Vancouver City Council |
CITY OF VANCOUVER
POLICY REPORT
DEVELOPMENT AND BUILDING
Date:
July 6, 2004
Author:
M Shillito
Phone No.:
6431
RTS No.:
04179
CC File No.:
5304
Meeting Date:
July 20, 2004
TO:
Vancouver City Council
FROM:
Director of Current Planning
SUBJECT:
CD-1 Text Amendment - Langara College
RECOMMENDATION
THAT the application by Brook Development Planning Inc., to amend CD-1 By-law No. 4412 for 100 West 49th Avenue (Langara College) to add 1 500m² of total permitted gross floor area and to allocate 1 100m² of existing permitted gross floor area of ancillary use to be used for instructional purposes, be referred to a Public Hearing together with,
(i) draft CD-1 By-law amendments, generally as contained in Appendix A, and,
(ii) the recommendation of the Director of Current Planning to approve the application;
FURTHER THAT the Director of Legal Services be instructed to prepare the
necessary amending by-law, generally in accordance with Appendix A, for consideration at the Public Hearing.GENERAL MANAGER'S COMMENTS
The General Manager of Community Services RECOMMENDS approval of the foregoing.
COUNCIL POLICY
On February 10, 2004, Council instructed staff to assess and report to Council on an expected Phase 1 Comprehensive Development District (CD-1) Text Amendment application from Langara College in parallel with a public policy review process.
PURPOSE AND SUMMARY
This report assesses and recommends referral to Public Hearing with a recommendation of approval of an application to amend the CD-1 Comprehensive Development District By-law for Langara College, to add 1 500m² of total permitted gross floor area and to allocate 1 100 m² of currently permitted non-instructional floor space to be used for instructional purposes. This amendment would provide sufficient floorspace potential for the College to build a new library and to convert part of the existing library to classroom use.
BACKGROUND
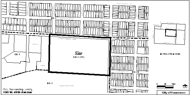
The Site: Langara College is located on the south side of the 100 block of West 49th Avenue, bordered by Ontario Street to the east, Langara Golf Course to the south and extending westward to Columbia Street. The campus occupies approximately 8ha (20 acres) and consists of two main instructional buildings, a library, bookstore, cafeteria, day-care centre, athletic facilities, and Students' Union Building, as well as open space with mature landscaping and car parking. The campus buildings comprise a total of 42 219.2m² of which 11 680.4m² are used for instructional purposes and 30 538.8m² for non-instructional purposes.
The Proposal: The application proposes to amend the CD-1 By-law (55) for Langara College to increase the allowable floor area by 1 500m². This amendment would provide the additional floor area needed to achieve the floorspace potential required for a new library building (of approximately 7 700m²), for which most of the necessary potential is already available under the existing zoning. The application also proposes to allocate 1 100m² of currently permitted non-instructional floorspace to be used for instructional purposes in order to accommodate the future conversion of part of the current library into classroom space.
This text amendment application is being made within the context of an ongoing public policy review process which will result in the preparation of a Policy Statement to guide and provide a basis for assessing a form of development for the new library as well as subsequent phases of expansion of the campus. The Policy Statement which emerges from this process will be presented to Council for approval and will include plans illustrating the proposed location, linkages and form of the library and subsequent phases.
This text amendment is sought in advance of completion of the public policy process in order for the College to secure provincial funding for the new library, as provincial funding approval requires certainty with respect to zoning. As the policy and site planning process commenced in June 2004, there is as yet no form of development associated with this particular application. The College is expected to submit a Development Permit application for the library which will set out the proposed form and location of the facility. This application is expected to be submitted prior to adoption of the Policy Statement. Staff are working with the College to ensure that the library proposals reflect the site planning and development principles for all phases emerging from the policy review process. Staff will also carry out consultation with the local community to seek feedback on issues arising from both the library and later phases of development. To ensure consistency between the library application and the overall campus expansion the form of development for the library will not be approved prior to adoption of the Policy Statement.
Current Zoning: The site is zoned Comprehensive Development District (CD-1 By-law 55), adopted in March 1969. The CD-1 Bylaw regulates land use, floor area and parking, as follows:
The only uses for which development permits will be issued are:
· A college and related facilities, including accessory buildings and accessory uses customarily ancillary thereto, subject to the following:
- the total gross floor area shall not exceed 49 059m², of which no more than
12 066m² shall be allocated for instructional purposes; and
- the number of students in class and under instruction at any one time shall not exceed 3,275.
· A student resources building, including accessory uses customarily ancillary thereto but not including a pub, with a gross floor area not exceeding 1 858m²
· A minimum of 1,250 off-street parking spaces shall be provided, or, if the total gross floor area exceeds 41 700m², a minimum of 1,450 spaces.DISCUSSION
Land use and Density: The campus buildings currently comprise a total of 42 219.2m². Therefore, within the current zoning allowance the College has 6 840m² of unused floorspace potential. The new library is estimated to require approximately 7 700m². In recognition of the fact that the library design, program requirements and linkages to future phases are not yet resolved, the current application seeks an additional 1 500m² to enable minor adjustments to be made should the library floorspace requirement change. Any floorspace not taken up by the library development would be addressed in the future planned phases of development.
