Vancouver City Council |
CITY OF VANCOUVER
POLICY REPORT
DEVELOPMENT AND BUILDING
Date:
January 22, 2004
Author:
Tom Phipps
Phone No.:
871-6604
RTS No.:
03938
CC File No.:
5304/1755
Meeting Date:
February 10, 2004
TO:
Vancouver City Council
FROM:
Director of Current Planning in consultation with the Directors of Cultural Affairs and Social Planning, the Manager of Engineering Services, and General Manager of Parks and Recreation
SUBJECT:
Langara College Phased Expansion Program
RECOMMENDATION
A. THAT Council endorse a planning program for Langara College, outlined in Appendix A, to undertake a public policy review process resulting in a Council approved policy framework to guide, and provide a basis for assessing, phased rezoning and expansion.
B. THAT staff resources contained in Appendix B and estimated associated cost recovered budget of $327,600 (subject to a 2003 and 2004 wage settlement) contained in Appendix C be approved to complete policy planning and two rezoning application review stages for Langara College; and
FURTHER THAT consistent with City cost recovery policy, Council accept
a contribution from Langara College to fully cover these costs.AND FURTHER THAT these contributions will be applied to rezoning fees.
C. THAT consistent with Community Amenity Contribution Policy, a
contribution of at least the flat rate be negotiated in kind or cash as part of the policy planning for Langara College.
D. THAT staff be instructed to assess and report to Council on an expected Phase I Comprehensive Development District (CD-1) Text Amendment application from Langara College in parallel with the public policy review.
E. THAT the Director of Current Planning be instructed to report back with recommendations to amend Schedule 2 of the Zoning and Development
By-law to reduce rezoning fees for institutional uses on large sites in excess of
40,000 M² for zoning changes where the extent of change does not warrant current fees.GENERAL MANAGER'S COMMENTS
The General Manager of Community Services RECOMMENDS approval of the above.
COUNCIL POLICY
City Plan approved May 1995
Regional Context Statement ODP approved September 2000
Cost Recovery Policy
City-Wide CAC Policy
Oakridge-Langara Policy Statement
Victoria-Fraserveiw-Killarney Visions PolicyPURPOSE AND SUMMARY
At the initiative of Langara College to expand, this report recommends that Council initiate a cost recovered planning program to develop a policy context in which to consider approvals for several stages of future Langara College expansion. This program would involve consultation with college representatives and relevant community organizations and would produce a policy framework and amenity strategy to guide future zoning decisions. Proposed expansion phasing concepts and related public amenity proposals would be evaluated and reported back in reference to Council policy, including CityPlan policies. This fully cost recovered program is outlined in Appendix A, with program resources identified in Appendix B and a budget outlined in Appendix C.
Staff also favour a Langara College request to assess a CD-1 Text Amendment application for a Phase I floor space increase, to allow the College to submit funding applications immediately, while a parallel process develops an expansion policy framework. While a rezoning may not be judged in advance of a standard review and Public Hearing, staff are confident that, subject to confirmation of existing approved floor areas and resolution of parking and access needs, favourable consideration can be given to assessment of a minor floor space increase for this long established use prior to completing the full policy framework.
BACKGROUND
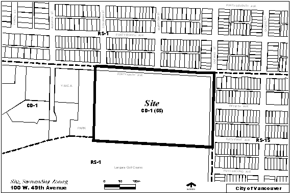
The College most recently expanded classrooms through a 1995 CD-1 Text Amendment which increased floor area potential from 32 892 m²(354,000 sq. ft.) to 49 059 m² (528,000 sq. ft.), of which a maximum of 12 066m² (129,885sq. ft.) was to be used for instructional purposes. At that time, future construction of new library, cafeteria and gymnasium facilities were contemplated, for which floor space was approved, together with the classroom floorspace developed subsequent to that rezoning.
Council may be aware that a cost recovered planning process investigated the prospect for a complex mixed use scheme, including residential towers several years ago. That process did not lead to a rezoning application and the concept is no longer being pursued.
To accommodate student demand, the College proposes to convert 6840 m²(73,630 sq. ft.) of floor area potential from ancillary to classroom uses, and increase the total floor area by
1500 m² (16,150 sq ft) to facilitate a Phase I library and classroom expansion through a Phase I rezoning. Traffic and parking implications of principal instead of ancillary use of this space must be assessed. This would be followed by a second rezoning based on the site plan emerging from the proposed policy review. This plan would include facilities for labs, creative arts and a gym together with additional classrooms in three further phases of expansion projected to continue through 2008.The Langara administration has indicated their intent to pursue Ministry of Advanced Education approvals for the first phase starting in January. Rezoning approval for that phase is desired by May if possible to assist in securing provincial funding. Staff believe that timing to be ambitious but possible if all necessary information on floor areas, parking, access and related matters is fully documented in the initial rezoning submission. To allow an ultimate increase in excess of 17,630 m2 (190,000 sq. ft.) in floor area, a second rezoning would be timed to follow from the policy and site planning process.
