Vancouver City Council |
POLICY REPORT
URBAN STRUCTURE
Date: February 11, 2003
Author/Local: P.Mondor/7727
RTS No. 03173
CC File No. 5306Council: February 25, 2003
TO:
Vancouver City Council
FROM:
Director of Current Planning in consultation with the Director of the Housing Centre, the Director of Development Services, the Chief Building Official, and the Director of Legal Services
SUBJECT:
CD-1 Text Amendment (Live-Work Use):
1033 Marinaside Crescent (Quayside Site 4FG)RECOMMENDATION
A. THAT the form of development for the CD-1 zoned site known as 1033 Marinaside Crescent be approved generally as illustrated in Development Application DE403987 prepared by James K. M. Cheng Architects and stamped "Received, Community Services, Development Services, October 19, 1999" provided that the Director of Planning may approve design changes which would not adversely affect either the development character and livability of this site or adjacent properties; and
B. THAT the application by Pacific Place Developments Corp. to amend CD-1 By-law No. 7248 for the site at 1033 Marinaside Crescent, to define and add Live-Work as a permitted use in some ground-level units, be referred to a Public Hearing, together with:
(i) draft CD-1 amending by-law provisions, generally as contained in Appendix A;
(ii) the form of development drawings (DE403987) as approved under A revised to add the option for Live-Work use in some ground-level units as outlined under "Form of Development" in Appendix B; and
(iii) the recommendation of the Director of Current Planning to approve the application, subject to conditions under "Design Development" and "Agreements" in Appendix B;
FURTHER THAT the Director of Legal Services be instructed to prepare the necessary CD-1 amending by-law, generally in accordance with Appendix A, for consideration at the Public Hearing.GENERAL MANAGER'S COMMENTS
The General Manager of Community Services RECOMMENDS approval of A and B.
COUNCIL POLICY
· CD-1 By-law No. 7248 (# 324) for 800-1100 Pacific Boulevard (Quayside) approved on November 30, 1993.
PURPOSE AND SUMMARY
This report recommends that Council approve the form of development that was inadvertently missed after Development Permit Board approval in July, 1999 and prior to the issuance of a development permit. (Recommendation A)
This report assesses an application to amend the CD-1 (Comprehensive Development District) By-law which applies to this site, to add Live-Work as a permitted use for 10 of 14 ground-level Office units fronting Pacific Boulevard and Coopers Mews. Staff support the application and recommend that the four other units, which are not owned by the applicant, be included in the proposed amendment. The Director of Current Planning recommends that the application and staff recommendation be referred to a Public Hearing and approved. (Recommendation B)
BACKGROUND
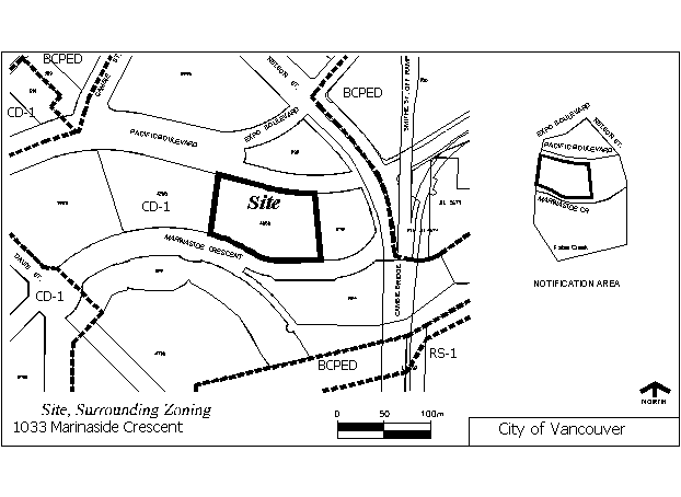
Site, Context, and Surrounding Zoning: The large CD-1 site at 1033 Marinaside Crescent is located in the Quayside Neighbourhood (Area 4AG of False Creek North) on the south side of Pacific Boulevard and west of the Cambie Bridge. (See Figure 1 on the next page.)
The site is bounded by Marinaside Crescent (south), Coopers Mews (east), Pacific Boulevard (north) and Boathouse Mews (west).Across Coopers Mews and next to the Cambie Bridge, at 1010 Pacific Boulevard, is a 9-storey 93-unit non-market residential building (Red Door Housing Society) with child daycare facility at grade. The triangular vacant site across Pacific Boulevard is also in Quayside (Site 4J) and is designated for non-market housing.
