Vancouver City Council |
POLICY REPORT
URBAN STRUCTURE
Date: April 08, 2003
Author/Local: P. Mondor/7727
RTS No. 03234
CC File No. 113Council: April 22, 2003
TO:
Vancouver City Council
FROM:
Director of Current Planning, in consultation with the Director of Legal Services
SUBJECT:
Housekeeping Text Amendments in the CD-1 (Comprehensive Development) By-laws Nos. 6757, 7156, 7248, 7675, and 8109
RECOMMENDATION
A. THAT the Director of Current Planning be instructed to make application to amend the following CD-1 (Comprehensive Development) By-laws,
· No. 6757 (# 266), 1100, 1200, 1300 Blocks Pacific Boulevard (Yaletown Edge Neighbourhood, False Creek North Area 3),
· No. 7156 (# 297), 1200-1300 Pacific Boulevard South (Roundhouse Neighbourhood, FCN Area 2),
· No. 7248 (# 324), 800-1100 Pacific Boulevard (Quayside Neighbourhood, FCN Area 4/5A),
· No. 7675 (# 366), 500 Pacific Street (Beach Neighbourhood, FCN Area 1B), and
· No. 8109 (# 399), 600 Pacific Street (Beach Neighbourhood, FCN Area 1A),to remove their diagram (map) of sub-areas and development sites, to remove the allocation of floor area by sub-area, to allow the maximum floor area which is permitted by each by-law to be increased by up to 1 (one) percent but provided that the total floor area permitted by these by-laws combined is not increased, and to combine CD-1 By-law No. 7675 (500 Pacific Street) and CD-1 By-law No. 8109 (600 Pacific Street) into one by-law, and that the application be referred to a Public Hearing together with draft CD By-law amendments generally as presented in Appendix A;
FURTHER THAT the Director of Legal Services be instructed to prepare the necessary By-laws, generally in accordance with Appendix A, for consideration at the Public Hearing.
GENERAL MANAGER'S COMMENTS
The General Manager RECOMMENDS approval of A.
COUNCIL POLICY
Relevant City Policies, Plans and Guidelines include:
· False Creek North Policy Statement, approved in August 1988,
· False Creek North Official Development Plan, adopted April 10, 1990 and last amended November 7, 2002,
· CD-1 By-law No. 6757 (# 266), 1100, 1200, 1300 Blocks Pacific Boulevard (Area 3 - Yaletown Edge), enacted November 26, 1990 and last amended July 25, 2000
· CD-1 By-law No. 7156 (# 297), 1200-1300 Pacific Boulevard South (Area 2 -Roundhouse Neighbourhood), enacted July 29, 1993 and last amended July 25, 2000,
· CD-1 By-law No. 7248 (# 324), 800-1100 Pacific Boulevard (Areas 4/5A -Quayside), enacted November 30, 1993 and last amended July 10, 2001,
· CD-1 By-law No. 7675 (# 366), 500 Pacific Street (Area 1B), enacted November 26, 1996 and last amended October 22, 2000,
· CD-1 By-law No. 8109 (# 399), 600 Pacific Street (Area 1A), enacted October 21, 1999 and last amended October 22, 2002, and
· Beach Neighbourhood CD-1 Guidelines (500 and 600 Pacific Street), adopted November 26, 1996 and October 21, 1999 and last amended May 28, 2002.PURPOSE AND SUMMARY
This report recommends housekeeping amendments to the CD-1 By-laws for the four False Creek North (FCN) neighbourhoods west of the Cambie Bridge (Beach, Yaletown Edge, Roundhouse and Quayside) so as to simplify their administration. (See Background Information on the FCN ODP and subsequent CD-1 Bylaws in Appendix B.)
![]()
As the development of these neighbourhoods reaches their final phases and build-out, the finely delineated allocation of floor area and dwelling units among sub-areas and development sites within each neighbourhood, as set out in highly-structured CD-1 By-laws increasingly frustrates the ability to make minor adjustments and to fully utilize any remaining unused development potential.So that adjustments in the floor area allocations can be easier to make, staff recommend that the diagrams (maps) in the CD-1 By-laws for the four FCN neighbourhoods between the Granville and Cambie Bridges, which establish sub-areas and development sites within each neighbourhood, be removed to allow the re-allocation of floor area and dwelling units within neighbourhoods, all within the overall development scheme (the form of development approved in principle at Public Hearing) and subject to Development Permit Board (DPB) approval.
