Vancouver City Council |
ADMINISTRATIVE REPORT
Date: April 25, 2003
Author/Local: S. Harvey/604-871-6001
RTS No. 03357
CC File No. 2604
Meeting Date: June 26, 2003
TO:
Standing Committee on Planning & Environment
FROM:
Directors of Social Planning and Development Permit Board in consultation with the Directors of Real Estate Services and Facilities Design & Development
SUBJECT:
Amenity Bonus Proposal - 550 Bute Street
RECOMMENDATION
A. THAT the applicant's request for a cultural amenity bonus at 550 Bute Street (DE 407110), as outlined in this report, be approved in principle, subject to the signing and registration in the Land Title Office of an Option to Lease (with form of lease attached) and a Section 219 Covenant providing for:
1) the design and construction by the Owner of 6,000 square feet of amenity space in the development to be constructed pursuant to DE407110 ; and
2) the registration of the lease of the amenity space to the City for nominal rent for the life of the Development, on the terms contained in this report.
The Option to Lease and Section 219 Covenant shall be registered prior to issuance of the development permit for the Development; and
B. THAT the Council approve a sublease of the amenity space to The Vancouver Volunteer Centre (Volunteer Vancouver) for nominal rent on the terms set out in this report.
The agreements herein approved shall be on the terms discussed in this report and such other terms as deemed advisable by the Director of Legal Services, in consultation with the Directors of the Office of Cultural Affairs, Real Estate and Facilities Design & Development, it being understood that no legal rights or obligations shall arise except upon the signing and registration of the Option to Lease and Section 219 Covenant and issuance of development permit DE407110.
GENERAL MANAGER'S COMMENTS
The General Manager of Community Services RECOMMENDS approval of A and B and notes that B represents a grant which requires eight affirmative votes.
COUNCIL POLICY
The Downtown Official Development Plan under Section 6.II allows for an increase in the permitted floor space ratio or density of a building, in exchange for public, social or recreational facilities which have a demonstrated need, subject to Council approval.
Bonused amenity spaces are leased by the City and subleased to Vancouver-based, non-profit social service or cultural organizations at a nominal rent for a term of up to 20 years and include a series of requirements including the obligation to provide community services and benefits accessible to the public; to undertake a fund raising campaign sufficient to pay future operating costs; and to assume all of the City's obligations under the head lease.
PURPOSE
The purpose of this report is to seek Council approval for an amenity bonus facility proposed within a mixed-use development at 550 Bute Street (DE 407110). The property owner has agreed to provide a 6,000 sq.ft. public amenity facility in exchange for 29,250 sq.ft. of additional density. The report also seeks Council's approval of a sublease of the public amenity facility to The Vancouver Volunteer Centre ("Volunteer Vancouver") for the purpose of a volunteer resource centre.
BACKGROUND
Ensuring access to appropriate and affordable facilities is a challenge for the non-profit sector in any major city. It is especially challenging in Vancouver's real estate market. In order to ensure that the non-profit community can afford to remain part of our downtown, the City actively seeks opportunities to acquire spaces through zoning incentive programs, such as the Amenity Bonusing Program, where the City, in partnership with private development, creates affordable facilities at no cost to taxpayers.
Since 1975, the City of Vancouver has made use of the Amenity Bonusing Program. The City's Official Development Plan permits developers to increase their on-site density in new construction in exchange for providing a public amenity of a social, recreational or cultural nature, subject to approval by the City's Development Permit Board and City Council.
The developer builds a fully finished amenity space, to the specification of the City, and prepays twenty years of the space's operating costs in exchange for additional density of equal value on-site. The City secures the amenity through legal agreements including a lease of the amenity space for the life of the building. The City sub-leases the amenity space to a non-profit society for a nominal rent with a condition that the society raise sufficient funds to create an endowment fund. The interest from the endowment fund is to cover the operating costs at the end of the developer's 20-year prepaid commitment and to ensure the public benefit for the life of the building.
Bonuses are dependant on securing a site which can accommodate the additional density and a developer willing to pursue the opportunity. Further, bonuses are only considered where the resultant additional density meets the City's planning guidelines and by-laws. The value of the bonus density is calculated by the City's Real Estate Department using a consistent pro forma analysis.
Bonuses are only considered for non-profit organizations which provide significant public benefit and propose public use of the amenity space. The organization must also have a demonstrated track record of public service, have managed a public facility and, in the City's judgement, have the capacity to raise sufficient funds to meet the future obligations of the amenity space.
DISCUSSION
This proposal is for a volunteer resource centre, to be built as part of a mixed-use development at the northeast corner of Bute and Melville Streets. The applicant, Amacon-Omni Management Inc, has submitted an application (DE 407110) to construct a 40-storey residential tower, a 12-storey boutique hotel, 60 units of residential in a three-storey podiumon Melville Street containing the public amenity and retail uses, and the conversion of the top two floors of an existing 10-storey mixed-use parkade building from residential to commercial. The development proposal is to increase the building density from the 7.0 FSR permitted (3.0 FSR residential plus 4.00 FSR commercial) to 8.09 FSR. In addition to the amenity bonus, the proposal also includes a 15% hotel bonus as well as a 10% heritage density transfer.
