CITY OF VANCOUVER

POLICY REPORT
DEVELOPMENT AND BUILDING

 

Date:

November 24, 2003

 

Author:

Tom Phipps

 

Phone No.:

871-6604

 

RTS No.:

03788

 

CC File No.:

5302

 

Meeting Date:

December 9, 2003

TO:

Vancouver City Council

FROM:

Director of Current Planning in consultation with the Directors of Cultural Affairs, Housing and Social Planning, the Manager of Engineering Services, and General Manager of Parks and Recreation

SUBJECT:

Vancouver Community College: King Edward Campus

RECOMMENDATION

B. THAT staff resources contained in Appendix B and associated cost recovered budget of $182,800 contained in Appendix C be approved to complete the

policy planning for Vancouver Community College - King Edward Campus; and

FURTHER THAT, consistent with City cost recovery policy, Council accept

a contribution from the Vancouver Community College to fully cover these costs.

AND FURTHER THAT these contributions will be applied to rezoning fees.

C. THAT, consistent with Community Amenity Contribution Policy, a

contribution of at least the flat rate be negotiated in kind or cash as part of the policy planning for Vancouver Community College - King Edward Campus.

GENERAL MANAGER'S COMMENTS

The General Manager of Community Services RECOMMENDS approval of the above.

COUNCIL POLICY

City Plan approved May 1995

Regional Context Statement ODP approved September 2000

Cost Recovery Policy

City-Wide CAC Policy

PURPOSE AND SUMMARY

This report recommends that Council initiate a cost recovered planning program to develop a policy context in which to consider approvals for several stages of future expansion of King Edward Campus of Vancouver Community College (VCC). This program would involve consultation with college representatives and relevant community organizations and would produce a Policy Statement and amenity strategy to guide future zoning decisions. Proposed expansion phasing concepts and related public amenity proposals would be evaluated and reported back in reference to Council Policy, including CityPlan policies. This fully cost recovered program is outlined in Appendix A, with program resources identified in Appendix B and a budget outlined in Appendix C.

BACKGROUND

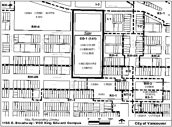
To address space deficiencies for existing programs, the VCC Board has instructed the King Edward Campus administration to pursue Ministry of Advanced Education approvals for the first of several phases of college expansion. Rezoning approval is needed to allow a proposed ultimate 63 640 m2 (685,000 sq. ft.) increase in floor area. In discussion with City staff it has been agreed that the first phase should be contemplated in the context of locational and massing decisions about future phases through a single rezoning, followed by individual development permits, rather than several separate zonings.

To create a policy context for a rezoning which addresses several future expansions, a brief policy review phase is needed prior to reviewing a rezoning application. This policy phase would be heavily focused on urban design; vehicular, bicycle and pedestrian movements; and parking questions. It would also address the residential interface and review the adequacy of community amenities in relation to City amenity policies.

DISCUSSION

The context of King Edward campus is well understood as a result of recent planning activities in the area. Discussion of previously contemplated expansion concepts has assisted in identifying key questions to be addressed in the proposed policy and rezoning program. Therefore, to abbreviate the duration of the program, staff have identified a need for analysis of questions including views impacts, residential interfaces, pedestrian movements, transit links, and bicycle routes which project consultants can prepare in advance of initiating this program. Preliminary analysis would be shared with the public early in the program prior to formulating policy parameters to guide the rezoning.

The original campus design preserved mountain and downtown views from Broadway.

Staff and the proponent must assess potential to maintain priority views while accommodating expansion. With expansion, the relationship to adjacent residential areas increases in importance. Pedestrian, bicycle and vehicular movements will also increase and must be carefully addressed. An assessment of outdoor recreational needs would be undertaken, noting that King Edward Campus is located in Mt Pleasant, which is a park deficient local area.

Process and Policy Objective: To ensure credibility with the public and continuity in the process, it would be beneficial for the College to provide assurances to the City that once the public has been engaged in the planning process and staff committed to the program, the college will complete the policy stage and rezoning, all else being equal.

Rezoning Program Staffing: To provide the proponent with the level of service which will achieve the appropriate policy conclusions for approval in mid-2004 and to complete a rezoning review later in that year requires a dedicated program team, including urban design resources and the usual range of departmental technical representatives (see Appendix B). This team would report to the Major Projects Steering Committee for direction and to resolve technical issues. In preparation of the report, staff have undertaken scoping work to achieve a credible policy process and information baseline. In the Planning Department, the Current Planning Major Projects team will be assigned the work.

Rezoning Fees: Cost recovery planning programs have established the principle that fees paid to cover pre-rezoning policy work would be contributed toward rezoning fees if full cost recovery is achieved, including rezoning. Initial analysis indicates that there are efficiencies which allow full cost recovery fees for the policy and scoping portions of the program to be credited against future rezoning fees. Full cost recovery for the overall process, but not beyond that, is the ultimate objective.

FINANCIAL IMPLICATIONS

A full cost recovery budget is outlined in Appendix C, providing for the technical team as described above as well as public process. Consistent with cost recovery policy, costs are included for scoping work already undertaken to structure the process, accommodate the proponents' needs and provide baseline information in a timely manner. The study proponents (VCC KEC representatives) agree with and are prepared to fund this budget with full payment in January.

PUBLIC BENEFIT CONTRIBUTIONS

Development Cost Levies (DCLs): DCLs will apply to new development at the approved rate of$64.58 per m2 ($6.00 per sq. ft.) (daycare use set at $5.49 per m2/$0.51 per sq. ft.)