Staff also recommend that some flexibility be provided in the allocation of floor area and dwelling units amongst the four neighbourhoods, to enable additional adjustments in their final development phases and build-out, subject to DPB approval. Staff further recommend that the two CD-1 By-laws for Beach Neighbourhood, Areas 1A and 1B, be combined into one by-law.
Staff therefore recommend that the Director of Current Planning be instructed to make application to amend the CD-1 By-laws for the four FCN western neighbourhoods and that the application be referred to a Public Hearing and approved. No amendments to the FCN ODP (Official Development Plan) and no changes to the overall development scheme are necessary.
DISCUSSION
Following a review of the relationship between the form of development in new neighbourhoods and the zoning regulations established in CD-1 By-laws, the discussion addresses the matter of floor area regulation within and between neighbourhoods.
Form of Development and Zoning Regulations: The effective planning of high-quality, new, primarily residential neighbourhoods generally begins with an emphasis on the form of development and overall density. The siting and massing of buildings in relation to one another and the surrounding cityscape is the initial focus of planners, architects, and citizens. The building forms are studied and adjusted in terms of overall urban design objectives, including sunlight access (shadowing), public and private views (short and long), privacy, livability and neighbourhood character. Principles for housing families at higher densities and for crime prevention through environmental design are also considered.
As the design process advances for individual neighbourhoods, through public consultation, building shapes gradually evolve into more specific building footprints and envelopes which are modelled in three-dimensional form and are later translated into building heights and floorplates. Eventually the proposed design for a new neighbourhood is expressed in form of development drawings which are presented to City Council for approval in principle at a Public Hearing, and subsequently referred to as the overall development scheme.
Also, as the design process proceeds, design guidelines are developed which state the principles and propositions which will guide the development of a particular neighbourhood. They also articulate specific directions which should be followed in developing and evaluating detailed building proposals on specific sites. These guidelines are usually approved by City Council resolution at the time that the CD-1 By-law for a new neighbourhood is enacted.
To guide the development of neighbourhoods so as to achieve the overall development scheme supported by staff and the public, CD-1 By-laws are prepared and recommended to Council for approval at a Public Hearing. In these by-laws, proposed building forms are translated into floor area amounts and numbers of dwelling units.
Floor area and dwelling unit numbers are quite dependent upon assumptions. Floor area estimates depend on assumptions about "building efficiency" (the percentage of floor area which is saleable or leasable and counted for development permit purposes, relative to the total gross floor area of a building) and floor-to-floor heights. Dwelling unit estimates depend on assumptions about dwelling unit types and sizes. (Population estimates, which are developed to enable the planning of and negotiation for the services and amenities which neighbourhoods require, are further dependent upon assumptions about household types and sizes.)
The translation of neighbourhood designs, or overall development schemes, into quantitative measures that are established in zoning regulations is a difficult undertaking, since assumptions about building efficiency, floor-to-floor heights, and average dwelling size can and do change. This is especially true for large master planned communities whose development is completed over a fairly long time period. In these cases, the amount of floor area and number of dwellings that could actually be constructed within the building envelopes illustrated in an overall development scheme can vary from CD-1 By-law provisions.
The floor area and dwelling unit numbers are always somewhat less than can actually be developed within the building envelopes. This is to provide some flexibility at the later development application stage to fine-tune the design through more detailed urban design and architectural analysis and in timely response to consumer demand. Sometimes, it is a different developer and/or architects who undertake development then those who undertook the rezoning, with the result that there are often changes in building architecture, dwelling unit mix, and floor lay-outs.
Floor Area Allocation Within FCN Neighbourhoods: An important element in development regulation to guide the creation of new residential neighbourhoods is the distribution of land uses, floor area and dwelling units within neighbourhoods. To achieve this, CD-1 By-laws for new neighbourhoods generally include a diagram (map) identifying sub-areas and development sites amongst which floor area (by land use) and dwelling units are allocated.
