Vancouver City Council |
POLICY REPORT
DEVELOPMENT AND BUILDING
Date: April 8, 2003
Author/Local: DNaundorf/7484
RTS No. 03275
CC File No. 5304Council: April 22, 2003
TO:
Vancouver City Council
FROM:
Director of Current Planning
SUBJECT:
CD-1 Text Amendments - 610 Granville Street
RECOMMENDATION
A. THAT the application by Malcolm Elliot, Stantec Architecture, to amend CD-1 By-law No. 8546 for 610 Granville Street to add General Office Live-Work be referred to a Public Hearing together with:
(i) draft CD-1 By-law amendments, generally as contained in Appendix A, and
(ii) The recommendation of the Director of Current Planning to approve the application;
FURTHER THAT the Director of Legal Services be instructed to prepare the necessary amending by-law, generally in accordance with Appendix A, for consideration at the Public Hearing.
B. That the Director of Current Planning be instructed to make application to amend CD-1 By-law No. 8546 for 610 Granville Street to correct miscellaneous Parking and Loading regulations, generally as contained in Appendix B, and that the application be referred to a Public Hearing;
FURTHER THAT the Director of Legal Services be instructed to prepare the necessary amending by-law, generally in accordance with Appendix B, for consideration at the Public Hearing.
GENERAL MANAGER'S COMMENTS
The General Manager of Community Services RECOMMENDS approval of A and B.
COUNCIL POLICY
· Central Area Plan approved December 3, 1991;
· Live/Work and Work/Live; Vancouver Overview including Strategic Directions adopted June 13, 1996;
· Central Business District Policies as amended to February 7, 1997; and
· CD-1 Comprehensive Development District (#414) enacted September 17, 2002 to permit a high-rise mixed-use commercial/residential building on this site.PURPOSE AND SUMMARY
This report assesses and recommends an application to amend the CD-1 Comprehensive Development District By-law which applies to this site to add General Office Live-Work as a permitted use in the dwelling units of the proposed development.
This report further seeks to correct an error of omission in the CD-1 By-law regarding parking and loading.
DISCUSSION
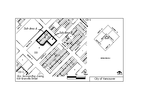
Background: This CD-1 site is located in the Core Central Business District. The site was rezoned from DD Downtown District to CD-1 Comprehensive Development District on September 17, 2002. The CD-1 District is comprised of two Sub-Areas.
The purpose of the CD-1 rezoning was to permit a transfer of heritage density from Sub-Area B which contains the St. Regis Hotel and Gotham Restaurant to Sub-Area A, to retain these heritage buildings and to permit residential use in the development on Sub Area A. The new development proposed for Sub-Area A is comprised of four levels of commercial use, with 29 storeys of residential use above. It additionally includes retention of two heritage facades in Sub-Area A and provision of universal access to the Granville Street SkyTrain Station.
![]()
Downtown District Zoning, Central Area Plan and Central Business District Policies: The Downtown District generally does not permit residential uses in this part of the downtown except where such a rezoning will facilitate the retention of heritage buildings. This is the basis upon which this CD-1 zoning was supported and approved in September, 2002.Live-Work Use - Other Recent Rezoning Sites: Live-Work combines living and working in the same premises. In two recent rezonings (1067 West Cordova Street and 651 Expo Boulevard) Live-Work, is specifically defined as a residential unit in conjunction with General Office. With these rezonings, requirements were established for minimum amounts of dwelling floor area and office floor area in a Live-Work unit. To minimize any potential for negative impacts on residential use, the office component of a Live-Work unit was limited to General Office which by definition excludes other office uses, specifically Financial Institution and Health Care Office. The office use was further limited by explicitly prohibiting health enhancement centre or any dating service, entertainment service, exotic dancer business, social escort service or other similar business.
When assessing a recent rezoning application (CD-1 text amendment) to change the use in 14 ground-level units at 1033 Marinaside Crescent from Office to Live-Work, staff reviewed previous Live-Work rezonings and concluded that more flexibility was needed within the use term to avoid the requirement for a development permit each time an alteration of the floor area allocation between the dwelling and office is made. This would also minimize theexpectation or need for property use inspections and enforcement for inconsequential changes related to floor area allocation within a Live-Work unit.
For the recently approved 1033 Marinaside Crescent CD-1, a Live-Work unit could be used for Dwelling Unit, General Office, and any combination of the two. A development permit for Live-Work use would thus allow floor area in a unit to have any combination of these two uses: all residential, all office, and anything in between, with no minimum requirements, with General Office use limited as outlined above.
