Vancouver City Council |
CITY OF VANCOUVER
ADMINISTRATIVE REPORT
Date:
November 20, 2003
Author:
Gerry McGeough
Phone No.:
604.873.7091
RTS No.:
03587
CC File No.:
1401-61
Meeting Date:
2003-12-10
TO:
Vancouver City Council
FROM:
Director of Current Planning
SUBJECT:
Heritage Revitalization Agreement & Designation : 1483 - 1487 West 15th Avenue
A. THAT Council authorize the Director of Legal Services to enter into a Heritage Revitalization Agreement for the property at 1483 - 1487 West 15th Avenue to:
· secure the rehabilitation, protection and on-going maintenance of the three street facades of the two apartment buildings, formerly known as the Shaughnessy Mansions, listed in the "B" category on the Vancouver Heritage Register; and
· vary the Development Cost Levy By-law to reduce the rate to $0.11/ m².B. THAT Council by by-law designate as Protected Heritage Property the three street facades of the property at 1483 - 1487 West 15th Avenue;
C. THAT the Director of Legal Services bring forth the by-law to authorize the Heritage Revitalization Agreement; and
D. THAT the Director of Legal Services bring forth the by-law to designate as Protected Heritage Property the three street facades of 1483 - 1487 West 15th Avenue.
The General Manager of Community Services RECOMMENDS approval of A, B, C and D.
COUNCIL POLICY
Council's Heritage Policies and Guidelines state that buildings "identified in the Vancouver Heritage Register have heritage significance" and that "the City's long-term goal is to protect through voluntary designation as many resources on the Vancouver Heritage Register as possible."
Council's policy on heritage designation states, in part, that legal designation will be a prerequisite to accepting certain relaxations and incentives.
PURPOSE and SUMMARY
This report seeks Council approval to vary the Development Cost Levy (DCL) for the site at 1483 - 1487 West 15th Avenue in exchange for the rehabilitation and long-term protection of the street facades of the Shaughnessy Mansions through a Heritage Revitalization Agreement (HRA) and heritage designation.
DISCUSSION
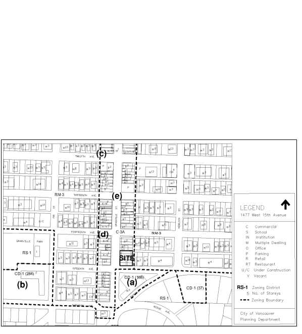
The site is located at 1483 - 1487 West 15th Avenue in the C-3A Zoning District and has a total area of 4 919 m² (16,140 ft²) (See Appendix A). In May 2003, the Development Permit Board approved a development application for this site, subject to conditions. The application proposed to retain the street facades of the Shaughnessy Mansions, add a penthouse and construct a new 4-storey infill development to the north. With the exception of the façade retention, this development is deemed to be demolition and new construction. The owners are required to pay the rental demolition fee of $1,000 per unit and to give notice to vacate pursuant to the requirements of the Residential Tenancy Act (RTA). The RTA requires that all permits be in place, and that tenants be given between two and six months notice, the exact period to be established by the municipality. The City has set a four month period for such notice.
To assist with the additional cost of retaining and restoring the facades and in exchange for designation, the owners are requesting to enter into a Heritage Revitalization Agreement with the City to reduce the Development Cost Levy (DCL) payable.
Heritage Value: The Shaughnessy Mansions are listed on the Vancouver Heritage Register in the "B" category and are landmarks in the South Granville area. They are early examples of apartment buildings with shops below. They were designed by brothers Townsend and Townsend Architects, who designed a number of similar residential buildings in Vancouver. Their most distinctive feature is the diamond patterned red brick decoration covering the facades buff brickwork. The buildings are a pair; although they are not identical they share similar design.
Compatibility of Conservation with Community Planning Objectives: The intent of the C3-A zoning schedule is to:
"provide for a wide range of goods and services, to maintain commercial activities, specialized services and some light manufacturing enterprises while preserving the character and general amenity of the area and its immediate surroundings, and to provide for dwelling uses designed compatibly with commercial uses."
The proposed mixed-use development, which includes the retention of the heritage facades, is compatible with this intent.