The preliminary development application (DE407110) was approved by the Development Permit Board, subject to Council's approval of the density bonus, on February 17, 2003. The minutes of the meeting are attached to this report as Appendix "A".
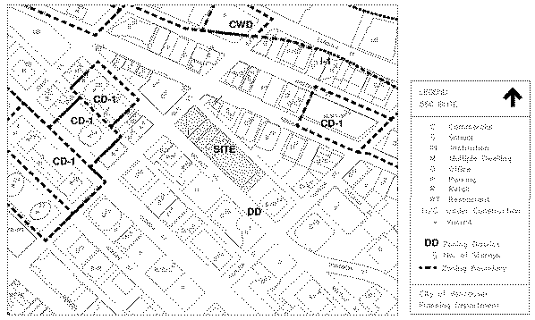
Site
This site is located at the northeast corner of Bute and Melville Streets and includes the site of the existing office/residential/parkade building at 1133 Melville Street. Within the General Policy for Higher Buildings, this site has been identified for consideration for a discretionary height increase up to 400 ft. from the permitted 300 ft. within the DODP. One of the measures for achieving this additional height is to provide a community benefit such as by being a recipient site for the provision of social facilities.Land Use
This mixed use development, consisting of residential and commercial uses including retail, office, and hotel, was envisioned for this area. The ground oriented amenity facility, located along the Melville Street frontage, will provide the active pedestrian interest and amenity intended. Further, staff believe that the proposed amenity is compatible with the other uses on this site.Urban Design
The additional density resulting from the bonused floor area created by the amenity facility (29,250 sq. ft.), translates into 5 additional floors within the residential tower. This was envisioned within the High Building Policy that the additional density generated through the provision of an amenity facility be absorbed through the increase in height for the tower.
This preliminary development received approval-in-principle by the Development Permit Board on February 17, 2003. A number of design conditions have been imposed on the approval, including design development to the tower form and architecture, as well as view impact performance to improve neighbouring views. When this proposal returns at the complete development application stage, in addition to the normal staff review process, it will go through a special High Building Urban Design Panel review. The results of this review will be reported to Council.Bonus Calculation
Real Estate Services staff have reviewed the proposed amenity bonus and their analysis supports a bonus density of 29,250 sq. ft. in return for the following:A 6,000 sq. ft. ground-oriented amenity space on Melville St. for the life of the building; the amenity space fully finished and fit-up generally as detailed in the Volunteer Vancouver Building Program dated April 25, 2001, including but not limited to:
· a library and resource room with computer kiosk terminals;
· training and meeting rooms;
· reception areas;
· wheelchair accessible washrooms;
· offices, meeting rooms, storage and a kitchen;
· mechanical and electrical systems;
· signage;
· 6 dedicated "rent free" parking stalls including accessible parking stall as required by the Parking By-law'; and
· all heat, light and electrical power usage within the amenity space as well as any common area operating costs associated with the space for a period of twenty years.
In exchange, an additional 29,250 sq.ft. of bonus density for residential condominium use on the site is warranted.
The methodology in determining the amenity bonus was consistent with all other bonuses in that the value of the amenity, fully finished and fit-up including a 20-year pre-paid operating allowance is of equal value to the additional bonus density and reflects Section 6.II of the Downtown Official Development Plan:
"In determining the increase in floor area or density that may be authorized, the Development Permit Board shall consider:
(a) the construction cost of the facility;
(b) any costs to the developer of continuing maintenance required for the facility;
(c) the rental value of the increased floor area;
(d) the value of any authorized relaxation of other restrictions."Staff note that the costs to build a stand alone volunteer resource centre downtown would be in the order of $1.5 million plus land and, therefore, conclude that the use of the amenity bonus program to realise the proposed centre provides an affordable mechanism to secure this public amenity.
Proposed Amenity - Volunteer Vancouver Resource Centre
The Vancouver Volunteer Centre ("Volunteer Vancouver") is a not-for-profit organization with a mandate to promote voluntarism; to build the capacity of other not-for-profit organizations through training opportunities; to connect individuals with organizations; and to convene individuals, organizations, and others to provide a forum for collaboration. Services include an extensive library open to all volunteers, which provides information on voluntary action and the management of not-for-profit organizations. The collection contains over 3,500 books, reprints, periodicals, and audiovisual material available for review or loan.As well, Volunteer Vancouver manages a database of over 1,400 volunteer opportunities available on-line or through self-referral terminals located within their resource centre. Volunteer Vancouver also provides training and workshops and works with non-profit boards of directors and senior staff to develop effective governance processes and procedures. One of Volunteer Vancouver's many projects, the Community Investment Network, is a collaboration of peer-based business leaders working to strengthen communities through mutual learning and leadership. CIN explores effective and innovative opportunities for business to become involved in community initiatives.
Volunteer Vancouver is currently housed at Heritage Hall on Main Street. They have out-grown this fourth floor space, which does not provide the access and visibility that the library and resource centre require. Social Planning staff support a location within the Downtown core which will better facilitate the partnership between the business and voluntary sectors.