DISCUSSION
To create a policy and site planning context for a rezoning which addresses several future expansions, a brief policy review phase is needed to establish a framework for site planning decisions about each individual building and its linkages. This policy phase would examine the relationships among buildings, services and access needs. It would be heavily focused on urban design; vehicular, bicycle and pedestrian movements; and parking questions. It would also review the adequacy of community amenities in relation to City amenity policies, examining various levels of service for college students, staff and the neighbouring residential community.
In addition to the floor area limits of the CD-1 zoning, an "in class under instruction" limit required by previous Councils will need to be re-examined in the course of assessing the proposed expansion.
The neighbourhood context of Langara College is well understood as a result of recent on site and neighbourhood planning programs. Discussion of previously contemplated expansion concepts has assisted in identifying questions to be addressed in the proposed policy and rezoning program. This proposal does not involve residential or other non-college related land uses. Therefore, staff anticipate that the study may be abbreviated by focussing primarily on site planning questions. Preliminary analysis would be shared with the public early in the program prior to formulating policy parameters to guide the ultimate rezoning. The initial text amendment application is to be for a portion of the first phase expansion for which most of the necessary floor space potential is already available under the existing zoning. Potential impacts of converting that potential from ancillary to classroom use must be examined.
Staff note that Ontario Street is a bike route and that there is a history of community sensitivity to traffic and parking impacts adjoining the college. With expansion, pedestrian, bicycle and vehicular movements will increase and must be carefully addressed.
Process and Policy Objective: To ensure credibility with the public and continuity in the process, it would be beneficial for the College to provide assurances to the City that once the public has been engaged in the planning process and staff committed to the program, the college will complete the policy stage and rezoning, all else being equal.
Program Staffing: To provide the proponent with the level of service which will achieve the appropriate policy conclusions for approval in mid-2004 and to complete a full rezoning review later in that year requires a dedicated program team, including urban design resources and the usual range of departmental technical representatives (see Appendix B). This team would report to the Major Projects Steering Committee for direction on technical issues. The Current Planning Major Projects team will be assigned the planning role in this work.
Rezoning Fees: Cost recovery planning programs have established the principle that fees paid to cover pre-rezoning policy work would be contributed toward rezoning fees if full cost recovery is achieved, including rezoning. Initial analysis indicates that there are efficiencies which allow full cost recovery fees for the policy and scoping portions of the program to be credited against future rezoning fees. Full cost recovery for the overall process, but not beyond that, is the ultimate objective.
However, current fee requirements in the Zoning and Development By-law (Schedule 2) result in an anomaly, whereby the required fees would substantially exceed the required full cost recovery budget due to the large scale of the site, combined with relatively low intensity development compared to other large site developments. This relatively low intensity of development results largely from the institutional nature of the use. To avoid collecting fees not warranted by work involved, staff recommend reporting back with a fee amendment proposal.
FINANCIAL IMPLICATIONS
A full cost recovery budget based on initial discussions with the proponent is currently estimated at $327,600, based on 2002 salaries is outlined in Appendix C, providing for the technical team as described above as well as public process. Consistent with cost recovery policy, costs are included for scoping work already undertaken to structure and report the process to Council, accommodate the proponents' needs and provide baseline information in a timely manner. The college administration agrees with and is prepared to fund this budget with full payment in February and acknowledge that the fees will need to be upgraded to reflect new wage contracts at some date in 2004.
PUBLIC BENEFIT CONTRIBUTIONS
Development Cost Levies (DCLs): DCLs will apply to new development at the approved rate of$64.58 per m2 ($6.00 per sq. ft.) (daycare use set at $5.49 per m2/$0.51 per sq. ft.)
Community Amenity Contributions (CACs): Interim CAC Policy defines a rezoning on a site which is over .8 ha (2 acres) or a change of use from industrial to residential, as a "non-standard rezoning" which is to be reported for direction on whether the flat CAC rate $32.29 per m2 ($3.00 per sq. ft.) on net increase in allowable non-industrial development be applied, or a negotiated approach be applied.
The policy further states for non-standard rezonings, in addition to the required DCL, the CAC flat rate establishes a benchmark for negotiating. A negotiated CAC (cash or in-kind) should not be less than what the flat rate CAC would provide. The policy also states that for non-standard rezonings providing a negotiated CAC, such as this project, the contextual information to assist negotiations could include: the cost of providing facilities to City standards; the adequacy of neighbourhood facilities; development economics (of the specific area and sites); and community support.
Staff note that considerable experience has been gained in negotiating in-kind and cash contributions that can now be applied in this case. Neighbourhood-specific needs would be considered along with the normal range of public amenity considerations. Recent experience in rezoning other locations outside the downtown offers references for the range of amenity levels which may be achievable.