Figure 1. Site and Surrounding Zoning
![]()
Development of this site was completed in December, 2001, with a mixed-use 24-storey residential tower on the west part, a 34-storey tower at the south-east corner, and ground-oriented townhouses and units on all four sides of the site. It was the last phase of the four-phase residential and commercial development in the Quayside waterfront block east of Davie Street. (Note: 1033 Marinaside Crescent is a project address. The towers, ground-floor units, and second-level units all have their own street address.)There are 28 units within the 2-storey form along the non-waterfront-facing portions of the development, along Pacific Boulevard and Coopers Mews. (See plans and photos in Appendix D). There are 14 second-level units, accessed from the podium-level open space at the interior of the site, and approved for Multiple Dwelling use, and 14 ground-level units accessed from the street and mews, approved for Office use. The ground-level office units are relatively small, ranging between 51.9 m² (559 sq. ft.) and 80.6 m² (868 sq. ft.), for a total office floor area of 788.3 m² (8,485 sq. ft.).
The units were designed so that purchasers could buy a residential unit upstairs and the office unit downstairs and combine them into a live/work integrated unit. Only two did this. All 14 residential units have now been sold, but only 4 of the office units: two combined with a residential unit above and two as office units.
Two of the office units have business licenses, one for a wholesale dealer (furniture and interior design) and another for a real estate appraisal office.
PROPOSED BY-LAW AMENDMENTS
The applicant states that, in spite of being on the market for three years, 10 of 14 ground-level office units remain unsold, but that 25 potential purchasers have expressed interest in them as "flex", or Live/Work units. The applicant therefore requests an amendment to Section 4 (Uses) of the CD-1 By-law to enable the ground-level units to be approved for Live-Work use, not combined with the residential units above.
DISCUSSION
Staff support the proposed Live-Work use in the ground-level units in this development which front Pacific Boulevard and Coopers Mews. The following discussion reviews the principal questions raised by this proposal: residential livability, use flexibility, building code implications, parking requirements, and Sign By-law implications.
Residential Livability: Planning staff had two concerns about the livability of proposed dwelling use in the ground-level units. The first was the limited access to natural light. As the only windows proposed are floor to ceiling windows at the front of each unit, the units would have natural light only from the street or mews. Bedrooms or sleeping areas at the rear of these units would have to borrow natural light through the living area which faces the street or mews. While the livability of proposed dwelling use is compromised, staff have concluded that it is acceptable:
· the higher floor to ceiling heights in these units than is typically provided in residential development, 2.74 m (9 ft.) versus 2.44 m (8 ft.), will provide more light than otherwise;
· "light shelves" can be installed which bounce natural light farther into a unit;
· residents could choose to locate the sleeping area anywhere within the unit; and
· the units are also set back 3 m (10 ft.) from the street and raised 0.9 m (3 ft.) from grade level to provide transition from public sidewalk and some privacy.A second concern was raised by the proximity of the Pacific Boulevard units to the noise and vibration of vehicular traffic. This concern was addressed in the second-level units by implementing the recommendations of an Acoustics Engineer regarding double glazing, laminated glazing, and glass thickness to achieve the required noise reduction. Furthermore, given the closed windows, the Vancouver Building By-law required alternate ventilation, and the air ducts to the exterior were required to be lined to achieve acceptable sleeping area noise levels. Most of these measures have already been installed in the ground-level units and the additional measures which are needed can be retrofitted.
In the review of the initial development application for this site in 1999, when dwelling use had been proposed in the ground-level units, the Housing Centre advised that these units would be fundamentally livable, but with some concern about the proximity of the Pacific Boulevard units to the noise and vibration of vehicular traffic. Advice was received from Real Estate Services that the units might sell between $125,000 and $130,000, and would be affordable to first-time homebuyers with gross annual incomes in the $20,000-$25,000 range. The Housing Centre concluded this was a rare opportunity for low- to modest-income working singles to purchase housing in North False Creek, and was supported, though a housing agreement was not deemed necessary. The Housing Centre advises that this conclusion is still appropriate today.
Staff recommend that approval of a text amendment to allow Live-Work use be subject to conditions requiring the provision of appropriate utilities (e.g., natural gas, electrical and plumbing), ventilation and related measures to meet Vancouver Building By-law requirements, and acoustical measures to meet By-law requirements for bedroom (sleeping area) noise levels. A further design development condition is recommended which requests consideration of "light shelves" which bounce natural light farther into a unit, and taking account of available sunlight access. (See recommended approval conditions presented in Appendix B.)