The application also seeks the allocation of 1 100m² from existing non-instructional use to instructional use to allow for the conversion of part of the existing library into classroom (i.e. instructional) floorspace once the new library is completed.
The proposals represent a modest increase in floorspace on the site beyond that which is already permitted under the current zoning. The College is an established use in the local neighbourhood and the proposed library would improve it's ability to meet the educational needs of current students as well as provide for future planned growth. Staff conclude that the proposals are acceptable in terms of land use and density considerations, provided no adverse impacts arise from traffic and parking.
Traffic and Parking: Traffic and overspill parking associated with the College have been of significant concern to the surrounding residential community. In recognition of this, the City installed extensive resident parking regulations and took traffic initiatives including calming measures, and the installation of a traffic signal on 49th at Columbia, at the expense of the College. The City has also introduced a bikeway on Ontario Street. The City required at least 1250 parking spaces to be provided on the campus to meet the College's need and minimize pressure on the local community. The College now has 1261 spaces and recent surveys indicate that there is currently a surplus of approximately 160 spaces on the campus even during the mid-day peak period. Notwithstanding these improvements the surrounding community has continued to express concerns.
The College has implemented a number of successful Traffic Demand Management initiatives, including a carpooling program and a significant subsidy of transit passes for students funded from parking revenues. The City supports these initiatives and strongly supports the further effort to achieve a U-pass program. The current price of $4.00 per day is leading to some overspill parking in the neighbouring community, particularly beyond the existing resident parking regulated area. The introduction of a U-pass program, together with a range of further Traffic Demand Management measures is being considered as part of the ongoing policy planning process with the aim of encouraging sustainable modes of travel such as walking, cycling and transit and minimizing private vehicle use and parking requirements.
The floorspace increase sought with this application is required to improve library services to existing students and faculty and is not intended to facilitate a further increase in student enrollment. However, the proposals do seek an additional 1 100m² of instructional floorspace through the conversion of part of the existing library into classroom space to provide a better program of availability to the current student population. If this increase were to generate new traffic and parking demands in proportion to existing instructional space, up to approximately 10% more vehicle trips could potentially result. This represents between 1-2 additional vehicles per minute added to the area street system during peak traffic periods.
Similarly, the parking demand could potentially increase by 130 vehicles during the mid-day peak period. This additional demand could be accommodated by the typical current surplus parking supply of 160 stalls. The College will be required to encourage optimum use of these surplus spaces to ensure that further overspill parking is avoided. This will be secured through a condition attached to any Development Permit approval which will require implementation of specific incentives to ensure use of available on-site parking spaces.
The proposed library development would incorporate underground parking. The amount of parking to be provided with the library will be considered as part of the ongoing policy planning process and will be determined prior to approval of the Development Permit application. On completion of the library, parking provision will be required at a level which meets the demands of the campus including the new library and associated conversion of part of the existing library into instructional space.
Temporary impacts on parking supply during construction of the library must also be considered. The construction of the new library is anticipated to displace some existing parking stalls, though this is not expected to lead to additional overspill parking in the local neighbourhood due to the existing surplus supply. The College will be required, through the Development Permit process, to demonstrate that an adequate level of parking can be maintained during the construction of the library.
In summary, Staff conclude that the proposal will lead to a minor increase in traffic and parking demand, both of which can be adequately addressed without increased community impact. Engineering Services has no objection to the proposed rezoning.
FINANCIAL IMPLICATIONS
There are no financial implications.
SOCIAL IMPLICATIONS
The proposed rezoning would enable the College to improve its educational service to the community through the implementation of a new library facility.
CONCLUSION
Staff support the proposed CD-1 text amendment rezoning, to provide Langara College with additional floorspace needed to achieve the full requirements of a new library, for which most of the necessary floorspace is available under the current zoning. Staff conclude that the proposals are acceptable in land use and density terms and that the associated minor increases in traffic and parking demand can be adequately addressed without detrimental impact to the local community.
Staff note that there is no form of development associated with this application. The College is expected to submit a Development Permit application for the library which will set out the proposed form and location of the facility. Staff are working with the College to ensure that the library proposals reflect the site planning and development principles for all anticipated future phases emerging from the policy review process. To ensure this consistency no approval will be given to the form of development for the library prior to the adoption of the Policy Statement.
Staff recommend that the application be referred to Public Hearing.
- - - - -
APPENDIX A
Page 1 of 1DRAFT CD-1 TEXT AMENDMENTS
Note: A By-law will be prepared generally in accordance with the provisions listed below subject to change and refinement prior to posting.
(Deletions in strikethrough, additions in italics)
_ the total gross floor area shall not exceed
49 059.40m²50 559.40m² of which no more than12 066m²13 166m² shall be allocated for instructional purposes; and