The proposed amenity facility will include publicly-accessible library and resource centre, including computerised information kiosks, training and meeting rooms and ancillary office space for the Volunteer Vancouver and Leadership Vancouver organizations.
Council policy and practise has been to seek non-profit uses for amenities which encourage a diversity of cultural, social and recreational uses in the downtown, with a focus on public participation including live theatres for the performing arts, film theatres, galleries for the display of art, public exhibition halls, and public education facilities. The proposed Volunteer Vancouver resource centre and library meets these objectives and adds to the complement of previously approved bonused education/library facilities including The People's Law School (900 Howe Street), Legal Services Society's Legal Aid Library (1147 West Pender), the Alliance for Arts and Culture Centre (938 Howe Street), the Canadian Music Centre Library (877 Davie Street) and the Chief Dan George Centre for Advanced Education (639 Hornby Avenue).
Option to Lease, Lease and Sub-lease Agreements:
Subject to Council's approval, the City will secure its interest in the amenity space through an option to lease for the life of the building, which will be sub-leased to Volunteer Vancouver on those terms and conditions as are generally outlined in Appendix "B" of this report, as well as other terms as are required by, and satisfactory to the Director of Legal Services, in consultation with the Directors of Social Planning and Real Estate Services.The bonus calculation includes a 20-year prepaid operating allowance. As a condition of the sublease, bonus recipients are required to raise an endowment fund during the first term of the sublease, such that the interest from the endowment fund is sufficient to pay the operating costs of a subsequent sublease. Following a review of various options to secure the endowment fund, Volunteer Vancouver has proposed to make monthly contributions to a reserve fund which will be held, along with the 20-year prepaid operating allowance, by the City. The Society has been in existence for more than 55 years and staff believe that they have the resources and operational capacity to manage the financial obligations of an amenity bonus facility.
- 8 -
CONCLUSION
Staff have reviewed the amenity bonus proposal and believe that the land use and urban design impacts of the additional floor space are acceptable and that the benefit in increased
density to the applicant is balanced with the benefit to the public of the proposed Volunteer Vancouver Resource Centre.* * * * *
Development Permit Board and Advisory Panel Minutes - 550 Bute Street
Present
BoardF. Scobie Director of Development Services (Chair)L. Beasley Co-Director of PlanningJ. Forbes-Roberts General Manager of Community ServicesD. Rudberg General Manager of Engineering Services
Advisory PanelW. Francl Representative of the Design Professions (Urban Design Panel)J. Hancock Representative of the Design ProfessionsP. Kavanagh Representative of Development IndustryE. Mah Representative of Development IndustryC. Henschel Representative of General PublicM. Mortensen Representative of General Public
RegretsD. Chung Representative of General PublicJ. Leduc Representative of General Public
Also PresentA. Molaro Development PlannerV. Potter Project FacilitatorM. Thomson City SurveyorS. Harvey Senior Social and Cultural Planner
550 Bute StreetD. Hewitt Hewitt+Kwasnicky ArchitectsR. Whitstock Amacon Group
Recording SecretaryC. Hubbard
1. Minutes
An amendment was made to the Advisory Panel list of attendees.It was moved by Mr. Beasley, seconded by Mr. Rudberg, and was the decision of the Board:
THAT the Minutes of the Development Permit Board and Advisory Panel Meeting of January 27, 2003 be approved as amended.
2. Business Arising from the Minutes
None.
3. 550 Bute Street - DE407110 - Zone DD (Preliminary Application)
Applicant: Amacon Group
Request: To construct a mixed use project with a 40-storey residential tower (400 ft.) containing 256 units facing Bute Street , with a small boutique hotel of 12 storeys with 60 units facing Melville Street, as well as convert the top two floors of an existing 10-storey mixed-use/parkade building from residential to commercial. The proposal includes a small retail component and a public amenity space. A heritage density transfer and hotel bonus are also proposed.
Development Planner's Opening CommentsThe Development Planner, Anita Molaro, presented this preliminary application to develop the site at the corner of Bute and Melville Streets in the Downtown District. She briefly described the proposal and its immediate context. The site is located on the edge of the Central Business District and has an outright permitted height of 300 ft. This site has also been identified in the Skyline Study as one of the sites in the Downtown area which could support additional height up to 400 ft. Permitted density is 7.0 FSR (3.0 FSR residential, 4.0 FSR commercial). The application incorporates an existing building at 1133 Melville Street within the overall site and utilizes its unused density. The application also seeks to change the residential uses within the existing building to commercial use. A number of bonus densities are sought in this application: 10 percent heritage density bonus on the 3.0 FSR residential, a hotel bonus of 15 percent, and bonus floor area of approx. 42,000 sq.ft. for provision of a public amenity (Volunteer Vancouver) located in the residential tower. Total FSR for the whole site is 7.88 and 9.63 for the new development portion. Staff believe this density can be accommodated on the development portion of the site, although it is challenging in terms of massing and resulting impacts. The Official Development Plan (ODP) allows the Development Permit Board discretion to increase FSR from a transfer of heritage density as long as it is not calculated on hotel floor area. Staff have determined that, under the ODP, the Board may permit a combination of density transfers and hotel bonuses, and consider it is supportable given there is no layering ("double dipping") of bonus density being calculated.
