Vancouver City Council |
CITY OF VANCOUVER
ADMINISTRATIVE REPORT
398 Richards Street - The Vancouver Drink Cabaret Ltd.
Amendment to Liquor Primary License - Change in Hours of Operation
THAT Council, having considered that the majority of area residents and business operators did not oppose the application as determined by on-site sign, the proximity of residential developments, noise impacts and relevant city policy as outlined in this report titled 398 Richards Street, The Vancouver Drink Cabaret Ltd., Amendment to Liquor Primary License - Change in Hours of Operation - dated November 25, 2003, endorse the request by The Vancouver Drink Cabaret Ltd., for a change in hours of operation from 7:00 p.m. to 2:00 a.m. Monday to Saturday and 7:00 p.m. to 12:00 midnight Sunday to 11:00 a.m. to 2:00 a.m. Monday to Saturday and 11:00 a.m. to 12:00 midnight Sunday at the Drink Nite Club, 398 Richards Street, subject to:
The General Manager of Community Services RECOMMENDS approval of the foregoing.
Council Policy requires that amendments to existing Liquor Primary (Cabaret) Licenses are subject to a neighbourhood notification and a Good Neighbour Agreement. It is also Council policy to generally support earlier opening times for cabarets.
The Vancouver Drink Cabaret Ltd. is requesting a Council resolution endorsing their application for a change in hours of operation at the Drink Nite Club, 398, Richards Street.
The applicant has been in business for 22 years. He currently finds that the premises are not being utilized to maximum capacity and is interested in offering more daytime use which would attract downtown business people.
The current hours of operation are:
Monday to Saturday 7:00 p.m. to 2:00 a.m.
Sunday 7:00 p.m. to 12:00 midnight.
The proposed hours of operation are:
Liquor Control & Licensing Branch Regulations and Policies
Branch regulations allow liquor service between the hours of 9:00 a.m. to 4:00 a.m. seven days a week for Liquor Primary Licenses. All changes/amendments to the liquor license hours of service are subject to local government support. All previous Branch policy has been eliminated.
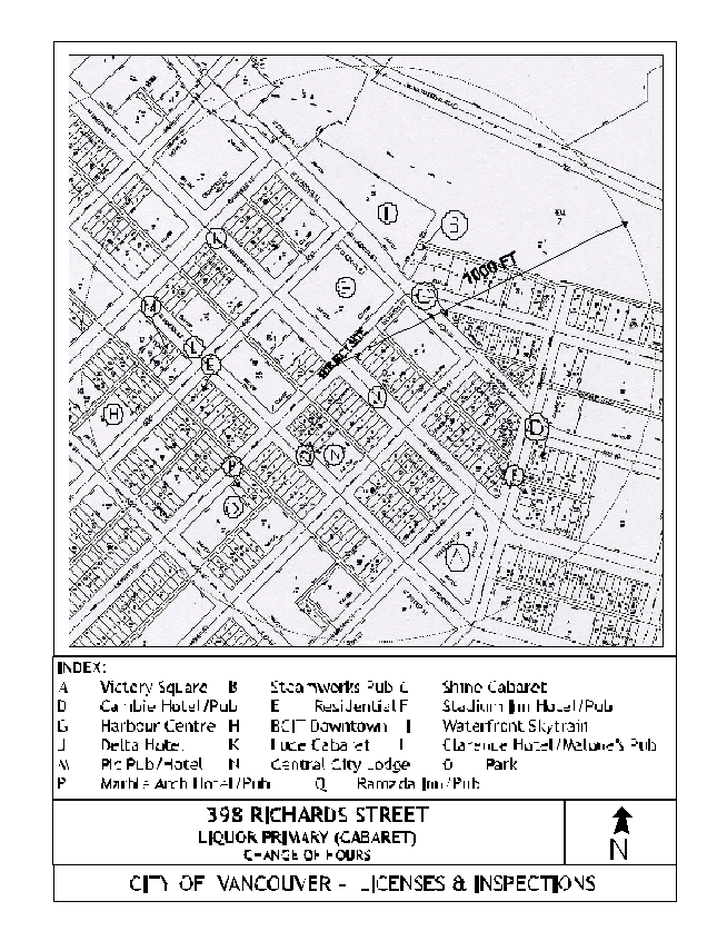
The subject premises are located in the Downtown (DD) Zoning District. The surrounding area is primarily office towers and a mixture of hotels, restaurants, retail and other commercial uses. The nearest residential development is located approximately 400 ft. from the subject site (refer to Appendix A).
There are three cabarets (756 total seats, including this application), six hotel lounges/pubs (766 total seats), one neighbourhood pub (85-seats) and approximately 24 licensed restaurants within the 1000 ft. survey area. The closest provincial government liquor store is located at 555, West Hastings Street. A private `beer only' liquor store is located at 375, Water Street.
There are no policy issues with this application.
Earlier opening hours provides additional flexibility for the operator regarding potential improvements to this business. As a result, the business may be more viable and could result in additional daytime employment.
On November 5, 2003 a sign was erected on the site advising area residents and businesses of the application and where to send concerns or comments. Staff allowed 3 weeks for the community to respond with their concerns or support for the application. There have been no responses to the site sign.
The Police Department had no comments at the time this report was finalized but may wish to provide comments at the Committee meeting.
The Development Services Department have no comments at this time.
The Environmental Health Department has no concerns with this application.
The Social Planning Department & Housing Centre have no concerns.
Staff generally support earlier opening hours for Cabarets as a means to provide additional daytime pedestrian activity on the street and more flexibility for the operator. As such, Staff recommend approval of the earlier operating hours.