For example, the map in the CD-1 By-law for Area 1B identifies five sub-areas, and within two of those it identifies two development sites. The floor area regulations then specify a maximum floor area for each of the seven development sites. Likewise, the CD-1 By-law for Area 1A identifies three sub-areas, and within two of those identifies two sites. The floor area regulations then specify a maximum floor area for each of these five sites. Consequently, there are 11 development sites in all of Beach Neighbourhood and the overall development scheme anticipates the construction of 14 mid- and high-rise buildings on them.
This fine grain of regulation in highly-structured CD-1 By-law provisions was prudent and necessary for the early stages of development in these large neighbourhoods. However, this exactitude now frustrates even modest adjustments to the amount of floor area amongst development sites. Now that most development has occurred and most is occupied, some de-regulation to loosen up the restrictive By-law provisions would facilitate minor adjustments and enable the City to respond to citizen requests for even simple things like balcony enclosures.
To respond to this, staff recommend that the diagrams (maps) in the CD-1 By-laws for the FCN neighbourhoods west of the Cambie Bridge be removed and that the corresponding floor area restrictions for sub-areas and developments sites also be removed to allow flexibility in the allocation of residual floor area among these sub-areas and sites. However, the original overall development scheme, and all of its parameters in terms of building siting, massing, and height, remains in effect as would the approved design guidelines for the neighbourhood. Also unchanged would be the final forms of development which were approved by City Council for every individual development site after approval of its development application by the Development Permit Board.
These staff recommendations are generally set out in Appendix A. No amendments to the FCN ODP and no changes to the overall development scheme are necessary.
Staff further recommend that the two CD-1 By-laws for Beach Neighbourhood, Areas 1A and 1B, be combined into one. The reason there are two by-laws for this neighbourhood is that the planning and ownership patterns for the west part of the neighbourhood could not be completed at the same time as the rezoning of the east neighbourhood in 1996.
Floor Area Allocation Amongst FCN Neighbourhoods: The FCN ODP adopted in 1990 anticipates that FCN will be developed as a predominantly residential area with up to 9,197 dwelling units and a total residential floor area of 911 687 m² (9,813,667 sq. ft.). The ODP also requires that at least 25 percent of the total number of dwelling units shall be suitable for families with small children, and at least 16.6 percent of the total number of dwelling units shall be designated for non-market housing, with priority on housing for core-need households (with at least fifty percent of the non-market units to be suitable for households with children).
The four FCN neighbourhoods west of the Cambie Bridge will ultimately contain 6,578 dwellings within a total floor area of 642 823 m² (6,919,516 sq. ft.), as shown in the table below. (Note: The figures for individual Areas or neighbourhoods, except for site area and floor space ratio, are summarized from the CD-1 By-laws approved for these areas.)
Table 1. Floor Area (sq. ft.) and Dwelling Units
FCN
TotalFalse Creek North - West Neighbourhoods Only (West of Cambie Bridge)
Area 1A
Area 1B
Area 2
Area 3
Area 4/5A
Sub-Total
Floor Area (sq. ft.):
Residential
9,813,667
996,771
1,403,811
1,229,785
908,278
2,380,872
6,919,516
Commercial
1,687,675
7,427
13,563
20,000
40,043
372,551
453,584
Total
11,501,342
1,004,198
1,417,374
1,249,785
948,321
2,753,423
7,373,101
Percent
13.62%
19.22%
16.96%
12.86%
37.34%
100.00%
Net Site Area
251,238
445,425
444,546
215,285
747,793
2,104,305
Net Floor Space Ratio
4.0
3.18
2.77
4.22
3.68
3.5
Dwelling Units:
Market - Family
1,350
91
221
230
122
197
861
Market - Non-Family
6,258
686
836
594
452
2,086
4,654
Non-Market - Family
879
165
90
137
72
138
602
Non-Market- Non-Fam.