Compatibility with Land Use Regulations: When the Development Permit Board considered this development application, it supported a Floor Space Ratio (FSR) increase from 3.0 conditionally permitted to 3.05 proposed to partially assist with conservation costs. Although a substantially greater floorspace increase would be required to compensate the owner for the extra heritage costs, staff did not support such increase because it would necessitate an additional floor level that would significantly impact the neighbours' views to the north. Alternatively, staff recommended Development Cost Levy (DCL) relief as the form of compensation.
Conservation Approach: The standard approach to conserving a Vancouver Heritage Register building receiving heritage incentives is to rehabilitate the building as a whole. The applicant's original proposal was to retain the two apartment buildings "as is" and to construct a 5-storey infill structure on the non-heritage portion of the site to the north. A view analysis confirmed the proposed 5-storey development would generate view impacts for lower floors of the Hycroft Towers. This was the reason the proposal was strongly opposed when presented at a meeting attended by 35 neighbours. In response, the applicant revised the application to delete the 5th floor and instead, shift this floorspace to the top of the heritage building in the form of a penthouse setback from the heritage facades. In developing this option, the following factors lead the applicant, staff and the Heritage Commission to support replacing the existing wooden floor structures with a new concrete floor structure:
1. The removal of the interior structure will permit the excavation required to provide the below-grade parking that these buildings currently lack. Parking in the neighbourhood is a source of irritation for many local residents. The proposed scheme will address the current non-conformity of the existing buildings by providing parking for both residential and commercial users.
2. The existing wood frame structure of the heritage buildings has undergone significant settling. In many locations, floor structures in the existing buildings slope one inch per foot necessitating renovation to much of the existing floor and supporting structure.
3. The proposed development will have a penthouse floor extending across the new and existing areas of the building footprint. The heritage building structure falls short of current code requirements: structural, seismical and fire safety. The addition of another floor level would compound the problem.
4. The existing suite layouts use interior light wells to provide light to interior rooms and vertical support for the building structure. The re-design of the suites to satisfy current building codes, privacy and market requirements will require relocation and replacement of most of the vertical supports. This would be difficult within the restrictions of the current floor framing plan.
5. The proposed courtyard will extend into the footprint of the existing heritage building plan thus providing increased light and ventilation into the habitable rooms of the suites planned for this portion of the project. These suites were previously served by light wells.
Financial Analysis: The applicant is requesting to enter into the requisite HRA with the City to vary the DCL rate as a partial compensation for the hardship of preserving the heritage facades. It is proposed to reduce the rate for the 4 471.7 m² (48,135 ft²) development to $0.11/ m². At the current rate of $26.91/ m², the value of the reduction is $119,842. However, if the building permit is issued after the DCL rate increase to $64.58/ m² takes effect on February 1, 2004 the value of the reduction will be $287,620. Real Estate Services reviewed these values and the proposed conditional development application vis a vis the cost of preserving the heritage facades. It determined that the DCL reduction does not result in excess profit for the owners. The owners have agreed that the DCL reduction is full and fair compensation for preserving the heritage facades, for entering into a Heritage Revitalization Agreement and for the designation.
Neighbourhood Notification: As part of the development application process in the spring of this year, two signs were erected on the site and City staff mailed letters to 331 adjacent property owners on two occasions. See Appendix B for the complete description of the development application notification and notification response. There were a number of issues raised that were addressed by the Development Permit Board in its deliberations and its conditions when it approved the development application.
With regards to heritage conservation, the only negative issues raised were comments in four of the 22 response letters received that questioned the merits of the one-story addition to the heritage building with a different architectural treatment. The provincial and national heritage conservation guidelines recommend additions to heritage buildings be distinguished from, yet compatible with the heritage building. Staff's and the Heritage Commission's assessment is that the proposed penthouse addition meets these guidelines for good conservation: it is set back from the principal heritage facades; secondary in scale to the principal building; and is finished in a contemporary architectural treatment so as to not be confused with or diminish the value of the heritage facades.
Comments of the Vancouver Heritage Commission: On April 14, 2003, the Vancouver Heritage Commission reviewed and supported the proposed development application and the requested DCL rate reduction subject to design revisions, which are being addressed through the application process.