Live-Work Flexibility: There has been considerable interest in Live/Work, or Work/Live, for many years. There has been long experience with Artist Live/Work Studios, and more recent but limited experience with Industrial Live/Work. There has also been recent experience combining Multiple Dwelling and Office uses in ground-oriented live/work townhouses at 895 Helmcken Street (The Canadian) and 1478 West Hastings Street (Dockside). In these two cases, Office use is approved for the ground floor and Multiple Dwelling use in the upper floor(s), but with very little flexibility after construction to alter the allocation of floor area between Office and Dwelling uses. Development and building permits are needed for any change of use in any amount of floor area, from Office to Multiple Dwelling or vice versa.
In the July, 1999 minutes of the Development Permit Board meeting which approved Office use on the subject site in ground-floor units able to be connected by internal stair with a dwelling above, it is stated that such units "help to integrate a new live/work housing option, notwithstanding potential enforcement problems. It is clearly what the public wants and the City must determine how it can be achieved rather than not allowing it because it is difficult to administer."
In spite of this, as noted earlier only 2 of 14 office units were purchased in conjunction with a dwelling above and connected to form integrated units. Regarding the 10 office units which are still unsold, and which can no longer be integrated with an upstairs dwelling since all these have now been sold, potential buyers are more interested in "flex" or Live-Work units in which Multiple Dwelling and Office use are permitted in any combination.
In recent experience with CD-1 rezonings at 1067 West Cordova Street (Shaw Tower) and 651 Expo Boulevard, staff have developed a new land use term, Live/Work, and some related zoning requirements, which provide for increased flexibility in the allocation of floor area between dwelling and office use. Development permit (DE) approval is no longer required for re-allocation of floor area within a unit, although minor amendment to the permit is needed, and building permit (BU) remains necessary.
The zoning regulations which staff have so far developed for Live-Work use require minimum amounts of both dwelling and office floor area in a Live-Work unit. The further flexibility which is needed in these units, and which staff recommend, is the possibility of all Multiple Dwelling use, all Office use, and any combination of the two. This would dispense with the need for a development permit (DE) amendment whenever an owner wished to alter the floor area allocation between the two uses, although a building permit (BU) would still be required for any structural alteration. This approach would minimize the need for property use inspections and enforcement on zoning-related infractions.
This flexibility, whereby a Live-Work unit can by definition be all Multiple Dwelling, all Office, and any combination of the two, should be welcomed by the owners of the four office units which are not owned by the applicant. Staff propose to include these units in the proposed amendment and will inform their owners that, if the CD-1 text amendment is approved, they would be able to maintain their existing General Office use if they so wish, or, like Pacific Place Developments Corp., make development application for change of use to Live-Work, thereby expanding their options for these units.
Building Code Implications: In terms of the building code (Building By-law), an equivalency is required to permit an Office occupancy associated with and forming an integral part of a residential unit. Such an equivalency is more readily achieved in new
construction than when retrofitting existing development, but in the present case the ground-level units have already been constructed to meet the requirements for business and personal service ("D") major occupancy classification (e.g., disabled access), which are slightly more stringent than residential ("C") occupancy requirements.If Live-Work use is approved in these units, first in a CD-1 text amendment and then in a development application, building permit (BU) would then be required for a change in building occupancy and for any structural alteration to a Live-Work unit. For this development, the property owner believes that building code requirements could be met without needing major building modifications.
Parking and Related Requirements: With respect to vehicle parking and loading requirements and bicycle parking requirements, Live-Work use should be expected to meet whichever requirement, for Multiple Dwelling or for Office use, is the greater. Similarly, it should also be expected that Live-Work use will have available to it all applicable floor space ratio calculation provisions, such as exclusion for residential storage, and open and enclosed residential balconies.
Engineering Services (Parking Branch) staff advise that vehicular parking and loading requirements for small residential and office units of this size are comparable, and so there is no need for additional or special requirements. It is further noted that there is a small surplus of parking spaces for all of the mixed-use development at 1033 Marinaside Crescent.
However, Multiple Dwelling use has a higher bicycle parking requirement (1.25/unit) than does Office use (1/750 m²). While one bicycle space has been provided for the approved office units, 18 spaces would be required if they were dwelling units. Given the very small number of spaces required, relative to a supply of 564 spaces for the entire development which is not fully utilized, staff support a relaxation in this existing development.
