Vancouver City Council |
CITY OF VANCOUVER
ADMINISTRATIVE REPORT
Date:
July 9, 2004
Author:
Mario Lee
Phone No.:
871-6034
RTS No.:
4402
CC File No.:
5307
Meeting Date:
July 20, 2004
TO:
Vancouver City Council
FROM:
Director of Current Planning in Consultation with the Director of Social Planning, General Manager of Engineering Services and Director of Legal Services
SUBJECT:
750 Pacific Boulevard (Plaza of Nations) - Rezoning Conditions
RECOMMENDATION
A. THAT condition (b) (v) for the CD-1 Text Amendment for 750 Pacific Boulevard, approved following Public Hearing on January 20-21, 2004, be amended to read:
(v) the Director of Legal Services be authorized to enter into a legal agreement with the owner of the Lands to provide additional community access and affordability to the outdoor performance space at the Plaza of Nations, on terms and conditions acceptable to the Director of Legal Services in consultation with the Director of Cultural Affairs.
B. THAT the installation of a temporary pedestrian signal and crosswalk suitably located west of the westerly pedestrian overpass linking B.C. Place Stadium with the Plaza of Nations be approved, with provisions for design, installation and removal to the satisfaction of the General Manager of Engineering Services, and with funding provided 100 percent by the applicant.
C. THAT Council accept a public benefit offering from the applicant for a Social Responsibility Fund as outlined in this report and authorize the Director of Legal Services to enter into a legal agreement with the owner of the Lands to secure the offering, on terms and conditions acceptable to the Director of Legal Services in consultation with the City Manager.
D. THAT the City Manager be authorized to carry out any procedural requirements relating to the B.C. Lottery Corporation in respect of the Plaza of Nations casino proposal.CITY MANAGER'S COMMENTS
The City Manager RECOMMENDS approval of A, B, C, and D.
COUNCIL POLICY
Following a Public Hearing on January 20-21, 2004, Council approved in principle the application by Patrick Cotter Architect Inc. to amend CD-1 By-law No. 7592 for 750 Pacific Boulevard (Plaza of Nations) to permit Casino - Class 2, this being a casino that includes slot machines.
PURPOSE AND SUMMARY
This report summarizes conditions related to the amendment of CD-1 Bylaw No. 7592 for 750 Pacific Boulevard (Plaza of Nations) to permit a Casino - Class 2, recommends an amendment to a rezoning condition relating to the proposed public use of the facility, seeks Council approval for the installation of a temporary pedestrian traffic signal, outlines the terms of a social responsibility fund proposed by the applicant, and seeks Council's authorization to fulfill any necessary procedural requirements as they relate to the B.C. Lottery Corporation (BCLC).
Finally, the report provides information on a job creation program which targets qualified unemployed and underemployed downtown residents and on policing matters. While resolution of these issues is to be secured through a future development permit process should Council approve the rezoning, information here is provided by way of an update.
BACKGROUND AND DISCUSSION
At Public Hearing on January 21, 2004, Council approved an application by Patrick Cotter Architect Inc to amend the CD-1 By-law for 750 Pacific Boulevard (Plaza of Nations) to permit a Casino - Class 2. The rezoning has yet to be enacted. The following items relate to the recommendations listed above. Some items require a Council decision, while others are provided for information only:
Term of Legal Agreement
At the time of approval of the application for the text amendment to the CD-1 By-law for 750 Pacific Boulevard (Plaza of Nations), a prior-to-enactment condition related to the term of the Casino - Class 2 at this site was requested. The condition reads as follows:
(a) That, prior to the enactment of the CD-1 amending by-law, the proponents shall make arrangements to the satisfaction of the Director of Planning and the Director of Legal Services to ensure that the Casino - Class 2 at the Plaza of Nations complex will only operate at this location for up to four years after the issuance of the initial occupancy permit for this use.
A Legal Agreement with terms and conditions acceptable to the Director of Legal Services, in consultation with the Director of Planning, has been executed, and staff are satisfied that this condition has been fulfilled.
Condition Requiring Amendment:
A condition of the rezoning is that the applicant shall obtain approval of a development application by the Development Permit Board which shall have particular regard to a series of conditions including:
(v) Arrangements be made to the satisfaction of the Director of Cultural Affairs and the Director of Legal Services to provide community access to the theatre in Building "C" in the Plaza of Nations, capital expenditures and operating expenses as feasible.
Staff have met with the applicant and reviewed their proposal to renovate a space within the casino for use by the community for film screenings and fund raising events.
The proposed space would require significant investment in technical equipment to become an operational cinema. It would not be suitable for live performances. Furthermore, access to the space is via the casino, which would restrict access to adults only, as persons under the age of 19 are not permitted in a casino. Modification of the existing building to provide a separate access for temporary occupancy is not considered feasible. Given the limited access, the limited functionality of the space and the cost to fit up for a temporary use, staff propose an alternate community use option.