The principal issues identified with this proposal are the proposed 400 ft. height, the density impacts and view impacts. The proposal would have to meet the objectives of the High Building Policy. Generally, the proposal meets a number of the objectives of both the Downtown Guidelines and the High Building Policy, with the most significant issue being the proposed height and consequent view impacts from adjacent buildings, and the architecture of the building. The view impact analysis, both quantitatively and qualitatively, confirms there is a view increase from the taller, slimmer tower (85 ft. x 85ft. floor plate) than with a shorter, wider tower (95 ft. x 95 ft. floor plate) with the same FSR. The view improvement ranges from 4.3 percent to 9.07 percent. This analysis is based on the degree of view aperture resulting from the proposed slimmer tower through the development site and does not include present view obstruction from existing buildings nor from future development. Staff believe further view improvement can be achieved by further slimming and shaping of the tower. The High Building Policy states that the proposed building should exhibit the highest order of architectural excellence commensurate with its prominence on the skyline. While the proposal is competently organized and configured, meeting many guideline objectives, Staff need to be convinced at this preliminary stage that this proposal will meet the test of architectural excellence. The Urban Design Panel offered a number of suggestions for reshaping the tower and Staff reinforce these comments to achieve better view preservation and a stronger response to the skyline prominence. This would generate a substantial redesign of the tower.
Referring to the Staff Committee Report dated February 5, 2003, Ms. Molaro briefly reviewed the recommended conditions. Condition 1.1 recommends further design development to the tower to create a more dynamic massing, higher architectural expression and a more sculpted response to the skyline, as part of earning the additional height up to 400 ft. Alternatively, a lower tower, not seeking the High Building Policy height of 400 ft. with its more demanding architectural standard, could be supported at 350 ft. An alternative condition 1.1 is recommended if the Board does not support a redesigned 400 ft. proposal. Other conditions call for greater tower separation, enhancement of the base of the project by strengthening the podium, and ensuring continuity of the streetscape for the Melville Street frontage. Staff are also recommending improvements to the existing building and public realm interface.
Staff believe this proposal meets a number of the criteria by which additional bonus FSR and height relaxation may be considered. Quantitative analysis of private view impacts indicates a marginal improvement from this proposal over a 300 ft. high scheme of the same FSR. Most of the criteria in the High Building Policy are also satisfied. Therefore, staff recommend support for a 400 ft. tower for this site, subject to the redesign called for in the conditions. It was noted this building will be the first to be considered under the High Building Policy which calls for a greater degree of scrutiny through the high building review process. The project will also require the approval of Council. Staff are concerned that the proposal has not fully exhibited the architectural excellence that would warrant a relaxation of height to 400 ft. under the High Building Policy. Staff therefore recommend approval in principle, subject to a major redesign of the tower to achieve the architectural excellence sought and improve view performance.
Questions/DiscussionMr. Kavanagh sought clarification with respect to the loss of the existing building at the corner of Melville and Bute Streets which responds very positively to the corner. Ms. Molaro advised it is on the Post 1940's Inventory (although not referenced in the Development Permit Staff Committee Repot) but is not listed on the heritage register.Given this site was identified in the High Building Policy as being able to accommodate a 400 ft. tower, it would be challenging to preserve this building. Staff support the proposed landscape treatment along the edge of the 30 ft. setback as a satisfactory response to the corner although seek greater public accessibility. Some discussion ensued with respect to the heritage status of the building at the corner of Bute and Melville Streets and what process was followed in this instance.
Mr. Beasley noted that the hotel component appears less than genuine in its design to function as a hotel. Ms. Molaro advised there is a condition seeking clarification of the type of hotel use proposed as well as on the restaurant use.
In response to a question from Mr. Beasley concerning the existing building that will be retained in this scheme, Ms. Molaro explained the upper two floors contain residential uses but there is a history of some of these residential uses being occupied by commercial uses. Part of this application seeks to resolve this non-conformity by transferring the residential to the new tower and converting this building to commercial use only. Mr. Beasley noted the conditions seek only modest changes to this building at the street level and questioned whether a greater level of upgrading had been considered. Ms. Molar advised Staff sought only improvements to the existing building's public realm interface, noting the building has been well maintained.
Mr. Rudberg sought further clarification with respect to the High Building Policy. Mr. Beasley advised the process will require a special review by the Urban Design Panel at which several world experts on tall buildings will be invited to join the Urban Design Panel in its review. Staff believe this is best done at the complete stage for this proposal. This process will not be required if the Board supports the alternative condition 1.1 which limits the height to 350 ft.
In response to further questions with respect to the hotel component, David Hewitt, Architect, said the units range from 650 - 700 sq.ft. Richard Whitstock, Amacon Group, advised it is intended to be a suite hotel. Mr. Beasley indicated he believes the City differentiates residential from hotel use by the length of occupancy, with one month or less being hotel and one month or more being residential. Non-compliance is dealt with through property use enforcement.