Sign By-law Implications: The installation of signs on this CD-1 site is governed by Schedule B (Commercial and Industrial Areas) of the Sign By-law. A condition of development permit approval was that signage for the ground-level office units be limited to facia signs not exceeding 0.2 m² (2 sq. ft.) in size. To ensure this limitation continues to be met in a Live-Work context, it is proposed to add a provision in the CD-1 By-law which explicitly states this requirement. (See draft by-law amendments in Appendix A.)
CONCLUSION
Staff support this rezoning application to allow Live-Work use as an alternative to Office use in the ground-level units fronting Pacific Boulevard and Coopers Mews on the site at 1033 Marinaside Crescent. Staff have further refined the definition of Live-Work use, which was previously established in two other CD-1 by-laws to provide increased flexibility. Live-Work use would be defined as a residential unit combined with an office unit, with development permit for this use allowing floor area to have any combination of these two uses: all residential, all office, and anything in between.
Appropriate CD-1 By-law provisions for this purpose are recommended in Appendix A, including additional amendments to provide a definition of Live-Work use and to provide sign regulation. Staff also recommend several approval conditions in Appendix B, including the provision of appropriate utilities, ventilation and acoustical measures.
The Director of Current Planning recommends that the application to amend the CD-1 By-law for this site, including the additional amendment recommended by staff, be referred to a Public Hearing and approved, together with conditions recommended for approval at the Public Hearing.
- - - - -
APPENDIX A
DRAFT AMENDMENTS TO CD-1 BY-LAW No. 7248
1033 Marinaside Crescent (CD-1 #324)CD-1 By-law amendments will be prepared generally in accordance with the provisions listed below and are subject to change and refinement prior to By-law posting:
1. Amend Section 3 (Definitions) by inserting the following:
"Live-Work means the use of premises for a residential unit, general office, or both uses in conjunction with one another, provided that:
(a) there must be no combination of a residential unit and a health enhancement centre or any dating service, entertainment service, exotic dancer business, social escort service or other similar business, as determined by the Director of Planning in consultation with the Chief License Inspector; and
(b) any development permit for such premises shall be for Multiple Dwelling, General Office, and a residential unit combined with general office."2. Amend Section 4 (Uses) by inserting the following in the appropriate alphabetical order:
"Live-Work, but limited to units in Area 4FG having access to grade on Pacific Boulevard or Coopers Mews and having a principal entrance to the office component being within 1.5 m of fronting street grade."
3. Amend Section 6 (Floor Area and Density) by:
3.1 inserting in Table 1 "Live-Work Use" after "Residential Uses", inserting "88.3 m²" below "221 183 m²", and replacing "34 610 m²" by "33 821.7 m²";
3.2 inserting in Table 2 inserting "Live-Work Use" after "Residential Uses", inserting "788 m²" below "122 281 m²" in column "Site 4A-G", and replacing "2 793 m²" by "2 005 m²".4. Insert a new Section 11 (Permitted Signs) after Section 10 as follows:
"A facia sign for Live-Work units in Area 4FG having access to grade on Pacific Boulevard or Coopers Mews shall be permitted except that the copy area shall not exceed 0.2 m² and shall not be illuminated directly."
APPENDIX B
PROPOSED CONDITIONS OF APPROVAL
1033 Marinaside CrescentDraft approval conditions will be prepared generally in accordance with the provisions listed below and are subject to change and refinement prior to the finalization of the agenda for the public hearing.
FORM OF DEVELOPMENT
(a) THAT the form of development, as illustrated in development permit (DE403987) drawings prepared by James K.M. Cheng Architects and stamped "Received, Community Services, Development Services, October 19, 1999", be revised to reflect the opportunity for Live-Work Use in the ground-level units fronting Pacific Boulevard and Coopers Mews, provided that the Director of Planning may impose conditions and approve design changes which would not adversely affect the development character of this site.
DESIGN DEVELOPMENT
(b) THAT, prior to final approval by Council of the revised form of development, the applicant shall obtain approval of a development application, for change of use from Office to Live-Work, by the Development Permit Board or Director of Planning who shall have particular regard to design development to ensure the livability of the ground-level units, including:
(i) provision of appropriate utilities (e.g., natural gas, electrical and plumbing), ventilation and related measures to meet Vancouver Building By-law requirements, and acoustical measures to meet By-law requirements for bedroom (sleeping area) noise levels; and
(ii) consideration of "light shelves" which bounce natural light farther into a unit, and taking account of available sunlight access.AGREEMENTS
(c) THAT, prior to enactment of the CD-1 By-law amendments, at no cost to the City, the developer, Pacific Place Developments Corp. shall make arrangements for modification of the "Live/Work Studio Agreement" covenant, if required, to the satisfaction of the Director of Planning, on terms and conditions acceptable to the Director of Legal Services.