There is a demand for affordable access to the outdoor performance venues at the Plaza of Nations. As part of the 1998 rezoning, community use was secured through a legal agreement. This provides access at no charge for up to three days per month for Vancouver-based arts, culture and community groups. The groups pay for all technical and operating costs which are significant and can be a barrier to access. Given the limited potential of the proposed cinema space within the casino building and the demand for additional affordable access to the performance plaza for arts and community events, staff recommend that the existing Plaza of Nations Performance Space Agreement be modified to increase access and affordability of the plaza for Vancouver-based non-profit community, arts and cultural groups as follows:
(v) the Director of Legal Services be authorized to enter into a legal agreement with the owner of the Lands to provide additional community access and affordability to the outdoor performance space at the Plaza of Nations, on terms and conditions acceptable to the Director of Legal Services in consultation with the Director of Cultural Affairs.
Temporary Pedestrian Signal
One of the approved Council conditions is: Appropriate traffic and noise mitigation measures if determined to be needed and funding by the applicant for these measures to be agreed to. When Council dealt with the rezoning it was then proposed by the applicant that an off-site parking lot would be developed on Concord lands to the east of the Plaza of Nations site. However, that parking solution is no longer being pursued.
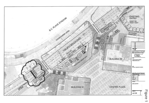
In order to satisfy the parking requirements, the applicant is securing the use of 189 surface parking spaces situated on Lot 5B, located north of Pacific Boulevard, just west of B.C. Place Stadium. An improved and signed walking route is being developed to direct users of this parking lot to a convenient crosswalk on Pacific Boulevard. Due to heavy traffic volumes on Pacific Boulevard, a signalized pedestrian crosswalk is required to ensure safety, especially given that many users will be crossing after dark. The crosswalk's proposed location is just west of the westerly pedestrian overpass [see Figure 1].
In order that signal design and ordering of equipment are undertaken such that installation can occur in time for the projected Casino opening in November of this year, City Council approval is required now. The applicant has agreed to provide 100% of the funding for this temporary signal and crosswalk, including installation this year and removal in future, either when the Casino operation ceases or when the signalized crosswalk is superseded with development of Concord's Sub-Area 6A [at which point a new signal would be installed by Concord where Smithe Street is extended across Pacific Boulevard. Recommendation B refers.
Social Responsibility Fund
One of the Council-adopted conditions is Public benefits to the satisfaction of City Council. Accordingly, Council has received a letter from Mr. Len Libin and Mr. Gary Jackson, on behalf of the proposed casino at Plaza of Nations (Edgewater Casino), offering to create a Social Responsibility Fund intended to help mitigate some of the negative consequences associated with casino gaming. The offer includes the participation of the British Columbia Lottery Corporation (BCLC).
This offer consists of an annual payment of $200,000 to the City, to be used at the City's sole discretion. A copy of the original letter is attached as Appendix A. If Council agrees to accept this offer, the Director of Legal Services will negotiate and execute a legal agreement to secure this payment, on terms and conditions acceptable to the Director of Legal Services in consultation with the City Manager.
B.C. Lottery Corporation Procedural Matters
The City has completed consultation and input procedures with surrounding municipalities and First Nations, as required by the B.C. Lottery Corporation. As part of this process, we have consulted with Richmond, Burnaby, West Vancouver, North Vancouver (City), North Vancouver (District), the Musqueam Indian Band, and the Squamish First Nation. None of those with whom we consulted has indicated that they consider that they would be materially affected by the casino proposal. Accordingly, the City Manager can now notify the Lottery Corporation that this process has been completed, provide City approval to the proposal and carry out any procedural requirements related thereto.
Policing Comments
At the time of the referral of the rezoning report, Council was informed that the Police had some concerns in relation to this development. The concerns related to potential additional demands for policing services arising from increased vehicular and pedestrian traffic to the area, as well as potential demands related to the social misconduct and criminal activities on the part of some gambling addicted individuals.
Recognizing that these demands on policing services may have staffing and budgetary ramifications, it has been agreed that a better timing for this discussion is the 2005 budget process.
Job Creation Program
Another condition approved at the time of approval of the application for the text amendment to the CD-1 By-law for 750 Pacific Boulevard (Plaza of Nations) relates to a job creation program. The condition reads as follows:
(iv) Arrangements to the satisfaction of the Director of Social Planning and Director of Legal Services to prepare a casino operations job creation program targeted to qualified unemployed and underemployed downtown residents.
The applicant has developed a job creation program for qualified unemployed and underemployed residents in the City of Vancouver, with particular emphasis on residents of the adjoining neighbourhood in Vancouver's Downtown Eastside. The program has three basic elements related to Construction, Operations, and Procurement. This program will be secured through the development permit process.
CONCLUSION
The prior-to-enactment condition for the text amendment to the CD-1 By-law for 750 Pacific Boulevard (Plaza of Nations) has been fulfilled and the amending by-law will be presented to Council for enactment following this report.
This report recommends a number of actions that require Council approval, including public use of the outdoor performance space, a temporary pedestrian traffic signal, a social responsibility fund, and also provides information on other relevant matters. There are a number of additional conditions relating to parking, traffic, access, and job creation that will be dealt with and secured at the time of the development permit process.
APPENDIX A
PAGE OF 1

* * * * *