Mr. Scobie drew attention to recommended amendments to conditions A.1.1, A.1.8 and A.2.16, as well as a revised table provided by Real Estate Services with respect to the analysis of the amenity bonus.
Applicant's CommentsMr. Whitstock reiterated that the hotel is intended to be a suite hotel for extended stay guests as well as shorter stays. There will be a concierge desk on the main floor and an ancillary restaurant catering to the hotel guests. It has not yet been decided how the change of use of 1155 Melville Street will be executed in terms of arrangements for existing residents. In response to a question from Mr. Beasley, Mr. Whitstock confirmed he would have no objection to a condition related to this aspect of the proposal. Somediscussion ensued with respect to the definition of hotel vs. residential use, noting the hotel component could not be converted to residential use because it would result in excess residential FSR on the site. In discussion, the Board agreed to proceed on the assumption of hotel use, with a condition seeking clarification of the operational parameters.
Mr. Hewitt confirmed the hotel loading will be completely on site. With respect to the paving in the lane, he noted the City seeks enhancement of the lanes and its upgrading was instigated by the applicant to create an improved arrival experience for the residents. Similar treatment might also be anticipated on the property to the north on Pender Street when it is redeveloped.
Regarding the request for 80 ft. separation between the hotel and residential tower, Mr. Hewitt explained it is currently at about 62.5 ft. for one or two rooms of the hotel. He said it would be impossible to take 18 ft. off the building without moving the residential tower, adding that setting the tower back as much as possible enhances the Bute Street public realm. While they recognize the separation is less than is normally acceptable, they have tried to deal with it in the orientation of the rooms and with the stepping back of the hotel building. With respect to view impacts, Mr. Hewitt noted the major impact of a higher tower is to block view of the sky. With respect to the height of the tower, he noted it is recognized by the High Building Policy, the Urban Design Panel and Planning staff that this site can accommodate a 400 ft. building. The crux of the issue therefore is the aesthetics of the building and what is architecturally significant on the skyline. Mr. Hewitt commented that it seems that a classically proportioned and massed building is not the predisposition of Planning staff. He suggested there is a need in the city to go back to buildings that are truly urban oriented and it is not necessary for every new building to be a curved, glass tower. The Development Permit Staff Committee, in its recommendations to the Board, are dictating an asymmetrical building with a sculpted top, which Mr. Hewitt said he objected to. He noted the Urban Design Panel was very enthusiastic about the proposal and unanimously supported it.
Mr. Hewitt confirmed that the rest of the conditions in the Staff Committee Report are acceptable. In response to a question from Mr. Scobie, he also confirmed they had no problem with the comments provided by Building and Fire and Services Departments in Appendix C.
Questions/DiscussionIn response to a question from Mr. Beasley, Mr. Hewitt confirmed he fully accepted the project undergoing the special design review process for taller buildings.
With respect to the building to be demolished, Vicki Potter, Project Facilitator, advised that Council has agreed that properties on the Post 1940's Inventory can be added to the Heritage Register, at the request of the owner, to then take advantage of available retention incentives. The normal process for such a building would be for the heritage planner to work with the development planner and the owner to promote preservation of the building. Mr. Hewitt advised they did consider the possibility of retention but it wasfound to be unrealistic. Mr. Beasley expressed concern that Council policy may not have been followed in this case and he suggested there should be a condition requiring confirmation that retention has been investigated.
Mr. Beasley sought clarification from the applicant with respect to the long term image of the existing building, particularly the lane facade. Mr. Hewitt said the extent of any refurbishing the building is dependent on how much money is spent on it.
In response to a question from Mr. Francl about the architectural expression, Mr. Hewitt said they are comfortable with the request for additional sculpting of the tower to deal with some of the issues that have been raised.
Comments from Other SpeakersMona Lo, 1166 Melville Street (Orca Place) (19th floor), expressed opposition to the proposal. She distributed photographs taken from her suite to indicate the view blockage that will result from the development. She agreed the existing building on the corner of the site is worthy of retention. Reading from her letter dated February 11, 2003 (on file), Ms. Lo's concerns related to the proximity of the proposed development to The Orca, loss of privacy and views as well as increased traffic congestion and pollution. She recommended refusing the hotel development and situating the tower in place of the hotel (adjacent to the existing building/parkade). Alternatively, that the location of the hotel and residential tower be switched to allow Orca residents, hotel occupants and tower residents to enjoy the view from many vantage points.
In response to a question from Mr. Beasley, Ms. Lo said her primary concern is that the building is relocated away from the intersection of Bute and Melville. The height of the tower was of secondary importance.
Regarding the suggestion to move the tower further east, Ms. Molaro advised that Staffs' concern is that it would cause greater view impact from the Orca if it were directly opposite. Ms. Lo noted that most of the Orca suites that currently enjoy a good view are those located in the northwest.
Ms. Lo added that she found staff very helpful in the process, in particular the Project Facilitator, Ms. Potter.
Brad Joseph, #2002-1166 Melville Street (Orca Place), advised that more than fifty percent of his view to Grouse Mountain will be lost with this proposal. He noted that recent developments in the area have been aligned to maintain views through.
