elevator.
Given this is a demonstration project it was recommended that the City should maximize its exposure with an Open House, and the applicant should provide more detailed information. The importance of educating the broader community was emphasized. Several Panel members strongly urged that the highest level of sustainable design standards be sought, including one or two innovative elements. A strong commitment to sustainability should be sought at the development permit stage. It was noted the project could be used as a model to demonstrate the kinds of sustainability measures that can be achieved in single family dwellings.
With respect to the architectural expression, a concern was expressed about the quality of the materials. If stucco is chosen, it should be used in an innovative way. The Panel commented on the roof form which it thought could be clarified more as opposed to reading as a single roof covering the three units. Another comment about the architectural expression was that it looks somewhat commercial. Expressing the floor levels more strongly would help break down the scale and create a more residential character.
The Panel was very interested in the fee simple challenge and considered it to be a very innovative scheme. The applicant was encouraged to proceed with the project. Because the materials are not yet finalized for this precedent setting proposal the Panel suggested it would be appropriate for the project to be returned to the Panel at the development application stage. The applicant should provide material samples at that time. The applicant should also provide a larger scale detail model that demonstrates the relationship with adjoining properties. The Panel stressed that high quality detailing will be important to the project's overall success.'
Environmental Implications: Nearby access to the Macdonald bus line and C-1 commercial services may reduce dependence on use of automobiles.
Social Implications: There are no major positive or negative social implications to this proposal. There are no implications with respect to the Vancouver Children's Policy or Statement of Children's Entitlements.
APPENDIX D
APPLICANT'S COMMENTS
The applicant has been provided with a copy of this report and has provided the following comments:
`Broad Community Support
There is broad community and neighbourhood support for this three-unit "fee-simple" rowhouse rezoning proposal. I have talked to many people in the broader city who are very supportive of the concept and the contemporary design. There is wide spread interest in this proposal in the city, region, and as far away as Toronto and St. John's Newfoundland, where fee-simple rowhouses are encouraged.Many people ask why this has not happened before? People like the green approach that is possible with the flat roofs. They also like the fact there are two sizes of units with the smaller one in the centre more affordable.
Most Neighbours Supportive
My immediate neighbours on both sides are in favour. I have talked with over 40 neighbours including residents and shop owners and shop customers who are in favour of the rezoning and the majority like the building design. There are some people in the 2 to 3 block area who are against the contemporary design, particularly the flat roofs. It appears that in the neighbourhood the only issue is the building design.The Design Issue
This is an older neighbourhood and change is occurring, and this is only one small project in the transition zone between the commercial centre and surrounding older single family homes. Actually there are a variety of building styles in the neighbourhood. Within a block there are several styles with a dozen different sloped roof shapes. In the larger neighbourhood there are even more building styles including Craftsman, mock Tudor, newer heritage look-a-likes and contemporary designs with flat and curved roofs. For an interesting article on Vancouver residential building styles see "A century and a quarter of Vancouver homes" in the Vancouver Sun, Section C, Friday June 4, 2004.This project is in keeping with this variety of styles in the neighbourhood:
· right next door to the west is an 8 unit condominium project with a combination of hip and flat roofs;
· to the east is an old original 3 story farm house with a steep sloped roof;
· across the street to the north are two older commercial buildings with flat roofs and several older remodelled cottages with a variety of almost flat and steep sloped roofs.
The project's flat roofs fit very well within this building context.In the absence of a city directive requiring a specific building style; with the existing variety of design nearby, and no consistent design theme in the broader neighbourhood; and the general level of support for the project, I believe this fee simple Neighbourhood Housing Demonstration project should be supported.'
The applicant subsequently provided comments on staff's recommended design conditions:
"I think the flat roof is preferable for this form of development in this commercial node context. We are not just relating to the homes in the area.
· Having said that, I can live with a change in landscape treatment in the front if it makes a better demonstration. You are welcome to visit my current front garden which is similar to what is proposed in our plan. People love it and it is private. My neighbours in the 8 unit complex on 33rd Avenue West don't access their units from the street. They use a common pathway along the side next to my property. It is rather nice. I am not in favour of grass in the front and instead prefer plants that don't require a lot of water. It is too dangerous for small children to play on grass near this busy corner on 33rd.
· Regarding the exterior building surface we want to use a high quality concrete with a simple pattern to reduce the scale. We are not enthusiastic about brick because it would mean putting brick on concrete which seems unnecessary. We are opposed to wood as an exterior decorative treatment, and especially on concrete. We are planning to use a lot of wood in the inside as it softens the dominate concrete surfaces.
· As a graduate forester and Fellow of the Canadian Society of Landscape Architects (FCSLA), I am registered at the city to give an assessment of the trees next door and I can do this at any time. I am only too pleased to prepare a full landscape plan.
· There is one thing of interest that might be added. We have designed the outside units so that it is easy to add an elevator so seniors, or anyone for that matter can, if they want, add the elevator at any time. The additional cost is about $17,000 per elevator."APPENDIX F
APPLICANT, PROPERTY, AND DEVELOPMENT PROPOSAL INFORMATION
APPLICANT AND PROPERTY INFORMATION
Street Address
2876 West 33rd Avenue
Legal Description
Lot 2, Block 48, DL 2027, Plan 2283
Applicant
Art Cowie, Eikos Planning Inc.
Architect
Richard Balfour & Company
Property Owner
Cathy Cowie
Developer
Art Cowie, Eikos Planning Inc.
SITE STATISTICS
GROSS
DEDICATIONS
NET
SITE AREA
723.5 m² (7,790 sq. ft.)
N/A
723.5 m² (7,790 sq. ft.)
DEVELOPMENT STATISTICS
DEVELOPMENT PERMITTED UNDER EXISTING ZONING
PROPOSED DEVELOPMENT
RECOMMENDED
DEVELOPMENT (if different than proposed)ZONING
RS-5
CD-1
USES
One-family dwelling
Multiple Dwelling
DWELLING UNITS
2 (incl. secondary suite)
3
MAX. FLOOR SPACE RATIO
Conditional: 0.70 total
= 506.45 m² (5,451.6 sq. ft.)0.24 + 130 m² above grade
= 303.64 m² (3,268.5 sq. ft.)
0.87 total
= 629.45 m² (6,775.5 sq. ft.)0.691 above grade
= 499.94 m² (5,381.5 sq. ft.)
0.179 below grade
= 129.50 m² (1,394.0 sq. ft.)MAXIMUM HEIGHT
Outright: 9.2 m (30.2 ft.)
Conditional 10.7 m (35.1 ft.)
required pitched roof9.14 m (30 ft.)
MAX. NO. OF STOREYS
Outright or flat: 2 ½
3 storeys
PARKING SPACES
2 required (incl. 1 for suite)
3 (1-car garages)
FRONT YARD SETBACK
Front yard averaging (formula)
Minimum 5.2 m (17.1 ft.)
SIDE YARD SETBACK
15% = 2.74 (9.0 ft.)
east and west8% = 1.473 m (4.83 ft.) - west
8.3% = 1.524 m (5 ft.) - eastREAR YARD SETBACK
10.7 m (35.1 ft.)
Minimum 19.6 m (64.3 ft.)
* * * * *