Live-Work Use - 610 Granville Street: The application for 610 Granville Street seeks the same type of Live-Work as permitted at 1033 Marinaside Crescent. General Office Live-Work use at this location is consistent with the principles of the Central Area Plan and Central Business District Policies as it re-introduces the potential for office use on this site within the Core CBD. Staff believe that General Office Live-Work use is a complementary use to the office functions of the Core CBD.
Building Code Implications: The Vancouver Building By-law requires that an occupancy separation be constructed between the office and residential areas of the suite. As this is clearly inconsistent with the flexible division between live and work functions, an equivalency approach will typically be employed. This equivalency can be achieved most easily in new construction where live-work units are built to meet the code requirements for both business and personal service ("D") major occupancy classification and residential ("C") occupancy requirements. As the proposed development will be new construction, such an equivalency is readily achievable.
Parking and Loading Provisions: This application proposes no changes to the parking and loading provisions of the CD-1 By-law. Engineering Services Staff have advised that parking (minimum/maximum) and loading and bicycle parking requirements for General Office Live-Work can be satisfactorily met by the provisions within the CD-1 By-law. This includes the higher residential standard for bicycle parking. The Parking and Loading section would be amended so that the provisions would apply to General Office Live-Work Units.
Miscellaneous Amendments to Parking and Loading Provisions: At the July 25, 2002 Public Hearing for this CD-1 By-law, Council approved three amendments to the Parking and Loading provisions that were inadvertently not included when the By-law was brought forward for enactment. To fix this oversight, it is recommended that the Director of Current Planning be instructed to make application to amend the CD-1 By-law to incorporate the same three amendments.
The purpose of the amendments, generally as outlined in Appendix B, is to clarify that for commercial uses in both Sub-areas A and B, the Downtown parking standard of the Parking By-law will apply, and that for dwelling units in Sub-area A, parking requirements will be calculated based on gross floor area which is the normal method. There were no issues raised on these amendments at the 2002 Public Hearing.
CONCLUSION
The Director Current Planning recommends that both the privately-initiated and City initiated amendments be referred to a Public Hearing and be approved.
- - - - -
APPENDIX A
DRAFT AMENDMENTS TO CD-1 (414) BY-LAW NO. 8546
TO ADD GENERAL OFFICE LIVE-WORK
600 GRANVILLE STREET AND 602 DUNSMUIR STREET
CD-1 By-law amendments will be prepared generally in accordance with the provisions listed below and are subject to change and refinement prior to By-law posting:
1. Insert a new Section (Definitions) as follows:
General Office Live-Work means the use of premises for a dwelling unit, general office, or both uses in conjunction with one another, provided that:
(a) any such use must not include a health enhancement centre or any dating service, entertainment service, exotic dancer business, social escort service or other similar business, as determined by the Director of Planning in consultation with the Chief License Inspector; and
Note: By definition general office excludes other office uses, specifically financial institution and health care office.
(b) any development permit for such premises shall be for dwelling unit, general office, and dwelling unit combined with general office.
2. Add General Office Live-Work as a permitted use in Dwelling Units.
Note: Dwelling units are permitted only above the third storey.
3. Amend Section 5.1 (Parking and Loading) by adding "or general office live-work" after each occurrence of the words "dwelling units" and after the word "residential".
APPENDIX B
DRAFT AMENDMENTS TO CD-1 (414) BY-LAW NO. 8546
TO CLARIFY PARKING AND LOADING PROVISIONS
600 GRANVILLE STREET AND 602 DUNSMUIR STREET
CD-1 By-law amendments will be prepared generally in accordance with the provisions listed below and are subject to change and refinement prior to By-law posting:
Deletions are shown as strikeout, additions are bold italics
Parking and Loading
5.1 Any development or use of the site requires the provision, development, and maintenance, in accordance with the requirements of the Parking By-law, of off-street parking, loading, and bicycle storage, except that:
(a) the relaxations and exemptions in the Parking By-law will be available;
(b) in Sub-area A, for commercial uses, the parking requirements will be as per section 4.3.1, Area I of the Parking By-law;
(c) in Sub-area B, for commercial uses, the parking requirement will be as per section 4.4.2 of the Parking By-law;
(b)(d) in Sub-area A, for dwelling units, the following parking space requirements will apply based upon gross floor area:
(i) for dwelling units less than 44 m², a minimum of 0.3 space per dwelling unit and a maximum of 0.5 space per dwelling unit,
(ii) for dwelling units 44 m² or more but less than 70 m², the requirement will increase at a rate of 0.025 space per square metre above 44 m², and
(iii) for dwelling units 70 m² or more, the requirement will increase at a rate of 0.008 space per square metre,
except that in no case will more than 2.0 parking spaces per dwelling unit be required or more than 2.2 parking spaces per dwelling unit be permitted;
(c) (e) in Sub-area A, for dwelling units, the following loading space requirements will apply:
(i) for fewer than 99 dwelling units, no requirement,
(ii) for 100 to 299 dwelling units, at least one Class B loading space,
(iii) for 300 or more dwelling units, at least two Class B loading spaces, except that it will be permissible to meet the requirement to provide two Class B loading spaces by making one of the commercial loading bays available for residential use if there is access thereto satisfactory to the Director of Planning in consultation with the General Manager of Engineering Services;
(d) (f) in Sub-area A, for commercial uses, there must be at least two Class A and two Class B loading spaces; and
(e)(g) in Sub-area A, there must be a minimum overhead clearance of 3.8 m for all Class B loading spaces and related manoeuvring and access aisles.
