Vancouver City Council |
ADMINISTRATIVE REPORT
Date: September 12, 2003
Author/Local: S. Kirk/7908RTS NO. 2009
CC File No. 5809/5553
Meeting Date: October 7, 2003
TO:
Standing Committee of Transportation and Traffic
FROM:
General Manager of Engineering Services
SUBJECT:
Alma Street and West 8th Avenue - Median
RECOMMENDATION
THAT the median refuge on Alma Street at West 8th Avenue be repainted to improve safety and that a parking layby area be created on the eastside of Alma St., south of 8th Avenue at a cost of $12,000 to be funded from Street Basic Capital Account SCA2E-UNAP, Bicycle Network Unappropriated.
PURPOSE
The purpose of this report is to review the operation of the median refuge on Alma Street at West 8th Avenue and to make recommendations for improvement.
BACKGROUND
The Off-Broadway Bikeway was opened in June 1994 after consultation with cyclists, area residents and businesses along the route. A median on Alma at 8th was proposed in 1994 as part of the original design of the Off-Broadway Bikeway to improve the crossing conditions for cyclists and pedestrians. However, the median was not pursued because of the lack of support by the majority of local residents and general concerns about the loss of parking spaces. A survey of the area in 1994 indicated that only 46% (16/35) of respondents living within one block of the intersection were in favour of the median, despite an area-wide support of 72% (146/201). The installation of the median was therefore postponed by staff until the bikeway was completed and its actual operation could be reviewed. A second survey in 1995 produced similar results.
In 1999, in response to concerns raised by residents and cyclists about difficulties in crossing Alma at 8th Avenue, the intersection was reviewed again. Knowing the concerns about the loss of parking in the area, the proposed median was redesigned to minimize the impacts. The median was reduced in length and designed with a shorter taper (20:1) that would give vehicles along Alma a shorter length to manoeuvre around the median. In addition a field review of the parking conditions in the area was completed. It showed that although parking spaces would be more difficult to find during peak periods, the parking availability was adequate. A survey of residents about the redesigned median showed that 60% of local and 61% of area-wide residents supported it. As a result, Council approved the redesigned median and the median was constructed in late 2000.
DISCUSSION
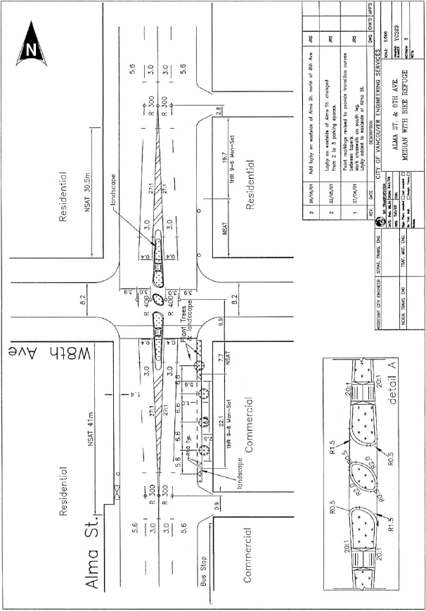
Shortly after construction, there were many complaints about bad driver behaviour due to the shorter length to manoeuvre around the median (20:1 taper). Observations by staff showed that some vehicles would drift out of the marked curb lane and encroach into the second lane, which could potentially result in a side swipe collision. As a result, traffic measures (reflective pavement markings and additional lane line markings) were introduced to further ensure that vehicles travelled along their designated lanes. Also, parking was restricted around the median to a greater extent than originally proposed. These measures, along with drivers adapting to the new median, have helped to reduce the poor driver behaviour, but this behaviour is still not fully satisfactory. To address this concern without reconstructing the median, the lane lines can be repainted with an increased taper of 27:1. This is recommended to improve safety by allowing for a more gradual transition of the traffic lanes around the median.
To replace some of the lost parking, the proposed design includes the installation of a one-metre-wide layby on the east side for about 20 metres in the 2400 block Alma. The adjacent property owners have requested trees be planted. The design includes the planting of trees at property owners expense. The Property owners have been consulted and concur with this design. A similar layby was proposed in the 2300 block, east side; however residents rejected this proposal.
Figure 1 shows the recommended changes to the taper, the parking regulations, and the recommended curb modifications on the east side. These modifications would improve safety for cyclists and motor vehicles, add trees along the sidewalk and replace lost parking spaces on the east side.
FINANCIAL IMPLICATIONS
The cost to restripe the road and construct the parking layby is estimated at $12,000. Funding is available in the Street Basic Capital Account SCA2E-UNAP, Bicycle Network Unappropriated.
CONCLUSIONTo increase safety on Alma at 8th, it is recommended that the traffic lines around the median be repainted to improve safety by allowing for a more gradual transition of the traffic lanes around the median. A parking layby area is also proposed to increase parking spaces on the east side.
* * * * *