With respect to the applicant's statement that this proposal would not obscure mountain views, Ms. Molaro said it was acknowledged there would be view loss from any building on this site. Mr. Hewitt added his comments related to the difference between a 300 ft. and a 400 ft. tower. It was not intended to indicate that any building would not obscure views. In response to a question from Mr. Rudberg about the siting of the buildings, Mr. Hewitt advised that siting was considered in the early planning stages and it was concluded that offsetting the tower with the Orca was the best solution. In response toswitching the hotel and tower locations, Mr. Hewitt explained that siting a tower of this scale against the existing building would essentially negate any units on the first twelve floors on that side of the building. As well, from an urban design point of view it is preferable to have the loading and service functions closer to Bute Street.
Bernie Zimmerman, #2205-1166 Melville Street (Orca Place), also provided photographs to illustrate his current views and the impact of the proposal. He noted that when he purchased his unit in 1997 he familiarized himself with what is envisaged for this part of the city and was not aware of any plan for a high rise in this location. He urged the Board to consider reversing the siting of the hotel and the tower.
Hank Bargain, #2602-1166 Melville (Orca Place), agreed with his neighbours that the best location for the tower would be directly in front of the Orca rather than being offset.
The meeting was adjourned briefly for Board and Panel members to review the model and posted materials.
Panel OpinionMr. Francl noted the Urban Design Panel did not have the benefit of public input when it reviewed this proposal. The Panel recognized that this is a preliminary application, which in some sense reflects the unanimous support it was given. The Panel felt the proposal as presented was a desirable parti: It dealt with the end face of the adjoining commercial building and allowed for a satisfactory massing of the building form on the site. It was also recognized that in this particular location a taller than normal tower was potentially desirable given the convergence of the grids and the view when approaching from the west. A taller tower also allows a slimmer profile. There was, however, some fairly strongly commentary with respect to the architectural expression and the need to respond to the other converging grid to the north. There were also comments about the relatively unbroken massing as the tower ascends. The Panel anticipated that the applicant would be making some modifications and refinements to the tower design and the Panel's unanimity reflected a general satisfaction that this is a very capable architectural firm that would be able to address any of the outstanding concerns about architectural expression. Mr. Francl noted the difficulty of the widest, diagonal dimension of the building being presented to the residents of Orca who view in that direction. However, he said he would not be comfortable with moving the building in direct opposition to the Orca, as suggested by some of the residents, because it would bring it into very close proximity to the Orca. Mr. Francl said he would prefer its current location but that it could be re-sculpted, with any narrowing being more specifically directed to the east-west diagonal dimension. He said the remaining conditions recommended by staff deal adequately with the Panel's concerns. Mr. Franc added he believed the Panel would still be in favour of a 400 ft. rather than a 350 ft. tower, providing the applicant can deal with some of the concerns that have been raised about the architectural expression and about the width of the building presented to the Orca. He recommended that the Board support the application.
Mr. Hancock said it is important to acknowledge that this is a preliminary submission which allows for further study of some of the issues. He agreed that this site can definitely support a 400 ft. tower. However, he said he would like to see a demonstration of some of the other siting options to confirm that this is the best location for the tower. Mr. Hancock recommended that the hotel definition be clarified, given the 15 percent hotel bonus being sought. He said he also regretted the loss of the post-1940's building on the corner and suggested a configuration might preserve it or some remnant of it. Commenting on the proposed classical parti, Mr. Hancock acknowledged it is a subjective issue and he did not personally think it was appropriate in Vancouver. In summary, he said he believed there should be some siting options reviewed at the next phase but supported the general direction the project is taking.
Mr. Kavanagh said he could support an application on this site but was unsure about the proposed form. He agreed there are no historical precedents for the classical design but said he had no objections to it. However, he agreed there should be some rotation of the tower to respond to the other grids in this location. This will have the affect of slimming the tower, in addition to any physical reduction in floor plate, to the benefit of residents of the Orca. Even if the Post-1940's building cannot be retained, Mr. Kavanagh said he believed every effort should be made to have the same kind of response to the corner. Mr. Kavanagh recommended there be a condition to accommodate the existing residents of the residential building. As well, if the additional height is to be earned, there should be an upgrade of this building. He also agreed the definition of hotel should be clarified in order for this application to achieve the hotel bonus it seeks.
Mr. Mah supported the 400 ft. height and was convinced a higher form provides a better view impact alternative. He also supported leaving the aesthetics of the design to a special design review panel, including exploring massing and sculpting redesigns which reduce the view impact to the residents of the Orca. Mr. Mah said he was concerned that the residential FSR limits may be exceeded if the proposed hotel is determined to be residential use, but would defer to the appropriate enforcement procedures. With respect to the siting of the hotel and the tower, Mr. Mah said he would prefer to work with the siting as currently proposed and attempt to reach a satisfactory solution with some massing redesign, possibly including a rotation of the building.