652
81
96
74
60
150
461
Total Units
9,139
1,023
1,243
1,035
706
2,571
6,578
Percent
15.55%
18.90%
15.73%
10.73%
39.08%
100.00%
The ODP, which provides an overall guide to the pattern of land uses and development in FCN, sets out the maximum residential floor area and number of dwelling units which were to be more specifically delineated within CD-1 By-laws subsequently developed for each Area or neighbourhood (see Figure 4 in Appendix B, page 3). To provide some flexibility during this rezoning process, the ODP (Section 3.2.1) allows the maximum number of dwellings units and maximum floor area which will be permitted in any new CD-1 By-law to be increased by up to 10 percent over the maximum set out in the ODP, provided that the total number of units and floor area anticipated by the ODP are not increased. This would mean that the numbers in another CD-1 By-law(s) are reduced by a corresponding amount.
Some continuing flexibility in the allocation of residential floor area amongst the neighbourhoods is beneficial. In neighbourhoods that have been built out, and with no unused or residual floor area remaining, small additions or adjustments could be made to buildings in the future if small amounts of residual floor area could be moved from another neighbourhood which has excess unused floor area.
To enable minor adjustments in the final development phases or build out of these areas, and because the developer has provided the services and amenities necessary to serve the population occupying floor area contemplated in the FCN ODP and allowed by the various CD-1 By-laws, staff believe it would be equitable to allow small transfers of residual floor area from neighbourhoods which are fully developed to neighbourhoods which are able to accommodate additional floor area within their overall development scheme.
Staff recommend a one (1) percent flexibility in the allocation of floor area amongst the FCN Areas 1A, 1B, 2, 3 and 4/5A (ranging from 9,083 sq. ft. in the case of Area 3 to 23,809 sq. ft. in Area 4/5). However, it is also recommended that this flexibility be subject to a requirement that the total floor area anticipated by the ODP for these neighbourhoods combined are not increased, and also that the overall development scheme and individual forms of development be respected, except for minor variations. In so doing, we can be assured that increased flexibility will not result in unforseen view or shadowing impacts.
This staff recommendation is included in the provisions generally set out in Appendix A. No amendments to the FCN ODP and no changes to the overall development scheme are necessary.
Staff anticipate that in the future it could be desirable to simplify the zoning regulations even further, by replacing the several CD-1 By-laws in these neighbourhoods with a zoning district schedule or an official development plan like the DD ODP. This is a longer-term process which will be more complicated than the simple amendments proposed in this report.
PUBLIC PROCESS
There was considerable participation by the surrounding neighbourhood in the initial rezoning of the Beach neighbourhood from BCPED to CD-1 in 1996 and again in 1999. This interest has continued into the processing of site-specific development applications which has been underway since 2000.
The recommended amendments, being of a minor housekeeping nature, and with no overall increase in density and no changes to the overall development scheme, do not warrant a widespread or special effort of public involvement. Therefore, staff propose to inform those neighbours who have shown active interest to date so that they may choose to participate at the Public Hearing.
CONCLUSION
To make it easier to make minor adjustments in floor area and dwelling unit allocations in the final build-out of the FCN neighbourhoods west of the Cambie Bridge, staff recommend:
· that flexibility should be provided in the allocation of floor area amongst the sub-areas and development sites within these neighbourhoods -- by removal of sub-area and development precinct diagrams and their corresponding floor area maximums, and
· that some flexibility should be provided in the allocation of floor area and dwelling units amongst these neighbourhoods -- by allowing residual floor area up to one (1) percent of total floor area in a neighbourhood to be transferred to another neighbourhood.
In all cases, the overall development scheme initially approved at Public Hearings in 1996 and 1999, and also the many forms of development which have since been approved for individual buildings, would be respected. No increase in overall density is contemplated.
Staff also recommend that the CD-1 By-laws for Area 1A and Area 1B be combined to form one By-law for Area 1 (Beach Neighbourhood).
Staff recommend that the Director of Current Planning be instructed to make application to amend the CD-1 By-laws for the four False Creek North neighbourhoods west of the Cambie Bridge (Beach, Yaletown Edge, Roundhouse and Quayside), and that the application be referred to a Public Hearing and approved.