APPENDIX C
ADDITIONAL INFORMATION
BACKGROUND
At a Public Hearing on April 20, 1993, City Council approved a rezoning of the Quayside lands from BCPED (B.C. Place/Expo District) to CD-1 (Comprehensive Development District). The CD-1 By-law No. 7248 (#324) was enacted on November 30, 1993 and Quayside Neighbourhood CD-1 Guidelines were also adopted by Council at that time.
Council also approved in principle the form of development for all four blocks of the Quayside neighbourhood. This established siting, building envelopes and massing for the residential towers and street forms. It also identified land uses, including retail use at grade along the first two blocks east of Davie Street, and street-, mews- and podium-oriented dwelling units, amenity and recreation facilities, and significant amounts of open space. The form of development for this site at 1033 Marinaside Crescent included two residential towers and a 3- and 4-storey townhouse form on all four sides of the site.
In another subsequent rezoning (Public Hearing on February 22, 1996 and enactment on July 30, 1996), the CD-1 By-law was amended to replace retail uses on Marinaside Crescent with primarily townhouses.
The overall residential density permitted for the site at 1033 Marinaside Crescent was 38 761 m² (417,234 sq.ft.). An additional area of 373 m² (4,015 sq.ft.) was transferred from Roundhouse Neighbourhood (CD-1 # 297) in a subsequent CD-1 text amendment.
PUBLIC INPUT
An information sign was recently installed on the site and 450 notification letters were mailed to surrounding property owners. Several telephone calls and e-mails were received seeking clarification about the application, most of them in support of the proposal.
Two telephone calls and one e-mail communication have been received opposing the application. The written objection, from an owner of a second-level dwelling unit, expresses the following concerns (excerpt):
· there may be significantly more noise in my unit in the evening,
· cooking facilities would be located below my unit and would increase the risk of fire in my unit as well as the possibility of unpleasant cooking smells, and
· the added residential space will put further strain on the street-side parking on Pacific Boulevard during evenings.This property owner states that "the fact that the units in question were commercial units and not dwelling units had a role in my purchasing decision." With no wish to minimize this owner's concerns, staff nevertheless believe that the non-combustible (concrete) construction of these units mitigates against potential fire and noise impacts, mechanical ventilation will mitigate most odours, and the availability of visitor parking will moderate the strain to on-street parking.
Two callers questioned the availability of adequate parking and potential impact for on-street parking. One asked if the City would require every purchaser of a live/work unit to also purchase a parking space.
In answer to these concerns, it should first be noted that the entire development on this site has met the parking requirements approved by the Development Permit Board -- a total of 529 spaces, of which 13 are for the office units. It should be emphasized that there is no requirement in the Parking By-law that every office unit, or dwelling unit for that matter, have a dedicated parking space. Parking spaces are sold to those who want them, and some are maintained as visitor spaces. The City leaves it to property owners, developers, and strata councils to respond to customer needs. It is therefore not unusual to see many unutilized parking spaces in new development until such time as increased development in the surrounding area makes on-street parking difficult to access.
Generally, it might be expected that parking demand for office use will be higher during daytime hours while parking demand for dwelling use will be higher in the evenings. Rezoning from Office to Live-Work could thus be anticipated to shift parking demand from daytime to evening. However, the very small number of units involved lead to us to expect very limited on-street parking impact. We also note there is a very limited amount of on-street parking in the area relative to the amount of surrounding development, while on the other hand there is very convenient street access to a large amount of visitor parking underground.
APPLICANT COMMENT
"Concord Pacific has proposed Live/Work use as an alternative to Office use in the ground-level units fronting Pacific Boulevard and Coopers Mews on the site at 1033 Marinaside Crescent. We believe that the Live/Work use will be an asset to the Quayside neighbourhood. The flexibility provided by Live/Work will ensure that these units are occupied this year, completing a very important street frontage. We have reviewed the draft approval conditions in Appendix B and we support these conditions."
APPENDIX D
1033 Marinaside Crescent
Form of Development - Office Units and Dwellings above
on Pacific Boulevard and Coopers Mews (Photos and Drawings)
Office Units at grade and Dwellings above: Coopers Mews
Office Units at grade and Dwellings above: Pacific Blvd.
LINK TO APPENDICES D, PAGES 2 (site plan), 3 (elevations) and 4 (cross-section)