Consistent with CAC policy, because the site is at least 2 acres, staff are seeking direction from Council regarding applying either the flat rate or negotiated approach. Consistent with past practise on such sites, staff recommend negotiating for combined cash and in-kind amenities of at least the flat rate value. With a large site, more needs can be met on-site (there is a range of in-kind CACs to be considered) and there is potential for at least the flat rate value to be delivered to the City, though this might be at a cost less than the flat rate to the land owners.
This policy is intended to deal with local amenity needs, to ensure that new development does not generate significant additional costs for the general tax base particularly where limited amenities now exist.
PROPONENTS' COMMENTS
"We have reviewed the Policy Report and find it to be reflective of our objectives for campus expansion to better facilitate the current student load and provide for growth in the future."
CONCLUSION
A Council approved policy framework including a multi-stage expansion plan and amenity strategy would achieve the College administration's objective of a formal indication of what constitutes acceptable future development scale and form. This will provide a policy context within which a full rezoning application can follow to deal with future expansion phases.
In the meantime, a CD-1 Text Amendment may be processed to provide for the margin of extra floor area needed to accommodate a first phase of library and classroom expansion.The policy process would assist in defining parameters to address questions regarding landscaped setbacks; residential interface; vehicular, bicycle and pedestrian movements; parking and community amenities in advance of preparing a rezoning application. This would provide Council with a policy reference point from which to evaluate a rezoning.
The program outlined in Appendix A together with staff resources described in Appendix B and estimated full cost recovery budget of $327,600 in Appendix C expected to achieve a completed Policy Statement and a listing of required amenities by mid-2004. Two rezoning applications are anticipated as described above, the first to be reported to Council in parallel with the policy study and the second to follow from it the following winter of 2005. A report back on the proposed fee reduction would be in advance of the second rezoning application.
- - - - -
APPENDIX A
Recommended Timetable
Scoping
October 2003-12-22 Initial Meetings
November Background Research
December Draft Report
January 2004 Dialogue on Process/Report to Council
Policy Process
Feb/Mar 2004 Initial Public Process
Major Projects Steering Committee (MPSC) Review
Urban Design Workshops
Policy parameters and concepts(s)
Report to Council Commentary: policy support, public
Input, issues.Apr/May Urban Design, Amenity Policy Development
Resolution of technical issues
June Second Public Process
MPSC Review
Refinements
July Council Report: Policy Statement, with amenity requirements
Concurrent Rezoning Process: #1
February Submit Application
Public Process
March Technical Review/Revisions
April Rezoning Referral Report
May Public Hearing
Rezoning Enactment: #1
May Submit Draft Agreements
June Review Agreements
July Enactment Report
Follow Up Rezoning Process: #2
August Submit Application
September Public Process
Technical Review
Urban Design Panel
Oct/Nov Refinement/Revisions
December Rezoning Referral Report
January/Feb. 2005 Public Hearing
Follow Up Rezoning Enactment: #2
February 2005 Draft Agreements
March Submit, Review Agreements
July Enactment Report
APPENDIX B
Program Resources
Staffing Time (Person Months) Allocation
Core Team
Senior Planner 2.5
Project Planner 6.0
Planning Assistant 5.0
Technical Team
Solicitor 2.0
Projects Engineer 4.0
Urban Designer 3.0
Planning Analyst 2.0
Social Planner .75
Park Planner .75
APPENDIX C
Langara College Expansion Planning Program Budget
Policy Review
Rezoning #1
Enactment #1
Rezoning #2
Enactment #2
Total Salaries, Benefits
$56,565.76
$30,405.39
$22,894.14
$36,102.82
$29,678.63
Core Team
Senior Planner
$11,300.84
$1,883.47
$1,883.47
$1,883.47
$1,883.47
Project Planner
$6,639.01
$13,278.02
$0.00
$13,278.02
$3,319.51
Planning Asst.
$8,396.64
$8,396.64
$0.00
$4,198.32
$0.00
Technical Team
Solicitor
$0.00
$0.00
$9,000.00
$0.00
$9,000.00
Project Engineer
$6,847.26
$6,847.26
$6,847.26
0.00
$6,847.26
Urban Designer
$19,917.03
$0.00
$0.00
$13,278.02
$0.00
Planning Analyst
$0.00
$0.00
$5,163.41
$0.00
$5,163.41
Social Planner
$1,805.23
$0.00
$0.00
$1,805.23
$1,805.23
Park Planner
$1,659.75
$0.00
$0.00
$1,659.75
$1,659.75
Pre-Overhead Costs
$38,500.18
$3,340.54
$2,289.41
$10,243.88
$2,967.86
Public Consultation
$7,500.00
$3,000.00
$0.00
$10,500.00
$0.00
Overhead Costs
$29,198.81
$12,601.87
$5,464.83
$19,277.73
$7,084.29
Total by Stage
$131,764.74
$49,347.80
$30,648.39
$76,124.43
$39,730.78
Cumulative Total
$211,760.93
$115,855.21
$327,616.14
* * * * *