- - - - -
APPENDIX A
DRAFT BY-LAW AMENDMENTS
CD-1 By-law Nos. 6757, 7156, 7248, 7675 and 8109
Note: Amending by-laws will be prepared generally in accordance with the provisions listed below, which are subject to change and refinement prior to posting for the public hearing.
1. CD-1 (Comprehensive Development) By-laws No. 6757 (# 266), No. 7156 (# 297), No. 7248 (# 324), No. 7675 (# 366) and No. 8109 (#399) are to be amended by;
1.1 deleting Section 4 (Sub-Areas) and adjusting the by-law numbering accordingly [Section 5 in By-law Nos. 7156 and 7248, and Section 6 in By-law No. 6757];
1.2 amending Floor Area and Density section to delete maximum floor area and maximum number of dwelling units by Sub-area, and adding the following:
The Development Permit Board may permit the maximum floor area to be increased up to 1 percent, provided that the total floor area permitted in the False Creek North neighbourhoods west of the Cambie Bridge, as shown in Table 3, is not increased.
Table 2 - Neighbourhood Maximum Floor Area (in square metres)
|
Neighbourhood |
Land Uses | |
Residential |
Retail, Service and Office | |
Area 1 |
223 014 |
1 950 |
Area 2 |
114 247 |
1 858 |
Area 3 |
84 379 |
3 720 |
Area 4/5A |
221 183 |
34 610 |
Total |
642 823 |
42 138 |
1.3 amending Height section to delete maximum height by Sub-area.
2. CD-1 By-law No. 7675 (# 366), for 500 Pacific Street (Beach Neighbourhood Area 1B), and CD-1 By-law No. 8109 (# 399), for 600 Pacific Street (Beach Neighbourhood Area 1A), are to be consolidated into one by-law for Area 1A and 1B combined.
- - - - -
APPENDIX B
BACKGROUND INFORMATION
False Creek North Official Development Plan: The FCN ODP adopted in April 1990 reflects overall City policies governing the development of the entire False Creek Basin as contained in the False Creek Policy Broadsheets approved in August, 1988. (See excerpt diagrams on pages 3 and 4 of this Appendix.) It also responded to an extensive public involvement process which heard the concerns and objectives of various property owners, interested groups, and many individual members of the public.
The ODP provides an overall guide to the pattern of land uses and development on the former Expo lands, setting out the maximum floor areas and maximum number of dwelling units and maximum building heights which are to be more specifically delineated within CD-1 zoning by-laws prepared for each ODP sub-area or neighbourhood, incrementally replacing the interim use zoning (BCPED) which has been in place since February, 1984.
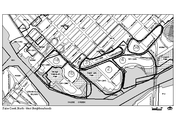
Figure 1. False Creek North - West Neighbourhoods

Rezoning from BCPED to CD-1: The rezoning and development of the FCN neighbourhoods began soon after the adoption of the ODP.
· A CD-1 By-law and an overall development scheme were approved in November, 1990, for the Yaletown Edge neighbourhood (FCN Area 3).
· In 1993, CD-1 By-laws and overall development schemes were approved for Roundhouse Neighbourhood (Area 2) and Quayside Neighbourhood (Areas 4/5a).
· The rezoning of Beach Neighbourhood (Areas 1A and 1A) at 500 and 600 Pacific Street began with the approval of a CD-1 By-law and overall development scheme for Area 1B in November, 1996 and for Area 1A at in October, 1999. Council adopted companion design guidelines in 1996 and again in 1999. Also in 1999, Council approved an amendment to the overall development scheme and CD-1 By-law for Area 1A previously approved in 1996.
On May 28, 2002 Council approved amendments to the Beach Neighbourhood Guidelines to ensure the inclusion of more townhouses and an improved public realm interface. On October 22, 2002, Council approved amendments to the CD-1 By-laws for Areas 1A and 1B for modifications and expansion of marina use.
There are several non-market housing sites in the FCN neighbourhoods west of the Cambie Bridge. Five of these have yet to be developed: Site 4J between Pacific and Expo Boulevards adjacent the Cambie Bridge and four sites in Beach Neighbourhood.

* * * * *