Mr. Mortensen said he was convinced the 400 ft. height can be supported, noting the impact of the additional height is not the issue; rather, it is the relationship of the tower to the Orca. He agreed that something could be done for the Orca residents by manipulating the way the building is sited, and this exploration is appropriate given it is a preliminary application. Mr. Mortensen supported the advice of Mr. Francl regarding the design changes that would accommodate better views. With respect to the hotel, Mr. Mortensen questioned whether similar boutique hotels have received a hotel density bonus. He supported the application proceeding to the next stage.
Mr. Henschel thanked the Orca residents for their informative comments. He supported the advice provided by the other Advisory Panel members, noting that slimming the east-west diagonal width or rotating the tower may provide a satisfactory solution. Mr. Henschel did not support the alternative of a 350 ft. tower, stating that a taller, slimmer building preserves more views. As well, higher floor to ceiling heights is an architectural quality which should be encouraged.
Board DiscussionMr. Beasley noted the application seeks a lot of special considerations which has the expectation that it performs very well. Nevertheless, he said he was convinced that the basic parti of the building and the benefits of the special considerations are such that the application is supportable, with a number of adjustments to see it refined. This is appropriate in a preliminary application where a lot of time and energy can be put into resolving some of the issues. Mr. Beasley said he was convinced that the height of the building at 400 ft. is defensible; however, the building is not yet architecturally resolved to the point where it is of the highest architectural excellence. The High Building Review Process, which the applicant is agreeable to, will benefit the project in this respect. He commented he did not believe there is any particular architectural response that is appropriate for this site. He agreed with the applicant that a classical proposal is perfectly legitimate for this site and he supported the solutions being within the language that the architect is interested in pursuing.
Mr. Beasley thanked the Orca neighbours for their input. He agreed they have a genuine concern and that some measures need to be taken to respond to that concern. However, these measures may not go as far as they would like given there are other neighbours (not present today) who would be negatively impacted by some dramatic change in the scheme. Nevertheless, the applicant does need to work with staff and the neighbours on the final shaping and orientation of the building so that the view impacts are reduced for Orca residents.
Mr. Beasley commented that the amenity being provided in this development is significant. He also noted the applicant has not disputed the conclusion of Real Estate Services about the amount of bonus. The application is, however, seeking significant benefit from the hotel bonus and it is important that the building performs as a hotel. It is not clear whether the applicant's intention and the City's laws are consistent on what kind of flexibility exists for hotel use under the Definitions. It is likely that stays of longer than a month are defined as residential; even though they are temporary, month-to-month residential and could be marketed as residential in the marketplace as a long-stay hotel, under the City's laws they are still defined as residential. Clarification is therefore necessary in this respect so that there is no ambiguity at the complete application stage.
Mr. Beasley said he was concerned about the existing building on the easterly portion of the site, noting it is now likely to be in place for some years to come. There must be greater response to bring it aesthetically up to par, which would also be in the interests of the whole project. In fact, the architect's parti for the new building should be brought
to play, even modestly, on what might be done to the existing building as well as the landscaping around it.
Mr. Beasley said he was not confident that a major change to the siting of the buildings will achieve very much. In fact, if the Board thought some major re-siting was necessary, the application would not be approvable at this stage. Mr. Beasley said he agreed with the architect that putting the tower adjacent to the 12-storey would neutralise square footage, which is not the case with a single orientation to the building. However, that interface with the existing building has not yet been resolved, particularly on the east side of the new building between the old and the new.
Mr. Beasley moved approval in principle, with a number of amendments to the conditions.
Ms. Forbes-Roberts supported the application as a preliminary. However, consistent with the opinions expressed by Mr. Beasley and the Advisory Panel, she said there are some massing difficulties, particularly with respect to the residents of the Orca across the street. In terms of the massing options, Ms. Forbes-Roberts stressed it should not be a stylistic judgment, rather it should be a configuration of the building that does its best to manage the various views. She acknowledged that this is not easy given there are a number of other buildings in the vicinity whose view corridors could also be impacted. Furthermore, the tenants of the Orca who are the most directly affected need to get together to analyse whatever options or refinements are brought forward by the architect: there will undoubtedly be trade-offs where some residents' views will be improved and others not. She thanked the Orca residents for their input and encouraged them to participate in the process. Ms. Forbes-Roberts said she very much supports the existing building being retrofitted so that it fits within the overall concept of the project. With respect to the heritage aspects of this site, she said it is unfortunate the corner building cannot be preserved. It is, however, important to record it. She assumed the new condition 1.10 is likely not much more than has already been done by the applicant, and noted it is not necessary to go through the process that is required with a building which is listed on the heritage inventory. She concurred with Mr. Beasley with respect to the hotel use.
Mr. Rudberg also supported the application. He agreed the input from the neighbours has been very helpful and thought the condition to slim the tower in the east-west diagonal will improve their views somewhat. He added, it would have been helpful to have more information on the options that were considered for the siting of the buildings in order to have a better understanding of the trade-offs. Nevertheless, he said he was reasonably satisfied that the conditions achieve the optimum siting. Mr. Rudberg stressed that the input from the neighbours will make a difference in terms of what ultimately will be developed on this site. He encouraged the residents to monitor the process through to the complete stage.