Community Amenity Contributions (CACs): Interim CAC Policy defines a rezoning on a site which is over .8 ha (2 acres) or a change of use from industrial to residential, as a "non-standard rezoning" which is to be reported for direction on whether the flat CAC rate $32.29 per m2 ($3.00 per sq. ft.) on net increase in allowable non-industrial development be applied, or a negotiated approach be applied.

The policy further states for non-standard rezonings, in addition to the required DCL, the CAC flat rate establishes a benchmark for negotiating. A negotiated CAC (cash or in-kind) should not be less than what the flat rate CAC would provide. The policy also states that for non-standard rezonings providing a negotiated CAC, such as this project, the contextual information to assist negotiations could include: the cost of providing facilities to City standards; the adequacy of neighbourhood facilities; development economics (of the specific area and sites); and community support.

Staff note that considerable experience has been gained in negotiating in-kind and cash contributions that can now be applied in this case. Neighbourhood-specific needs would be considered along with the normal range of public amenity considerations. Recent experience in rezoning other locations outside the downtown offers references for the range of amenity levels which may be achievable.

Consistent with CAC policy, because the site is at least 2 acres, staff are seeking direction from Council regarding applying either the flat rate or negotiated approach. Consistent with past practise on such sites, staff recommend negotiating for combined cash and in-kind amenities of at least the flat rate value. With a large site, more needs can be met on-site (there is a range of in-kind CACs to be considered) and there is potential for at least the flat rate value to be delivered to the City, though this might be at cost less than the flat rate to the land owners.

This policy is intended to deal with local amenity needs, to ensure that new development does not generate significant additional costs for the general tax base particularly where limited amenities now exist.

PROPONENTS' COMMENTS

Vancouver Community College serves 25,000 full- and part-time students a year in health, hospitality, business, English as a Second Language, adult basic education, career access, continuing education, trades and technology. The King Edward Campus of Vancouver Community College was opened in 1983 and has become the most heavily utilized major college campus in British Columbia. The campus accommodates over 4,000 full time equivalent students even though it was designed for only 1,800. Expansion of the College's facilities is necessary to resolve critical space shortages for current activities. It is also vital that the College have facilities for growth in order to continue to meet the ever increasing demand for the educational and job training services that the residents of Vancouver require. The College has been a leader in providing post-secondary training in Vancouver for the past 40 years. Rezoning of the King Edward Campus is a critical step in providing the opportunity for the College to continue its important role in building a better community by helping improve the lives of the people it serves. The College is in agreement with proceeding with working with the public and the City through this rezoning process to determine the best way to meet the College's long-term facility needs.

CONCLUSION

A Council approved Policy Statement and amenity strategy would achieve the College administration's objective of an indication of acceptable future development scale and form. This will provide a policy framework within which a rezoning application can follow immediately. The policy process would assist in defining parameters to address questions regarding views; residential interface; vehicular, bicycle and pedestrian movements; parking and community amenities in advance of preparing a rezoning application. This would provide Council with a policy reference point from which to evaluate a rezoning.

The program outlined in Appendix A together with staff resources described in Appendix B and full cost recovery budget of $182,800 in Appendix C expected to achieve a completed Policy Statement and a listing of required amenities by mid-2004, a rezoning application is anticipated to follow and be reported to Council the following winter of 2004.

- - - - -

APPENDIX A

PAGE 1 OF 1

Recommended Timetable

Scoping

October Initial Meetings

November Background Research

December Dialogue on Process/Report Preparation

Policy Process

January Initial Public Process

Major Projects Steering Committee (MPSC) Review

Urban Design Panel Workshop

Policy parameters and concept(s)

Report to Council with Commentary: policy support, public input, issues

Feb/Mar. Land Use, Urban Design, Amenity Policy Development

Resolution of technical issues.

March/April Second Public Process

MPSC Review

Refinements

May Council Report: Policy Statement, with amenity requirements.

Rezoning Process

June Submit Application

Public Process

Urban Design Panel Review

July/Sept. Technical Review/Revisions

November Rezoning Referral Report

January Public Hearing

APPENDIX B

PAGE 1 OF 1

Program Resources

Staffing Time (Person Months) Allocation

Core Team

Senior Planner 1.5

Project Planner 6.0

Planning Analyst 2.0

Planning Assistant 3.0

Technical Team

Solicitor 1.0

Projects Engineer 3.5

Urban Designer 3.0

Social Planning .75

Park Planner .75

APPENDIX C

PAGE 1 OF 1

VCC: King Edward Campus Cost Recovery Budget

 

Policy Review

Rezoning

Enactment

       

Total Salaries Benefits

$49,617.35

$51,844.14

$30,229.90

       

Senior Planner

$5,650.42

$1,3883.47

$3,766.95

       

Planner

$6,101.13

$24,404.52

$6,101.13

       

Planning Analyst

$10,326.82

$0.00

$0.00

       

Planning Asst

$4,198.32

$8,396.64

$1,049.58

       

Urban Designer

$19,917.03

$0.00

$0.00

       

Solicitor

$0.00

$0.00

$9,000.00

       

Civil Eng

$3,423.63

$13,694.52

$6,847.26

       

Social Planner

$1,805.23

$1,805.23

$1,805.23

       

Park Planner

$1,659.75

$1,659.75

$1,659.75

       

Total Pre-Overhead Cost

$53,367.35

$55,594.14

$30,229.90

       

Public Consultation

$3,750.00 $3,750.00  
       

Overhead Costs

$12,332.62

$21,319.93

$6,559.89

       

Total By Stage

$69,164.95

$76,914.06

$36,789.79

       

Cumulative Total Budget

 

$141,862.12

$182,868.79

       
       

* * * * *