CONCLUSION
The development proposal fulfils Council's long-term policy to protect heritage resources through voluntary designation. The requested DCL rate reduction will make the heritage conservation economically viable. Therefore, it is recommended that Council endorse the requisite HRA and designate by by-law the three street facades of the heritage buildings at 1483-1487 West 15th Avenue as Protected Heritage Property.
- - - - -
Appendix A: Site Map
Appendix B:
Development Application NotificationDEVELOPMENT APPLICATION NEIGHBOURHOOD NOTIFICATION
(This is an extract from staff committee report to the Development Permit Board meeting of May 26, 2003, at which time the DBP approved the Development Application with conditions.)As part of the development permit process, the applicant provided confirmation that two signs had been erected on the site. On March 10, 2003, City staff mailed letters to 331 adjacent property owners, advising them of the Development Permit application under consideration. A total of 18 individuals responded in writing to the first notification: two were in favour of the application, 14 voiced opposition, and three offered feedback but did not support or oppose the application. The concerns noted were traffic congestion at West 15th and Granville; parking issues in the lane east of Granville Street; building heights and resultant view losses; and the potential for the loss of small-format retail that met local needs. Four respondents questioned the heritage merits of the redevelopment in light of the one-story additions with a different architectural treatment. Additionally, a local business submitted a petition with 52 signatures indicating opposition to the application on the grounds that their operations would be displaced.
Following a decision to reschedule the current application for a Development Permit Board hearing, a second notification was mailed on April 24, 2003 to advise the 331 adjacent owners and any citizen who responded in writing to the first notification and provided a mailing address. Six letters were received in response to the second notification: two reiterated objections and concerns expressed in earlier correspondence to the City; three stated objections to the proposal with concerns consistent with those summarized above; and one citizen indicated concern about the 3:00 pm start time for the Development Permit Board meeting.
Staff response to notification (extract from Development Permit Board)
Traffic Congestion and Parking
Staff acknowledge concerns raised with respect to local congestion, and related pedestrian safety, and have communicated these concerns to engineering staff who manage neighbourhood traffic related programs, including the consideration of crosswalks where appropriate. Staff confirm that this development application will improve local traffic and congestion by achieving the following:
1) Bringing the heritage buildings into full compliance for both parking and loading as required under the Vancouver Parking By-law. This will free up street parking for residents, visitors and patrons of commercial tenancies along Granville Street. Additionally, it will reduce circulation by those in search of scarce on-street parking.
2) Providing a surplus of parking for commercial tenancies and visitors.
3) Integrating the heritage buildings into the development which will consolidate parking and loading activity from the lane.
Staff suggest that some of the concerns raised may be attributed to other sites in the area which are characterized by a lack of on-site parking or loading. The proposed development under this application, while unable to mitigate specific impacts generated by other off-site activities, will contribute generally to relieving pressure from streets through re-development and by-law compliance. Engineering staff have acknowledged that some improvements in traffic management may be required to mitigate ongoing problems that predate the current application, and they suggest that these pre-existing issues should not be grounds for refusal.
Building Heights and Resultant View LossStaff acknowledge that some views from lower levels of Hycroft Towers, specifically floors 1 through 4 will be fully or partially compromised by this development. Staff have endeavored, through both enquiry discussions and during application processing, to reduce height below the maximum 6 storey limit recommended under the design guidelines. The 4-storey proposal under this application effectively responds to staff's intention to seek a balance between maximizing views, improving local parking and traffic conditions through re-development, creating housing opportunities, and preserving recognized heritage resources. A further reduction in height to the prevailing heights of 3 storeys, noting that the existing heritage structures present a 3-storey streetwall fronting West 15th Avenue, would compromise the project's ability to retain these heritage resources. Staff believe that this development provides a good example of creating housing opportunity while preserving important heritage resources in a lower building form that reinforces the prevailing characteristics of the shopping area.
Loss of Small Format Locally Serving Retail
Staff have communicated this concern to the applicant but cannot influence the selection of future tenancies. The building design will accommodate the requirements of more localised service uses, especially along the West 15th Avenue frontage, where these activities could serve as an appropriate transition to the residential zoning directly east of the site.
* * * * * *