Mr. Scobie commented that while the application has gone to a higher level of detail than is normally expected for a preliminary submission, he was confident the Board's
decision is appropriate. Furthermore, a refusal at this stage would be unreasonable because the application is within the realm of an approval-in-principle as amended. Mr. Scobie also encouraged the Orca residents to maintain contact with the applicant and the Project Facilitator as the project progresses.
Motion
It was moved by Mr. Beasley and seconded by Ms. Forbes-Roberts, and was the decision of the Board:
THAT the Board APPROVE IN PRINCIPLE Development Application No. 407110, in accordance with the Development Permit Staff Committee Report dated February 5, 2003, with the following amendments:
Amend the approval preamble to add, after "....(proposed at 40 storeys":, and subject to review of the architectural merit through the High Building Design Review Process);
Amend 1.1 to read:design development to the tower form to ensure the highest quality architectural expression, possibly responding to the two converging downtown grids, while slimming the tower in the east-west diagonal to improve neighbouring views, and to reduce the overall height to 400 ft. to comply with the General Policy for Higher Buildings;
Delete the Note to Applicant after 1.1;
Delete the Note regarding the High Building Review Process;
Delete the alternative 1.1;
Delete the Note to Applicant after 1.2;
Add 1.10:that confirmation be submitted to the satisfaction of the Director of Planning that preservation of the existing corner building is not viable or practical but that the building is properly recorded for posterity, consistent with heritage policy;
Add 1.11:that security be provided to the satisfaction of the Director of Legal Services to ensure that the hotel component is operated as a hotel as defined by City regulations and does not convert to residential;
Add 1.12:design development to upgrade the facades of the existing building which is to be retained and the interface between the existing and new building;
Add 1.13:that a further view analysis be completed and shared with the neighbours to confirm theview gains and losses, especially for the residents of the Orca, of the complete application design solution;
Add 1.14:that a program be devised and submitted, to the satisfaction of the Director of the Housing Centre, for accommodation and/or relocation of existing residents of the building to be retained and converted from residential to commercial use;
Amend A.1.1 to add after "District Lot 185 for the proposed density..":and public realm treatments;
Add a Note to Applicant after A.1.1:The single site covenant must address the total residential floor area capacity for the two properties and sequencing of the approval must be clarified to ensure that residential FSR for the "single site" is at no time exceeded. The single site covenant must also provide for the development and maintenance of the entire Public Realm;
Amend the Note to Applicant after A.1.8:The proposed changes of uses in this building must also be clearly denoted on the plans. A separate Development Application will be required for the proposed changes of use, including clear indication of the public realm treatments at 1133 Melville Street at the complete stage.;
Amend A.2.15 to read:deletion of curbing and sidewalk shown in the public lane right-of-way and their inclusion in some form on the private property;
Add a Note to Applicant after A.2.16:If the applicant intends to pursue special sidewalk treatment, a separate application to the General Manager of Engineering Services is required;
4. Other Business
Revised Board procedures will be deferred for adoption at the next meeting.
There being no further business, the meeting adjourned at 6.00 pm.
Terms of Option to Lease and Lease to City
Term
· Until demolition of the development.
Area
· 6,000 sq.ft. amenity space on Melville Street located on common property, plus access at no charge to 6 designated parking stalls, including one disability parking stall in the underground parking area of the building and non-exclusive use of one loading bay at grade.
Use
· No restrictions on use
Subletting, assignment, or mortgaging
· City reserves the right to sublet, assign, mortgage or grant licenses of the premises.
Rent
· Nominal rent of $1 per annum
Taxes, if any
· Payable by the City
Utilities and common expenses
· Payable by the Owner as a lump sum equal to twenty years of prepaid operating expenses incurred in connection with the management, maintenance, operation and provision of the building's common areas, facilities and services as well as any costs related to the heat, light and electrical power usage for the amenity space, as calculated by the City's Director of Real Estate, independently secured and payable on delivery of the lease.
Finishing and Fixturing
· The Owner to construct and finish the 6,000 sq.ft. amenity space to the satisfaction of the City's Directors of Facilities Design & Development and Social Planning, at an average quality as detailed in the society Building Program dated April 25, 2001.
Termination
· Upon demolition or destruction of the building
All other terms and conditions required by the Director of Legal Services.
Terms of Sublease to Volunteer Vancouver
Term
· Twenty years
Rent
· Nominal rent of $1 per annum
Taxes, if any
· Payable by the subtenant
Utilities and common expenses
· All costs assumed by City are passed on to the subtenant.
Future operating expenses
· Subtenant to undertake a fund raising drive commencing in the first month of occupancy and contributing monthly to a reserve fund held in trust by the City, the proceeds of which will be sufficient to pay the utilities and common expenses at the end of the first twenty year term.
Third party use
· No right to assign, sublet, grant mortgages or licences.
· Requirement to make the meeting room available at rates to be approved by the City to Vancouver non-profit organizations for public events and activities.
Covenants of the subtenant re: operation
· To operate a non-profit volunteer resource centre for the benefit of the citizens of Vancouver which is open to the public, to the satisfaction of the City.
All other terms and conditions required by the Director of Legal Services.
*****