5.2 The Parking By-law including, without limitation, the design standards in section 4.8 thereof will apply.
APPENDIX C
ADDITIONAL INFORMATION
Site, Surrounding Zoning and Development:
This CD-1 zoned site is located at the corner of Granville and Dunsmuir Streets. The CD-1 consists of two sub-areas. Sub-Area B includes two retained heritage buildings, the St. Regis Hotel and Gotham Restaurant. A new development (with two retained heritage facades) is proposed for Sub-Area A. It is comprised of four levels of commercial use, with 29 storeys of residential use above.
Proposed Amendment:
To add General Office Live-Work as a permitted use within Dwelling Units of the proposed building. There is no change to the proposed form of development.
Environmental and Social Implications:
The proposal to add General Office Live-Work, as a permitted use may contribute to the objective of reducing atmospheric pollution, as it increases opportunities for people to have a "zero-distance commute" in a location which provides easy access to a wide range of commercial services within the core Central Business District, and is well served by Public Transit.
With respect to any disadvantaged groups, there are no major positive or negative social implications to this proposal. There are no implications with respect to the Vancouver Children's Policy or Statement of Children's Entitlements.
Engineering Services Comments:
"Engineering Services has no objections to this proposed rezoning provided parking and bicycle requirements for the "Live-Work" use are provided as per the current CD-1 By-law for the site."
Applicants Comments:
The applicant has reviewed this report and agrees with its recommendations.
APPENDIX D
APPLICANT, PROPERTY, AND DEVELOPMENT PROPOSAL INFORMATION
APPLICANT AND PROPERTY INFORMATION
Street Address |
610 Granville Street |
Legal Description (Sub Area A) |
PARCEL A, BLK 43, DL 541, PL BCP975 |
Legal Description (Sub Area B) |
LOT 1, BLK 43, DL541, PL BCP974 |
Applicant / Architect |
Malcolm Elliot, Stantec Architecture |
Developer |
MacDonald Development Corporation |
DEVELOPMENT PERMITTED UNDER EXISTING ZONING |
PROPOSED | |
ZONING |
CD-1 |
CD-1 (amended) |
USES |
Selected Cultural and Recreational, Institutional, Office, Parking, Retail, and Service Uses, Dwelling Units only in Sub-area A and only if such Dwelling Units are located above the third storey and are the only permitted principal use above the third storey; Accessory Uses |
To Define and Add General Office Live-Work as a permitted use in the Dwelling Units of Sub-Area A. |
PARKING AND LOADING
|
As per Parking By-law, except that: for commercial uses, there must be at least two Class A and two Class B loading spaces. |
Clarify that for commercial uses in both Sub-areas A and B, the Downtown parking standard of the Parking By-law will apply, |
PARKING AND LOADING (Dwelling Units and General Office Live-Work in Sub-Area A) |
As per Parking By-law, except that reduced minimum and maximum standards apply for smaller units, with progressively greater minimum standards for larger units, except that in no case will more than 2.0 parking spaces per dwelling unit is required and no more than 2.2 parking spaces per dwelling unit is permitted; Minimum loading space requirements are dependent on the total number of dwelling units and availability of commercial loading spaces. Bicycle Parking as per Parking By-law |
Amend Parking and Loading provisions by adding provisions identical to those for dwelling units for " General Office Live-Work" units Clarify that for dwelling units in Sub-area A, parking requirements will be calculated based gross floor area which is the normal method. |